Abandoned & Little-Known Airfields:
Texas: Western Dallas area
© 2002, © 2025 by Paul Freeman. Revised 8/6/25.
This site covers airfields in all 50 states: Click here for the site's main menu.
____________________________________________________
Please consider a financial contribution to support the continued growth & operation of this site.
Arlington Field / NOLF 25811 (revised 11/14/18) - Dalworth Airport / Curtiss-Wright Airport / Grand Prairie Airport / Grand Prairie NOLF / Grand Prairie AAF (revised 12/3/23)
Flyers Field (revised 7/1/20) - Five-Points NOLF (revised 6/24/22) - Hampton Field / Clearview Airport (revised 8/6/25)
Jap Lee Airport (revised 6/24/22) - Mansfield NOLF (revised 7/7/21)
____________________________________________________
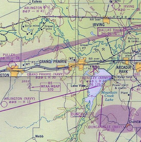
32.722, -96.9 (Southwest of Downtown Dallas, TX)

Flyers Field, as depicted on the September 1945 Dallas Sectional Chart.
This small general aviation airfield on the southwest side of Dallas was evidently established at some point between 1943-45,
as it was not yet depicted on the February 1943 Dallas Sectional Chart.
The earliest depiction which has been located of Flyers Field was on the September 1945 Dallas Sectional Chart,
which depicted it as an auxiliary airfield.

The January 1948 Dallas Local Aeronautical Chart depicted Flyers Field as having a 3,100' unpaved runway.

The last aeronautical chart depiction which has been located of Flyers Field was on the September 1948 Dallas Sectional Chart,
which depicted it as having a 3,100' unpaved runway.

The earliest photo which has been located of Flyers Field was a March 1949 Barnes Aerial Surveys aerial photo (from the Dallas Department of Public Works Survey & Records Library, courtesy of Chris Walton).
It depicted Flyers Field as being a trinagular-shaped grass airfield.
On the southwest side were 3 or 4 T-hangars, but no aircraft were visible.
Strangely, Flyers Field was no longer depicted on the August 1949 Dallas Local Aeronautical Chart or subsequent aeronautical charts,
even though photos show it continued in operation for another decade.
Perhaps this was due to its transition to a private airfield.

The last aerial photo which is available of Flyers Field was a 4/1/52 USGS aerial view.
It depicted Flyers Field as having a north/south grass runway.
On the southwest side was no less than 15 T-hangars, one light single-engine aircraft was parked on the southwest side,
and possibly portions of other aircraft were clustered around a small building on the southeast side.
Chris Walton observed, “Given the airfield's removal from the August 1949 Sectional Chart, it's peculiar that so much construction seems to have happened”, between 1949-52.
In those 3 years, the airport had gained 11-12 T-hangars.
Jerry Felts recalled, “Flyer's Field... I spent my childhood at this place & got my first airplane ride here with a friend of my dad's in a 2 seat Luscombe in 1952; I was 7 years old.
I spent the next 3 summers hanging out at that little airport & getting more rides with most of the folks that owned airplanes there
until I logged over 50 hours & learned the basics of flying an airplane before was 10.
At 72 years old, I still think of that strip more than once a day & how that experience led me to a 32 year career in aviation.
It brings back so many wonderful memories.”
Joe Long recalled, “Flyers Field... I hung out there starting in 1956. I learned to fly there when Olin Smith operated it.
My instructor was C.W. Buchannon. Olin Smith let me work there to pay for my lessons.
After Mr. Smith died I worked for Wayne January. Flyers Field was my second home.
Kids today don't know what it's like to walk down a line of old run-down hangers & peeking in the windows of the planes.”

A circa 1956-58 photo by Joe Long of an Ercoupe in front of a Flyers Field hangar.

A circa 1956-58 photo by Joe Long of a Navion at Flyers Field.

A circa 1956-58 photo by Joe Long of a Cessna T-50 in front of a Flyers Field hangar.
The last aerial view which has been located showing Flyers Field was a 1958 aerial view.
It showed Flyers Field had expanded, with over 30 T-hangars,
and 6 light single-engine aircraft were parked around a several small buildings on the southeast side.

The earliest top map depiction which has been located of Flyers Field was on the 1961 USGS topo map.
It depicted “Fliers Field (Private)” as having a north/south paved runway & parallel taxiway, and an unpaved northwest/southeast runway.
Two small buildings were depicted on the southeast side.
The 1966 USGS topo map depicted “Fliers Field (Private)” in an unchanged fashion.
Flyers Field was evidently closed at some point between 1958-68,
as a 1968 aerial photo showed the site was covered by single-family housing, with no trace remaining of the little airport.
Yet another American grassroots airport swallowed by the ever-increasing demand for housing.
The 1970 USGS topo map showed residential streets covering the site of Flyers Field.
Erroneously it still depicted the 2 hangars on the southeast side of the former airport property,
even though the 1968 aerial photo showed their location covered by new houses.

A 2017 aerial view looking northeast showed no trace remaining of Flyers Field.
The site of Flyers Field is located northeast of the intersection of West Illinois Avenue & Knoxville Street.
Thanks to Bret Kepner for pointing out this field.
____________________________________________________
Hampton Field / Clearview Airport, Dallas, TX
32.72, -96.86 (Southwest of Downtown Dallas, TX)

A 1940 photo of G.J. Smith facing west standing in front of a Hampton Field field with the Taylorcraft in which he had just soloed (courtesy of Terry Smith).
The date of construction of this small general aviation airfield on the southwest side of Dallas has not been determined.
According to Terry Smith, “Hampton Field was located on the southeast corner of Illinois Avenue & Hampton Road.
It was a grass field with 1 metal hangar & was on the north end of Kiest Park in Oak Cliff.
My dad [G.J. Smith] soloed there in 1940 in a Taylorcraft.”

A 1940 photo by his flight instructor of G.J. Smith's 1st solo takeoff in a Taylorcraft from the grass at Hampton Field (courtesy of Terry Smith).
Hampton Field was not depicted on the August 1941 Dallas Sectional Chart.

Hampton Field was depicted on a 1942 map of Dallas NRAB Outlying Fields (courtesy of John Voss).

The earliest aeronautical chart depiction which has been located of Hampton Field was on the February 1943 Dallas Sectional Chart,
which depicted it as a commercial/municipal airport.

Hampton Field was depicted on a 1940s Love Field approach plate (courtesy of Terry Smith).
Hampton Field was still depicted on the March 1944 Dallas Sectional Chart.

Hampton Field was depicted simply as a square outline labeled “Airport” on a 1945 Dallas map.

Hampton Field was evidently renamed Clearview at some point in 1945,
as that is how it was labeled on the September 1945 Dallas Sectional Chart.

A 1947 aerial view looking southeast (courtesy of Nathan Clay) depicted Clearview Airport as having one unpaved northwest/southeast runway,
with 2 hangars on the northwest corner, one of which was painted with the airport name on its roof.

An undated (late 1940s?) aerial view looking northeast (courtesy of Jerry Felts) depicted Clearview Airport as having one unpaved runway running diagonally within a square property outline,
with several light aircraft parked near some small buildings on one corner.

The January 1948 Dallas Local Aeronautical Chart depicted Clearview Airport as having a 3,000' paved runway.

The last aeronautical chart depiction which has been located of Clearview Airport was on the September 1948 Dallas Sectional Chart,
which depicted Clearview as having a 3,000' unpaved runway.

Clearview Airport was evidently closed at some point between 1948-49,
as a March 1949 Barnes Aerial Surveys aerial photo (from the Dallas Department of Public Works Survey & Records Library, courtesy of Chris Walton),
Chris Walton noted, “showed the site to be in the advanced stages of demolition & redevelopment.
A residential subdivision had taken shape at the northeast corner of the field, some of the runway was torn up, and several residential streets were being extended across the property.
Hangars could still be seen on Hampton Road, one with the word 'CLEARVIEW' still painted on the roof, but the apron is occupied by construction equipment & stockpiled materials rather than airplanes;
the contractor evidently reused the apron & airport buildings as a staging area!
One of the new streets on the site was named Clearview Circle, presumably to commemorate the airport,
and it's evident from comparing this aerial photo to modern ones that Montreal Avenue partially follows the alignment of the runway.”
Clearview Airport was no longer depicted on the August 1949 Dallas Local Aeronautical Chart.
According to Terry Smith, “The hangar was torn down & houses were built on the property shortly after WW2.”

A 2013 aerial photo showed no trace remaining of Hampton Field.
According to Terry Smith, “The location of the hangar at Hampton Field was in the parking lot of the current shopping center in the 2013 photo.”
Thanks to Terry Smith for pointing out this field.
____________________________________________________
32.853, -96.963 (West of Dallas, TX)

1/4/53 USGS aerial view of Jap Lee Airport.
According to the Irving Independent School District, in 1942 American Airlines Captain Thomas Jasper Lee
“moved to Irving on 48 acres he purchased for $3,000. The land had a house, barn, and pasture land.
It was probably the fulfillment of a lifelong dream when Captain & Mrs. Lee opened the Jap Lee Airport.”
According to the City of Irving, “Thomas Jasper Lee, an airline pilot stationed at Love Field in Dallas, built the field on his property in Irving in 1947.”
According to the Irving Independent School District, “The terrain was suitable for an airstrip & they leased an additional 66 acres to accommodate 14-16 small private airplanes.
Tie-down space cost $6, and hangar rental was $10 monthly.
A windsock flew over the barn, and pasture land served as a landing strip.
Because there were no phone lines in this rural area, Captain Lee cut saplings to run a line from Highway 183 to his land.
Captain Lee's job was flying, his hobby was flying, and the family business was operating an airport.
He liked to take his wife & daughter on trips in his club coupe or fly older aircraft for the fun of it.
He stayed busy helping other pilots work on their planes.
Children who rode their bicycles to the airport could be assured of a warm welcome & help with any bicycle repairs they needed.”
The earliest photo which has been located of Jap Lee Airport was a 1/4/53 USGS aerial view.
It depicted the field as having a single unpaved north/south runway, with a few small buildings on the east side.

A 1954 plan (courtesy of Reginald Robinson) depicted Jap Lee Airport as having a 3,800' Runway 17/35, with an office & 2 small hangars on the southeast side.
Reginald Robinson recalled, “I was a neighbor to Jean Lee, the widow of Jap Lee.”

showed one single-engine light plane next to a Quonset hut at Jap Lee Airport.
According to the Irving Independent School District, “Captain Lee was still a pilot for American Airlines when he died on 12/6/55.
It was after his death that the family sold the land to the Irving ISD for the construction of the school named for T. J. Lee.”
Jap Lee Airport was not yet depicted on the March 1956 Dallas Sectional Chart.

Jap Lee Airport, as depicted on a 1957 road map (courtesy of James Buchanan).

The earliest aeronautical chart depiction which has been located of Jap Lee Airport was on the January 1957 Dallas Sectional Chart.
It depicted Jap Lee Airport as having a 3,800' unpaved runway.
The last photo which has been located of Jap Lee Airport was a 1958 aerial view.
It depicted the field as having a single unpaved north/south runway, with 5 small hangars on the east side,
near which were parked 3 light aircraft.

The last depiction which has been located showing Jap Lee Airport operational was on the 1959 USGS topo map.
It depicted “Jap Lee Airstrip” as having a single north/south runway, with a few small buildings on the east side.
According to the Irving Independent School District, “T.J. Lee Elementary School opened in March of 1959”,
at which point the airport on the property had presumably been closed.
However that date is contradicted by the City of Irving, which says “His wife continued operating the airport until 1960.”

The last aeronautical chart depiction which has been located of Jap Lee Airport was on the March 1960 Dallas Sectional Chart.
Jap Lee Airport's depicted runway length had decreased to less than half the 1957 depiction: only 1,800'.
Jap Lee Airport was no longer depicted on the August 1960 Dallas Sectional Chart.

A 9/1/60 Civil Aeronautics Administration document (courtesy of Jean Lee, widow of Jap, via R.E. Robinson)
said Jap Lee Airport “Will be ABANDONED as of 9/1/60 per memo 7/20/60.”
It depicted the airport as having 3 turf runways, with a longer proposed 4th runway.
R.E. Robinson reported of Jap Lee Airport, “Our Irving homes are only a few blocks from the site of the airport.
Mrs. Lee & I moved here in 1963 when the area was a new development.”
A 1972 aerial photo showed that houses & a school had covered the site of Jap Lee Airport,
erasing any trace of the little airport.

A 6/13/11 aerial photo of the site of Jap Lee Airport showed that houses & a school had covered the site of Jap Lee Airport.
According to the Irving Independent School District, “The present-day boundaries [of Jap Lee Airport] are Coker Street, Janelle Street, Stafford, and Northgate Drive.”
____________________________________________________
Dalworth Airport / Curtiss-Wright Airport / Grand Prairie Municipal Airport /
Grand Prairie NOLF / Grand Prairie Army Airfield, Grand Prairie, TX
32.734, -97.02 (West of NAS Dallas, TX)

This historic property has been an airfield with at least 6 different names,
having gone from a civil airport, to a military airfield, back to a civil airport, and finally as a housing development!
As described by The Handbook of TX Online, the Curtiss-Wright Airport of Fort Worth-Dallas was built to the west of Grand Prairie in 1929.
It was one of a large number of civil airports built & operated by the Curtiss-Wright company across the country during the 1920/30s.
The Curtiss Flying Service Corporation operated a flight school at the Grand Prairie field.
According to a TX Historical Commission sign, “The Curtiss Flying Service Corporation of NY
purchased 275 acres of land one mile west of the Grand Prairie city limits in 1929.
The Curtiss Wright Airport of Fort Worth-Dallas was opened on this site in 1930.”
The earliest photo which has been located of Curtiss Wright Airport was a 4/12/30 photo
of a crowd gathered on & around the Curtiss-Wright Flying Service hangar to celebrate the airport's dedication.

A row of Army Air Corps biplanes gathered for Curtiss-Wright Airport's 4/12/30 dedication.

A postmark commemorated the 4/11/30 Dedication of Dalworth Field, Curtiss-Wright Flying Service.
According to a TX Historical Commission sign, “Though the airport & flying school were a sensation, they closed late in 1930 due to the Depression
and the field became the Grand Prairie Municipal Airport.”

The earliest aeronautical chart depiction which has been located of the field
was on the 1932 Dallas Sectional Chart (courtesy of Scott O'Donnell).
It depicted “Curtiss-Wright” as a commercial/municipal airport.

A 1983 painting by Randy Souders of an undated airshow at the Grand Prairie Curtiss-Wright Airport.
After the Curtiss flight school went out of business, the field served as the Grand Prairie Municipal Airport until 1940.
In 1940 the airport was purchased by the Lou Foote Flying School,
which operated a contract flying school for military flight cadets.
"Grand Prairie" was still depicted as a commercial airport
on the February & September 1942 Dallas Sectional Charts (courtesy of Chris Kennedy).

"Grand Prairie Squadron 2", as depicted on a 1942 Navy map of Dallas Outlying Fields (courtesy of John Voss).
In 1942, the Navy faced a need to establish a new primary flight training field in the area,
as the Army (which controlled Hensley Field, later to become NAS Dallas, 2 miles east)
forbade solo flights by Navy flight cadets at the busy Hensley Field.
Therefore, the Navy entered into negotiations to purchase the Lou Foote Flying School property.
An agreement could not be reached, so the property was condemned in 1942,
and the Grand Prairie Naval Outlying Landing Field was established.
Grand Prairie was also known as Squadron Two.
According to a TX Historical Commission sign, “The naval development cost was approximately $823,000
which included two 1,500' hexagon landing mats, 2 personnel barracks, a hangar, new maintenance and operations buildings, roadways, sidewalks and utilities.
About 1,000 men trained on this site during World War II, some flying at night without permanent landing lights.
The field was regarded as an excellent training ground for its capabilities.”

A 1943 National Archives photo of the Grand Prairie NOLF.
By 1943, all Navy primary flight training at Hensley has relocated to Grand Prairie,
and a contingent of French cadets began flight training as well.
By the end of 1943, a total of 280 Stearman biplane trainers were on board at Grand Prairie.
The August 1944 Dallas Sectional Chart (courtesy of David Brooks)
depicted the airfield as Outlying Field "26803", as an auxiliary of Hensley Field.
According to a TX Historical Commission sign, “At the close of World War II, the Navy discontinued its training operations at the Grand Prairie site,
using it instead as an emergency landing field.”
After end of WW2, Grand Prairie was used temporarily to store surplus aircraft.
In 1945, it had almost 300 SNV trainers awaiting disposal.

A 1946 aerial view by Ernest Gaw from his BT-13 looking northwest at Grand Prairie NOLF (courtesy of Alden Gaw).
Alden Gaw recalled, “We lived in the Indian Hills subdivision adjacent to the east side of the airport property from 1945-62.
My father, Ernest Gaw, kept his Vultee BT-13 at the Grand Prairie Airport from 1946-51.
He used the BT as a means to cover his territory as a field service sound engineer
and was paid mileage by the company he worked for.
He would buzz our house in his 'Vultee Vibrator' on his return home as the signal for us to come pick him up at the airport.
One time I recall our mother allowing us 3 kids to run from our house a half-block from the field on the east side of the airport,
across the field to greet him at his tie-down, while she drove the car the street route there.
We got no more than 50 yards into the field before our adventure came to an abrupt halt.
Our bare feet were 'attacked' by the thorny stickers that blanketed the former pasture
and our mother, seeing us stranded & crying in the field, had to drive the car into the field to rescue us.”

A circa 1946-47 photo (courtesy of Ernest Gaw family) of a Goodyear M-type airship, over the Grand Prairie hangars.
According to Alden Gaw, “Around 1946-47 the Grand Prairie NOLF briefly hosted non-rigid blimp operations.”
Both K-type & M-type airships were photographed at Grand Prairie.
Of the M-type airship, Alden noted, “There were only 4 built, M-1 through M-4.
No marking other than US Navy are evident, but the articulating control car makes this on an unmistakable 'M' model.
The M’s were used in long-range operations testing between a number of New Mexico & Texas bases.”
"Grand Prairie" was still depicted as a Navy airfield
on the March 1947 Dallas Sectional Chart (courtesy of Chris Kennedy).

A circa 1947-48 aerial view looking northeast (courtesy of Ernest Gaw family), taken from Ernest's Vultee BT-13.
Alden Gaw observed, “The main hangar can be seen in the middle, left of the picture just south of Highway 80 or Jefferson Blvd.
The Indian Hills subdivision, built during the war, almost touches the east most hexagon apex.
This was before Carrier Parkway ran north-south between the subdivision & the airport property.”
Alden Gaw recalled, “My brother & I used to scurry all over the airport as kids on our bikes,
watching countless aircraft, helicopter, glider and parachutist operations,
as well as watching maintenance be performed in the hangars over the years.
I recall one summer a parachutist landed in the power lines on the north side of Jefferson
and remained suspended for a time until rescued.
Eventually open T-hangars were erected over the southwest tie-down pads
and many gliders were kept in these T-hangars.
The north-south runway was far from level.
It dropped off precipitously just south of the mid-field taxiway.
The southern hexagon pad was at least 15-20' lower than the north end of the field.
I vividly recall watching aircraft on their takeoff rolls to the south disappear down the hump
and then reappear on climb-out & watching them land to the south,
touch down then disappear as they rolled down the incline & reappear at the far end of the runway as they turned around to taxi back.
When they taxied from the south end of the runway northward
it seemed like forever before they reappeared as the rose up over the incline.”

A circa 1940s photo of the Grand Prairie hangar, marked as “North Texas Agricultural College, School of Aeronautics, Grand Prairie Airport” (courtesy of Monty Eades),
with a high-wing monoplane (model undetermined) parked in front.

The January 1948 Dallas Local Aeronautical Chart depicted “Grand Prairie (Navy)” as having a 3,000' paved runway.

A circa 1948-49 photo of Ernest Gaw in front of his Vultee BT-13 (courtesy of Ernest Gaw family),
looking northeast with the Grand Prairie hangar in the background.
The lettering on the hangar read “North Texas Agricultural College, School of Aeronautics, Grand Prairie Airport”.

A circa 1948-49 photo (courtesy of Ernest Gaw family)
of a Bowlus Baby Albatross glider being pushed in front of the Grand Prairie hangar / control tower.
The glider was possibly part of the School of Aeronautics program.
Lee recalled, “In 1948 I was at Carswell in the B-36 program at that time
and placed on TDY to Grand Prairie to obtain my A&P rating.
There was considerable glider operation there at that time.”

A circa late 1940s photo (courtesy of Charlie Evans) of a glider (model unidentified) & a Vultee BT-13 in front of the Grand Prairie hangar.

A circa late 1940s photo (courtesy of Charlie Evans) of a Boeing Stearman biplane at Grand Prairie Airport.
Charlie Evans reported, “My father was there for the Southwest Soaring Meet.” White lettering for this event on the fuselage of several planes inidcated it was held 7/24-8/1”
John Price recalled, “Texas Soaring Association was based here from 1949-65.”
Frank Strickler recalled, “The Curtis/Navy/TX AANG/civil field east of Grand Prairie...
I flew in & out of the field at the same time the Guard had L-19s in the hangar.
I don't recall any civil hangars but long rows of tie-downs.
I think James Almand kept his Mustang in the old hangar before the Guard got it.”

A circa 1950-52 photo (courtesy of Alden Gaw) of a Navy K-class blimp with the Grand Prairie hangar & control tower in the background.

A circa 1950-52 aerial view (courtesy of Alden Gaw) looking north at a Navy blimp on Grand Prairie's hexagonal pad.
According to a TX Historical Commission sign, “In 1953 the Navy authorized the Department of the Army
to use the installation for the Air Section (later the 149th Aviation Battalion) of the 49th Armored Division of the TX National Guard.”
John Price recalled, “Much of this video documentary was shot at the old airport in 1954.”

A circa 1954 Navy map of Ft. Worth area Navy airfields (National Archives, courtesy of Ron Plante) depicted Grand Prairie as “OF 26803”.
Alden Gaw related, “I also recall the 49th Texas Air National Guard unit operating out of the airport throughout the mid-1950s & 1960s.”
Dallas resident Jerry Felts recalled, "As a child, our family used to pass by once a month or so on Highway 80 on our way to Ft. Worth to visit relatives.
I always thought the activity there to be a letdown after just passing by Navy Dallas & seeing all those amazing aircraft taking off & landing there.
I remember seeing my first parachute jump there in the late 1950s as it was the home, at that time, of the Dallas Parachute Association.
Also, there was a glider operation there at the time.
I don't know how all that fit in with the ANG operation but seems that at the time it was dormant as to military use."

Grand Prairie Airport hosted the glider Nationals in 1956.

A 1958 aerial view depicted Grand Prairie still largely in its WW2 configuration, with the 2 hexagonal landing mats.
But by this time the field had been reused as a general aviation airport.

A closeup from the 1958 aerial photo depicted 2-dozen general aviation aircraft parked on Grand Prairie's northwest ramp.
A row of T-hangars had been added on the south side of the ramp for small general aviation aircraft.

By 1959 the Navy had evidently vacated the field & it became once again the Grand Prairie Airport,
as that is how it was labeled on the 1959 USGS topo map.

The status of the Grand Prairie airfield was not clear by 1960,
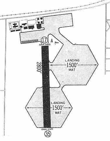
as it was listed as "Grand Prairie (AFA)" in the 1960 Jeppesen Airway Manual (courtesy of Chris Kennedy).
It was depicted as having a single 2,800' paved Runway 17/35,
in addition to the two 1,500' hexagonal landing mats.
A ramp was depicted on the northwest side of the field, with multiple buildings.
According to a TX Historical Commission sign, “In 1962 the Army authorized the City of Grand Prairie to use 195 acres as a public airport.”

The 1963 TX Airport Directory (courtesy of Steve Cruse)
depicted the "Grand Prairie Airport" as having a total of 3 asphalt runways
(2,900' Runway 17/35, 3,000' Runway 2/20, and 1,800' Runway 11/29)
which were superimposed on the 2 former Navy hexagonal landing mats.
The southeast portion of the northeastern asphalt hexagonal former landing mat
was designated as a general aviation tie-down area.
A paved ramp on the north side of the runways had a Civil Air Patrol hangar & a National Guard hangar.
The manager was listed as E.E. Longbrake.
According to a TX Historical Commission sign, “The city sold 127 acres in 1964 & built a larger airport south of this site”,
4 miles to the southwest, on the site of the former Tower NOLF.
Apparently the original Grand Prairie Airport site was constrained geographically,
and the runway could not be lengthened to accommodate jets.
Jerry Felts recalled, "In the late 1960s there was some military helicopter activity at the facility
but the equipment (CH-37 Mojave) seemed obsolete compared to the state of the art for the time.
I spent a weekend at the AANG facility while in the Sea Scouts in 1962
and there was still a military chow hall & other administration offices operational at the time
along with some light observation type aircraft that were parked on the asphalt ramp by the hangar."

The July 1968 DFW Sectional Chart (courtesy of Chris Kennedy)
depicted both the "Grand Prairie AAF" along with the new "Grand Prairie" Municipal Airport to the southwest.
Sam Swinnea recalled, “The old Grand Prairie Airport with the 2 hexagonal pads...
I grew up about 2 blocks away from there, to the north, and I remember during the late 1960s there was a National Guard base there.
There were only helicopters & some trucks there due to the city airport being moved to the south & built new from the ground up.
The old airport could not be expanded due to a drop off to the south.
The National Guard base was totally open & anyone could walk right up to the helicopters & look them over.
They were smaller ones but there must have been larger ones there as well since a paratrooper Guard unit depended on them to supply aircraft for their jumps.
The road that was built through the middle of the airport, the one that runs north to south, was the first part of Grand Prairie's 'Loop Nine' which was never built.
This road was to enclose Dallas County in the same way Loop Twelve does but the road never received any funding.
Grand Prairie was intent on pushing this road through & even secured the right of way which can be seen in the last photo.
Securing this right of way was easy since the city owned the land.
And since the city owned the land a few buildings were built on the west side of the property.
A police station, a library, and a US Post Office and then the land was developed for commercial uses.
There were warehouses built along the west side of the right of way & a bank building built upon the east side.
The road was expanded to 4 lanes with a wide median to lay claim to the entire right of way.”

Curiously, the 1968 USGS topo map still depicted the “Municipal” Airport with its 2 hexagonal landing pads, taxiways, and hangars,
but it also depicted that a new road had been built through the middle of the airfield.
A building had been built in the center of the northeastern landing pad, evidently a row of T-hangars for civilian aircraft.
A 9/18/68 USGS aerial photo showed 3 large helicopters (what appear to be Sikorsky CH-37 Mojave heavy-lift helicopters)
parked on Grand Prairie's northwest ramp.
A row of T-hangars had been built over the eastern hexagonal landing pad, and a dozen light planes were parked around it.
Alden Gaw recalled, “During the late 1960s & early 1970s
I noticed business developments encroached onto the eastern side of the airport,
first with a bank building & quickly followed by other commercial operations.”

A closeup from the 1970 aerial photo depicted 3 large helicopters (what appear to be Sikorsky CH-37 Mojave heavy-lift helicopters)
parked on the ramp at Grand Prairie.
The row of T-hangars along the south side of the ramp had been removed at some point between 1958-70.

The July 1971 Dallas Sectional Chart Dallas inset (courtesy of Ron Plante)
depicted Grand Prairie AANG as having a 2,900' paved north/south runway.

A 1972 aerial view still showed the hexagonal landing pads to be recognizable,
but it appeared as if the aviation use of the property had ended, with cars & other objects parked along the former ramp area.
The main hangar appeared to remain standing.
The 1973 USGS topo map no longer depicted the landing pads or any runways.
The former hangars at the northwest corner were still depicted, but some of them had been removed.

“Grand Prairie AANG”, as depicted on a 1973 DFW Terminal Control Area Chart (courtesy of Fred Fischer).
According to a TX Historical Commission sign, “The 19th Aviation Battalion remained until 1976, when the airfield was closed.”
By the time of the 1978 DFW Sectional Chart (courtesy of Ray Brindle),
nothing at all was depicted at the site of the original Grand Prairie airfield.
On a 1979 aerial view, the hexagonal landing pads were no longer discernible at all.
The airport property was turned into an industrial park,
with 2 large buildings having been built on the west side of the property,
and there was no longer any recognizable trace of the former airfield.
On the 1981 USGS topo map, a 2nd road had been built through the former airfield.
In the 1995 USGS aerial photo, the majority of the Grand Prairie AANG site still consisted of an open grass field,
with no trace perceptible of the former asphalt landing mats.
Numerous buildings had been constructed along the west & north sides of the property.
In 1998 a TX Historical Commission sign was erected commemorating Grand Prairie Airfield.

A circa 2001 aerial photo of the site of Grand Prairie Airport.
Jerry Felts said, "I was out there about a year ago to see if there were any remains of the runway or anything else about the place
but all I could find was a couple of concrete structures that looked like bases for runway lighting."

Entrance sign to the new Curtiss-Wright Village.
Jerry Felts pointed out, "That place been totally developed since I was there last year [2001].
My compliments to the people who are building the Curtiss-Wright Development, what a great way to honor a former aviation site.
All the streets are either famous aircraft names or named for famous aviators.”
As pointed out by Scott O'Donnell, 15 acres of what was formerly the Curtiss-Wright Airfield are being redeveloped in 2002 as Curtiss-Wright Village,
a community of 102 town homes.

A 6/8/11 photo of a 1998 TX Historical Commission sign commemorating Grand Prairie Airfield.
The site of the Curtiss-Wright Airport is located southwest of the intersection of Jefferson Street & Carrier Parkway.
____________________________________________________
Arlington Field / Naval Outlying Landing Field 25811, Arlington, TX
32.688, -97.128 (Southwest of Dallas NAS, TX)

A 12/28/42 USN map depicted “Arlington Field” (National Archives, courtesy of Brian Rehwinkel).
Arlington Field was built during WW2 as one of 20 satellite fields used by Dallas NAS.
According to Brian Rehwinkel, “This one of the larger fields used for Navy training in the area.
This property was acquired by condemnation in July 1942 for just under $27,000.
The 'Tarrant' tract consisted of 340 acres, and sometime in late Summer or Fall in 1942, the Navy added an octagonal asphalt mat, 1,650' in width.
The mat also had a 'parking area' connected to the mat with a taxiway.
The mat allowed the field to be used after rains, when many other turf fields were unsuitable for use.
The Navy made a significant investment in the field – the mat & parking area cost just over $222,000.”
The earliest depiction which has been located of Arlington Field was a 12/28/42 USN map of the outlying landing fields for Naval Reserve Aviation Base Dallas (National Archives, courtesy of Brian Rehwinkel).
It depicted Arlington Field as having a paved octagon landing surface on the north side, a paved ramp on the west side, and 2 airfield circle markings on grass areas to the southwest & southeast.
Arlington Field was not yet depicted on the February 1943 Dallas Sectional Chart.

A 2/22/43 USN aerial view looking northwest at Arlington Field (National Archives photo, courtesy of Brian Rehwinkel).
The airfield consisted of 3 landing areas: a paved octagon landing surface on the north side, and 2 airfield circle markings on grass areas to the southwest & southeast.
Two single-engine aircraft were visible on the airfield: one on the west side of the paved octagon, and another at the northwest edge of the landing circle in the middle of the octagon.
A taxiway led from the paved octagon to a large rectangular paved ramp area on the west side.

An 8/10/43 site map of “Arlington Field” (National Archives, courtesy of Brian Rehwinkel).
It depicted the airfield having a 1,650' wide paved octagon landing surface on the north side, a ramp on the west side, and an unpaved octagon landing surface to the southwest.

The earliest aeronautical chart depiction which has been located of Arlington Field / NOLF 25811 was on the March 1944 Dallas Sectional Chart.
According to Brian Rehwinkel, “The field was used to at least 1946.
According to a Navy document dated December 1946, the City of Arlington made a request to use the field in connection with the North TX Agricultural College
(now University of Texas Arlington) in connection with an aviation training program at the college.”
Arlington NOLF was still depicted as an active Navy airfield on the March 1947 Dallas Sectional Charts (courtesy of Chris Kennedy).
Arlington was still depicted as a Navy airfield on the 1948 USAF Urban Area Chart.

The last aeronautical chart depiction which has been located of Arlington NOLF was on the February 1950 Dallas Sectional Chart.
It depicted "Arlington (Navy)" as having a 1,300' paved runway.
According to Brian Rehwinkel, “Sometime before 1953, Tarrant County asked to remove the asphalt of the landing mat for use in local road paving projects,
but the Navy denied the request because the field was in the disposal process.”

The last photo which is available of Arlington NOLF was a 1/4/53 USGS aerial view,
which showed the field to remain completely intact, but with no sign of any aviation usage.
According to Brian Rehwinkel, “The property was declared surplus & transferred to the City of Arlington in 1953 according the US Army Corps of Engineers documents.”

A circa 1954 Navy map of Ft. Worth area Navy airfields (National Archives, courtesy of Ron Plante) depicted “Arlington Field OF 25811”.
Arlington NOLF was no longer depicted on the February 1955 Dallas Sectional Chart.
A 1957 aerial view showed that Arlington NOLF remained intact, though deteriorated.
Arlington NOLF was not depicted at all on the 1959 USGS topo map or a 1960 Humble Oil DFW road map.
The pavement of Arlington NOLF was evidently removed at some point between 1957-63,
as a 1963 aerial view showed that the outline of the airfield was still recognizable, although the pavement had been removed.
A 1970 aerial view showed that the airfield outline of Arlington NOLF was still barely recognizable.
A 1979 aerial view showed that houses had covered the site of Arlington NOLF at some point between 1970-79.

A 2018 aerial view looking north showed no trace remained of Arlington NOLF.
The site of the Arlington NOLF is located northeast of the intersection of South Cooper Street & West Arbrook Boulevard.
Arlington NOLF is not to be confused with the Arlington Municipal Airport,
which was built at a later date on a different site a few miles to the southeast.
Thanks to Ed Jerue for determining the location of this field.
____________________________________________________
Mansfield Naval Outlying Landing Field / OLF 22614, Mansfield, TX
32.575, -97.092 (Southwest of Dallas NAS, TX)

The location of Mansfield NOLF, as depicted on a 1942 Navy map of Dallas Outlying Fields (courtesy of John Voss).
This field was built during WW2 as one of 20 satellite fields used by Dallas NAS.
The date of construction of Mansfield NOLF has not been determined.
The earliest depiction which has been located of Mansfield NOLF was on a 1942 map of Dallas NRAB Outlying Fields (courtesy of John Voss).
Mansfield NOLF was not yet depicted on the February 1943 Dallas Sectional Chart.

At the time of a 1943 aerial view (National Archives photo), the airfield consisted of no less than 8 paved runways,
arranged evenly around the compass.
This arrangement removed any need to ever have to land in a crosswind, which was desirable for beginning flight students.

The earliest aeronautical chart depiction which has been located of Mansfield NOLF was on the March 1944 Dallas Sectional Chart.
It depicted Field 21614 as an auxiliary airfield, along with the many other Navy Outlying Fields in the area.
Beachwalker recalled, “The Mansfield Airport... I lived not a mile from the Airport
and can remember the Navy training planes coming over the house
and my grandfather saying that one is going to crash but none that I remember ever did.
There were barracks & Quonset Huts. I can also remember them clearing land for the runway etc.
The runway was pointed south from Fruit Street and the planes went over the Norton Reservoir in taking off.
There was in addition to the barracks, one of those obstacle courses, I guess for training or for keeping the pilots in condition.”

The last aeronautical chart depiction which has been located of Mansfield NOLF was on the January 1948 Dallas Local Aeronautical Chart.
It depicted “Mansfield (Navy)” as having a 1,500' paved runway.
Mansfield was still depicted as an active Navy airfield on the 1948 USAF Urban Area Chart,
but it may have been abandoned by that point.
According to Brian Rehwinkel, “At Mansfield OLF the General Services Administration allowed Tarrant County to remove the asphalt for use in local paving projects.”

A circa 1954 Navy map of Ft. Worth area Navy airfields (National Archives, courtesy of Ron Plante) depicted “Mansfield OF 21614”.
The Mansfield airfield was no longer depicted at all on the 1959 USGS topo map, the 1960 Humble Oil DFW road map,
or the 1964 DFW Sectional Chart (courtesy of Ross Richardson).
In a 1970 aerial view, the outside perimeter of the former airfield remained recognizable,
but not even a trace remained of the former arrangement of 8 paved runways.

As can be seen in the 1995 USGS aerial photo of the site of Mansfield NOLF, the overall shape of the former airfield remains recognizable
(note the similarity to the airfield outline as depicted in the 1948 chart).
However, not a trace remains (not even a "scar" in the grass) of the former arrangement of eight paved runways.
According to Micheal Ritter, “They started construction in 2002” of “the new Mansfield High School” on the south side of the property,
as seen in a 2003 aerial photo of the site of Mansfield NOLF (courtesy of David Brooks).
The site of Mansfield NOLF is located southeast of the intersection of North Miller Road & Cannon Drive.
Thanks to David Brooks for determining the location of this field.
____________________________________________________
Five-Points Field / Naval Outlying Landing Field 22913 / , Watsonville, TX
32.624, -97.122 (Southwest of Dallas NAS, TX)

This field was labeled "Baker-Mansfield" on a 1942 Navy map of Dallas Outlying Fields (courtesy of John Voss).
This field was built during WW2 as one of 20 satellite fields used by Dallas NAS.
It was also known as Field 22913, the numbers indicating it was on compass heading 229 from the main field & 13 miles away.
The date of construction of Five-Points NOLF has not been determined.
The earliest depiction which has been located of Five-Points NOLF
was on a 1942 map of Dallas NRAB Outlying Fields (courtesy of John Voss), which labeled it as "Baker-Mansfield".
Five-Points NOLF was not yet depicted on the February 1943 Dallas Sectional Chart.

The earliest photo which has been located of Five-Points NOLF was a 1943 aerial view (National Archives photo).
The airfield consisted of four 1,500' paved runways.

The earliest aeronautical chart depiction which has been located of Five-Points NOLF was on the March 1944 Dallas Sectional Chart.
It depicted Field 22913 as an auxiliary airfield, along with the many other Navy Outlying Fields in the area.

A June 1944 Navy layout (National Archives, courtesy of Ron Plante) described “Five Points Field” as a 162 acre property having 4 runways.

The January 1948 Dallas Local Aeronautical Chart depicted “ Five Points (Navy)” as having a 1,500' paved runway.
"Five Points Airfield (Navy)" was still depicted as an active airfield on the 1948 USAF Urban Area Chart,
but that may have been an oversight.

The last aeronautical chart depiction which has been located of Five Points NOLF was on the August 1950 Dallas Sectional Chart.
It depicted “ Five Points (Navy)” as having a 1,500' paved runway.
Five Points NOLF was evidently closed as an airfield at some point between 1950-51,
as the airfield was no longer depicted on the March 1951 Dallas Sectional Chart,
which instead just depicted airspace of a circular “Danger Area”.

A 1/4/53 USGS aerial view showed the 4 runways of the former Five-Points airfield,
as well as the bomb target bull's-eye which had been built just east of the runways.

A circa 1954 Navy map of Ft. Worth area Navy airfields (National Archives, courtesy of Ron Plante) depicted “Five Points OF 22913”.
Five-Points NOLF was not depicted at all on the 1959 USGS topo map or a 1960 Humble Oil DFW road map.

A 1970 aerial view showed the 4 runways of the former Five-Points airfield,
as well as the bomb target bull's-eye which had been built just east of the runways.
A 1990 aerial photo showed that trailers had been situated over the eastern half of the airfield,
but the distinctive shape of the landing field was still discernible on the western half.

A 1995 USGS aerial view looking north showed the distinctive shape of Five Points Field was still discernible on the western half,
but the eastern half of the field was covered with a trailer park.
According to a site visit conducted by Scott Murdock, by 2001 the western half of Five Points Field had been partly covered with new homes,
and the rest had been recently graded & work begun on utilities & roads.
During construction of the housing development on the site, 2 miniature practice bombs were found.

A 2002 Army Corps of Engineers figure (courtesy of Jim Azelton) overlaid the former Five-Points NOLF runways (in red) over the modern street layout.
A 2003 aerial photo of the Five-Points NOLF site (courtesy of David Brooks) showed that the entire property had been covered by new homes,
with all traces of the former airfield now gone.

A 2001 Army Corps of Engineers diagram of the WW2-era boundaries of the Five Points airfield (green)
and its former bombing range (yellow).

A 2016 aerial view looking north showed the site of Five Points Field covered by dense housing.
The site of Five Points Field is located southwest of the intersection of Harris Road & Matlock Road.
____________________________________________________
Or if you prefer to contact me directly concerning a contribution (for a mailing address to send a check),
please contact me at: paulandterryfreeman@gmail.com
If you enjoy this web site, please support it with a financial contribution.
____________________________________________________
This site covers airfields in all 50 states.