Abandoned & Little-Known Airfields:
Northwestern Oregon
© 2002, © 2026 by Paul Freeman. Revised 2/15/26.
This site covers airfields in all 50 states: Click here for the site's main menu.
____________________________________________________
Please consider a financial contribution to support the continued growth & operation of this site.
Bernard Field (revised 6/28/21) - Corvallis Airport (original location) (added 3/12/22) - Corvallis Junction Airport (added 1/16/22) - Dallas Airport / Cards Airpark (revised 3/23/25)
Green River Airfield (revised 12/31/22) - Langmack Field (revised 4/17/20) - Lyndon Airport (added 3/12/22) - Oregon City Airpark (revised 5/10/23)
(Original) Portland Municipal Airport / Swan Island Airport / Swan Island Heliport (revised 12/23/23) - Skylife Airport (revised 6/29/19) - Silverton Airport (revised 12/31/22)
Tillamook Municipal Airport / Tillamook American Legion Airport / Tillamook Coastway #1 Airport (added 8/30/20) - Tongue Point NAS (revised 2/15/26)
Troh's Airport / Division Street Airport (revised 12/31/22) - Troh's Nest / Troh's Memorial Air Park / Happy Valley Airport (revised 12/31/22) - Troh's Skyport (revised 12/31/22) - Wells Airport (revised 6/28/21)
____________________________________________________
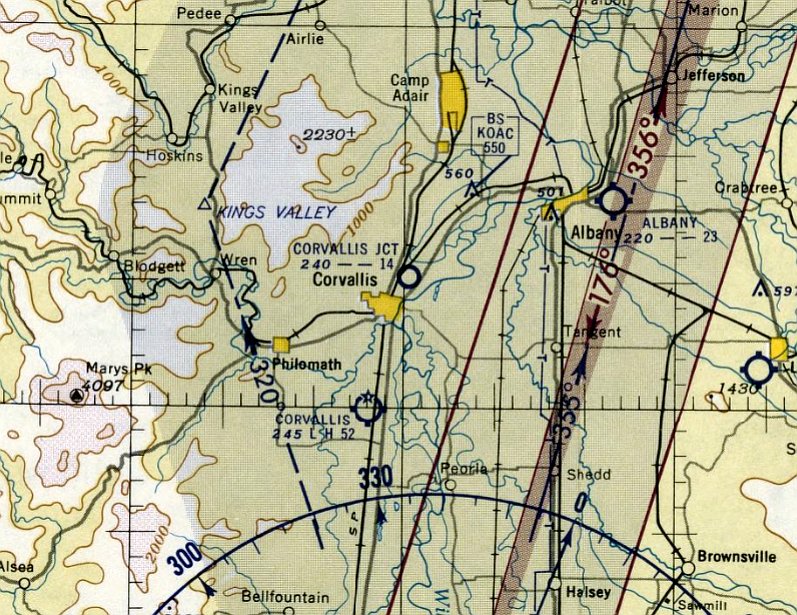
Corvallis Airport (original location), Corvallis, OR
44.58, -123.263 (Southwest of Portland, OR)

Jonathan Westerling reported, “Prior to WW2, Dick Lyndon built no less than 3 airfields in succession around Corvallis during the 1930s (according to information from OSU Special Collections).”
The date of construction of the original Corvallis Airport (to the north of the town) has not been determined.
The earliest depiction which has been located of Corvallis Airport was a 1930 photo looking west at a crowd, several biplanes, and hangars (from OR State University, courtesy of Lee Corbin).
According to the caption, the road behind the hangars was Grant Street. The field was bordered on the east side by a dirt road which is now Northwest Highland Avenue.
The field was operated by Albert Parmenter & Dick Lyndon.
The airplane on the right was a 1929 Swallow owned by Joe Chamberlin, Slats Gill, and Roy Getz.
The middle plane was a 1929 American Eagle, and the plane in the foreground was a 1925 WACO "9" powered by a 90 H.P. OX-5 engine.
According to the OR State University, the original Corvallis Airport (to the north of the town) “was abandoned in 1930 when Parmenter moved to Eugene.
Lyndon started another airport on South 3rd Street at what is now Goodnight Avenue.”

The earliest aeronautical chart depiction which has been located of Corvallis Airport was on the June 1934 Portland Sectional Chart (courtesy of Lee Corbin).
It depicted Corvallis Airport as an auxiliary airfield located to the north of the town.
The original Corvallis Airport was no longer depicted on the April 1935 Portland Sectional Chart
or the 1937 USGS topo map.
A 1954 aerial photo showed no trace of the original Corvallis Airport.

A 2020 aerial view showed no trace remaining of the original Corvallis Airport.
Thanks to Lee Corbin for pointing out this airfield.
____________________________________________________
44.537, -123.267 (Southwest of Portland, OR)

Lyndon Airport, as depicted on the June 1934 Portland Sectional Chart (courtesy of Lee Corbin).
Jonathan Westerling reported, “Prior to WW2, Dick Lyndon built no less than 3 airfields in succession around Corvallis during the 1930s (according to information from OSU Special Collections).”
According to the OR State University, the original Corvallis Airport (to the north of the town) “was abandoned in 1930 when Albert Parmenter moved to Eugene.
Dick Lyndon started another airport on South 3rd Street at what is now Goodnight Avenue.”
The earliest depiction which has been located of Lyndon Airport was on the June 1934 Portland Sectional Chart (courtesy of Lee Corbin).
It depicted Lyndon Airport as a commercial/municipal airport located south/southeast of the town.
Lyndon Airport was not depicted on the 1937 USGS topo map.

According to the caption, the airplane 2nd from left was a Rearwing Sportster 942, the next-to-last plane was a 1936 Alexander Eaglerock, and the aircraft at right was a Fairchild 24.

The last aeronautical chart depiction which has been located of Lyndon Airport was on the July 1942 Portland Sectional Chart.
It depicted Lyndon Airport as a commercial/municipal airport.
According to the OR State University, Lyndon Airfield was located west of Highway 99 West on Herbert Avenue, and was operated by Dick Lyndon (of Lyndon Airways).
It was abandoned in 1942.
Lyndon Airport was no longer depicted on the or the 1942 USGS topo map
or the April 1944 Portland Sectional Chart.
A 1954 aerial photo showed no the remains of what may have been an unpaved northeast/southwest runway at the site of Lyndon Airport.

A 2020 aerial view showed no trace remaining of Lyndon Airport.
Thanks to Lee Corbin for pointing out this airfield.
____________________________________________________
Corvallis Junction Airport, Corvallis, OR
44.58, -123.255 (Southwest of Portland, OR)

Corvallis Junction Airport, as depicted on the October 1946 Portland Sectional Chart (courtesy of Jonathan Westerling).
Photo of the airport while in use has not been located.
Jonathan Westerling reported, “The Corvallis Junction Airport was apparently the result of a combination of postwar aviation excitement combined with the short-lived need for a public airfield.
Prior to WW2, Dick Lyndon built no less than 3 airfields in succession around Corvallis during the 1930s (according to information from OSU Special Collections).
The last of these was closed during WW2, and the Army built a significant military airfield south of town.
Eventually this military airfield was offered to the City as its municipal airfield, however before this occurred, a 2nd public airfield was built just east of downtown to serve as a commercial airport.”
Corvallis Junction Airport (on the northeast side of the town) was not yet depicted on the April 1946 Portland Sectional Chart.
The earliest depiction which has been located of Corvallis Junction Airport was on the October 1946 Portland Sectional Chart (courtesy of Jonathan Westerling).
It depicted Corvallis Junction Airport as having a 2,000' unpaved runway.

The 1946 Airman's Guide (courtesy of Jonathan Westerling) depicted Corvallis Junction Airport as having a 2,000' runway & fuel, but no aircraft storage.
The 1947 Decker's Pacific Guide listed Corvallis Junction Airport as using right traffic when landing north (to avoid overflying the downtown area).
The 1948 Haire Airport Guide listed the Corvallis Junction Airport as having gained an administration building, having facilities for major AE repairs, and Joseph Chapman as the manager.

The 1949 OR Airport Directory (courtesy of Jonathan Westerling) showed Corvallis Junction Airport as having a traffic pattern only on the east side (avoiding housing on the other side of the railroad),
and listed the manager as Harry Harris.
The 1950 Airman's Guide listed Corvallis Junction Airport as inactive, which would indicate that the Corvallis Army Airfield had been fully converted to municipal use by this time.

The only topo map depiction which has been located of Corvallis Junction Airport was on the 1953 USGS topo map.

The last depiction which has been located of Corvallis Junction Airport was on the April 1953 Portland Sectional Chart (courtesy of Jonathan Westerling).
It depicted the runway length as having shrunken to a mere 1,400'.
Corvallis Junction Airport was no longer depicted on the October 1953 Portland Sectional Chart.
A 1954 aerial photo showed the Corvallis Junction Airport runway as remaining clear, but there was no indication of recent aviation use.
Corvallis Junction Airport was no longer depicted on the 1956 USGS topo map.

A 2020 aerial view looking northwest showed the Corvallis Junction Airport runway remained mostly intact.

A 12/19/21 photo by Jonathan Westerling looking northeast along the remains of the Corvallis Junction Airport runway.
Jonathan reported, “Astonishingly the original turf runway is still clear & undeveloped 70 years later. It is municipally owned; kept clear but used by the DPW for storage.”
Thanks to Jonathan Westerling for pointing out this airfield.
____________________________________________________
Tillamook Municipal Airport / Tillamook American Legion Airport / Coastway Airport /
Coastway School of Aeronautics Airport / Tillamook County Municipal Airport /
Tillamook Coastway #1 Airport, Tillamook, OR
45.454, -123.809 (South of Portland, OR)

Tillamook Municipal Airport, as depicted on the 1929 Landing Fields of the Pacific Northwest (courtesy of Jonathan Westerling).
Photo of the airport while in use has not been located.
This little airport went through a succession of at least 6 different names over 36 years.
The date of establishment of Tillamook Airport has not been determined.
The earliest reference which has been located of Tillamook Airport was in a 1921 Aeronautical Bulletin.
It described an emergency airfield with two 1,600' runways at the County Fairgrounds.
The earliest depiction which has been located of Tillamook Airport was on the 1929 Landing Fields of the Pacific Northwest.
The 1931 Landing Fields of the Pacific Northwest described Tillamook Municipal Airport as being operated by the American Legion Post.
It was said to have two 1,500' gravel runways.
The 1932 Aeronautical Bulletin described Tillamook American Legion Airport as having one 1,800' gravel runway.
The 1936 Aeronautical Bulletin described Tillamook American Legion Airport as having one 3,000' sod northwest/southeast runway.
Jonathan Westerling reported, “During WWII the Navy built a substantial airfield south of the city (with 2 blimp hangars).”

The 1946 Flight Chart (courtesy of Jonathan Westerling) depicted Tillamook Coastway Airport as an auxiliary airfield.
Jonathan Westerling reported, “After the war, the Navy retained its airbase for a few years, so the Municipal Airport at the fairgrounds continued to be used as the 'public' airport for civilian aviation.
A company called the 'Coastway School of Aeronautics' was formed in Tillamook & the County airfield adopted the school's name.
By 1948, the Navy had sold its larger airfield to the city (not the county).
Over the next several years, all aviation operations transitioned to the city's larger airfield

The 1948 USGS topo map depicted Tillamook Coastway #1 Airport as well as the Tillamook Coastway #2 Airport (the larger former Navy airfield to the south).

The 1949 OR Airport Directory (courtesy of Jonathan Westerling) depicted Tillamook County Airport as having a single 2,600' turfed & gravel northwest/southeast runway.
The manager was listed as W.J. Herd.

The last photo which has been located of Tillamook Coastway #1 Airport was a 7/31/53 USGS aerial view.
It depicted Tillamook Coastway #1 Airport as having a single unpaved northwest/southeast runway adjacent to the Tillamook Fairgrounds.
There were no aircraft visible on the field.

The 1955 USGS topo map depicted a single unpaved northwest/southeast runway adjacent to the Tillamook Fairgrounds, generically labeled as “Airport”.

The last aeronautical chart depiction which has been located of Tillamook Coastway #1 Airport was on the Portland 1957 Sectional Chart (courtesy of Jonathan Westerling).
It depicted Tillamook Coastway #1 Airport as having a 2,100' unpaved runway.
Tillamook Coastway #1 Airport was evidently closed at some point between 1957-58,
as it was no longer depicted on the 1958 Portland Sectional Chart.
A 1982 aerial view showed a clearing was still recognizable on the south side of the fairgrounds which corresponded to the former northwest/southeast runway.

A 2017 aerial view showed a clearing was still recognizable on the south side of the fairgrounds which corresponded to the former northwest/southeast runway.
Thanks to Jonathan Westerling for pointing out this airfield.
____________________________________________________
45.455, -122.616 (South of Downtown Portland, OR)

Wells Airport, as depicted on the April 1947 Portland Sectional Chart.
This small general aviation airport on the south side of Portland was evidently established at some point between 1946-47,
as it was not yet depicted on the October 1946 Portland Sectional Chart.
The earliest depiction which has been located of Wells Airport was on the April 1947 Portland Sectional Chart.
It depicted Wells as having a mere 1,700' unpaved runway.

The 1947 OR Airport Directory (courtesy of Richard Loenetti) described Wells Airport as having a 1,700' soil & turf east/west runway.
The manager was listed as Zon Wells.

The only topo map depiction which has been located of Wells Airport was on the 1952 USGS topo map.
It depicted Wells Airport as having a short east/west runway, with 3 small buildings on the west side.
The only photo which has been located of Wells Airport was a 1952 aerial view.
It depicted Wells Airport as having a short east/west runway, with a light single-engine aircraft parked near 2 small buildings on the southwest side.
Bill Prendergast recalled, “I grew up in the Eastmoreland neighborhood, at 28th & Lambert Streets.
Amongst my parents' friends was Gene Waddle, a private pilot who flew a nice, radial-engined Cessna….either a 190 or a 195 taildragger.
When I was about 12 years old (1954), I was aviation crazy.
Beside building dozens of model planes & flying control line models, I LOVED to visit airports, especially small ones where you could ride your bike out & peer into the parked airplanes.
So I was not unfamiliar with the small airports in the East Portland area. But I had never known of the existence of Zon Wells Airport.
In 1954,when I found out that my parents' friend, Mr. Waddle had an airplane (!) I began a steady campaign of convincing them to wangle me a ride.
Finally that paid off & Gene Waddle, a very nice guy, spent some time on a Saturday taking me for an airplane ride.
My mom drove me to a very small airport not far from our home where Mr. Waddle had landed to meet us. I had never heard of that airport & never knew it’s name.
But I remember where it was… pretty close to my home. It was in a partly built up, suburban/rural (in those days!) area.
There’s no doubt in my mind that Zon Wells Airport is where we were.
After showing me his plane, Mr. Waddle strapped me in the right seat & took me for a nice ride around the Portland area (no TCAs in those days!).”
Wells Airport evidently closed at some point between 1954-60,
as a 1960 aerial photo showed the property covered by dense suburban houses.
Yet another of America's thousands of grassroots airports swallowed by the insatiable demand for housing.

A 2017 aerial photo showed no trace remaining of Wells Airport.
The site of Wells Airport is located at the intersection of Southeast Fieldcrest Street & Southeast Fieldcrest Drive.
Thanks to Richard Leonetti for pointing out this airfield.
____________________________________________________
45.54, -122.518 (East of Downtown Portland, OR)

Skylife Airport, as depicted (along with a dizzying array of other Portland-area general aviation airports) on the April 1947 Portland Sectional Chart.
This small general aviation airport on the east side of Portland was evidently established at some point between 1946-47,
as it was not yet depicted on the October 1946 Portland Sectional Chart.
The earliest depiction which has been located of Skylife Airport was on the April 1947 Portland Sectional Chart.
It depicted Skylife as having a 2,800' unpaved runway.

Skylife Airport, as depicted (along with a dizzying array of other Portland-area general aviation airports) on the 1949 USGS topo map.

The only photo which has been located showing Skylife Airport was an October 1951 aerial view.
It depicted Skylife Airport as having a 2 unpaved runways, with some small buildings & over a dozen light aircraft parked on the southeast side.

The last aeronautical chart depiction which has been located of Skylife Airport was on the September 1954 Portland Sectional Chart.
It depicted Skylife as having a 2,400' unpaved runway.

Skylife Airport was evidently closed in 1954, as it was labeled “Abandoned Airport” on the 1954 USGS topo map.
It was depicted as having a single northwest/southeast runway, with one small building on the southeast end.
According to “The Russell Neighborhood's Boundary & Housing Development”,
“The Russell neighborhood’s Skylife Airfield was sold after loosing it’s bid to become the Portland Airport in 1954 & developed into the Clifgate subdivision.
The 121-acre site previously occupied by the Skylife Airfield became the largest housing project on Portland’s Eastside in 1955.”
Skylife Airport was no longer depicted on the April 1955 Portland Sectional Chart.
A 1960 aerial view showed no trace remaining of Skylife Airport, with houses & a school covering the property.

A 2016 aerial photo showed no trace remaining of Skylife Airport.
The site of Skylife Airport is located north of the intersection of Northeast Eugene Court & Northeast 142nd Avenue.
____________________________________________________
Dallas Airport / Cards Airpark, Dallas, OR
44.932, -123.314 (Southwest of Portland, OR)

Dallas Airport, as depicted on the April 1946 Portland Sectional Chart.
The Dallas Airport was not yet depicted on the April 1945 Portland Sectional Chart.
According to the article “Planes to fly again at Card's Airpark on Saturday” by Joelene Guzman in the 7/15/15 Polk County Itemizer-Observer,
“In 1946, the Card family purchased 50 acres of land for what would become Card’s Airpark.
Joe & Betty & a small crew built the hangar by hand.”
The earliest depiction which has been located of Dallas Airport was on the April 1946 Portland Sectional Chart.
It depicted Dallas as an auxiliary airfield.
The March 1949 Portland Sectional Chart (courtesy of Chuck Jarecki) depicted Dallas Airport as having a mere 1,900' unpaved runway.

Dallas Airport, as depicted on the 1953 USGS topo map.

The earliest photo which has been located of Cards Airpark was an August 1955 aerial view.
It depicted Cards Airpark as having a single northeast/southwest runway, with a hangar on the east side.
No aircraft were visible on the field.

An undated photo of Cards Airpark owners/operators Joe & Betty Card,
in front of a Waco UPF-7 biplane presumably at their airpark.
Jim Grant reported in 2016, “N29986 is currently registered to a Marc Roberts of Thomasville PA.”

An undated photo of the Dallas Flying Service hangar at Card's Airpark, showing how they also performed automotive service to help support the airpark.
Diane Weaver & Bette Jo Lawson, the daughters of Joe & Betty Card, have fond memories of the airpark’s heyday.
“My sister Bette Jo & I grew up walking around the airplanes & playing in the crashed airplanes,” Weaver recalled.
“There was always something to talk about at school because there was always something special that happened, a big, huge plane (landing at the airpark),” Weaver said.
For many in Dallas at the time, Card’s Airpark went by another name: the Dallas Airport.
She said the airpark was used for fly-in events, circuses, drag racing, and even a race track was built on site.
Weaver said that track was reportedly the “fastest modified hard-top track in the Northwest.”
“He (Joe) wanted it to be like a family affair. We had picnic tables all over,” Weaver said. “There was always a lot of activity.”

A May 1972 aerial view depicted Cards Airpark presumably at its zenith of popularity,
with a total of 6 light single-engine aircraft parked near the hangar on the east side.
Note that the northeast/southwest runway seen in the 1955 photo had evidently been replaced with an unpaved east/west runway.

The 1974 USGS topo map depicted Cards Air Park as having an unpaved east/west runway.
According to the article “Planes to fly again at Card's Airpark on Saturday” by Joelene Guzman in the 7/15/15 Polk County Itemizer-Observer,
Joe Card died in 1991, and “Card’s Airpark... closed in 1993.”
“It was pretty emotional for my mom to close it because it had meant so much to my dad - and her - but especially my dad,” Diane Weaver said.
“It was very traumatic for me when we closed it because it had been a daily part of my life. … I think it’s real special.”

The last aeronautical chart depiction which has been located of Cards Airpark was on the January 1994 Seattle Sectional Chart (courtesy of Ron Plante).
It depicted Cards as a private airfield having a 2,100' unpaved runway.

A 1994 USGS aerial photo depicted Cards Airpark a year after its closure, but still remaining intact.
The remains of a segmented circle were visible on the southeast side of the site.

A circa 2011-2016 photo of the Cards Airpark hangar.
According to the article “Planes to fly again at Card's Airpark on Saturday” by Joelene Guzman in the 7/15/15 Polk County Itemizer-Observer,
“Most of the land was sold & is now occupied by Dallas Retirement Village, Safeway, Goodwill and residential homes.
All that remains is a small strip of land & the hangar, recently restored by Weaver & her sister Bette Jo Lawson, at the bottom of the hill on Orchard Drive in Dallas.”
“My sister & I didn’t want to let the building go,” Weaver said. “I think it looks pretty good now. It has all new siding & some of the trusses were rebuilt.”
They added a sign reading “Card’s Airpark: In loving memory of Joe & Betty Card.”
The article continued, “Saturday Dallas remote control plane group Dallas Wingdingers RC Club will rededicate what remains of the airpark, located at the corner of Orchard Drive & Card Avenue.
The event will include the first takeoff of a plane - albeit remote control - from the airpark in years.
Today, the hangar is like brand new after a multiple-year restoration by Diane Weaver & Bette Jo Lawson, the daughters of Joe and Betty Card.
Weaver said talk of a rededication began after a club member asked her if she had any plane artifacts from the time the airpark was open.
She didn’t have much, but she did have an unfinished model airplane she wanted to have completed.
Club members took on the task, finishing the plane & painting 'Wing Walking with Betty' across the wingspan in honor of Weaver’s mother,
who wrote a column of the same name for the Polk County Itemizer-Observer when the airpark was still open.
For Lawson & Weaver, Saturday’s rededication will honor the years of effort their parents put into maintaining the airpark in Dallas.”

A 2015 photo of the newly-restored Cards Airpark hangar.

A 2023 aerial view showed houses having covered the majority of the Cards Airpark site, but the former hangar remained intact on the east side.

A 2024 photo looking northwest at the former hangar still bearing the “Cards Airpark” sign.
The site of Cards Airpark is located east of Northwest Card Avenue, appropriately enough.
____________________________________________________
Green River Airfield, Sweet Home, OR
44.41, -122.69 (South of Portland, OR)

The Green River Airfield, as depicted on the 1984 USGS topo map.
According to Larry Nunn, “Green River Airfield... was the private airstrip of Skip Stock.
It was located on the property of the Stock family lumber business.”
Green River Airfield may have been established at some point between 1983-84,
as it was not yet depicted on the 1983 USGS topo map.
The earliest depiction which has been located of this airfield was on the 1984 USGS topo map.
It depicted a 4,200' unpaved east/west runway, labeled simply as “Landing Strip”.

The earliest photo which has been located of the Green River Airfield was a 1994 USGS aerial view looking northwest.
This is also the only photo which has been located showing an aircraft on the field: 1 single-engine light aircraft near the hangars on the northeast side.
Green River Airfield was evidently closed (for reasons unknown) at some point between 1994-98,
as it was not depicted at all on the 1998 Portland Sectional Chart (courtesy of Jonathan Westerling).

A 2014 aerial view looking northwest showed Green River Airfield's runway & hangars remained intact, but without any sign of recent aviation usage.
As of 2015, street maps label the former hangars as Riverside Christian Church.

A September 2022 photo looking south at the former Green River Airfield hangars.
Green River Airfield is located east of the intersection of Green River Road & Clark Road.
Thanks to Gary Alexander for pointing out this airfield.
____________________________________________________
Oregon City Airpark (0S2), Oregon City, OR
45.277, -122.597 (South of Portland, OR)

Oregon City Airpark, as depicted on the October 1964 USAF Operational Navigation Chart (courtesy of Chris Kennedy).
This general aviation airport was apparently built at some point between 1963-64,
as it was not depicted on the October 1960 Portland Sectional Chart or the 1961 USGS topo map,
nor listed in the 1963 AOPA Airport Directory (according to Chris Kennedy).
The earliest depiction which has been located of Oregon City Airport
was on the October 1964 USAF Operational Navigation Chart (courtesy of Chris Kennedy).
The July 1969 Portland Sectional Chart (courtesy of Chris Kennedy)
depicted Oregon City as having a single 2,500' paved east/west runway.

The 1970 USGS topo map depicted Oregon City Airpark as a single unpaved east/west runway with a few small buildings on the southeast side.
The 1976 AOPA Airport Directory (according to Chris Kennedy) described the Oregon City Airpark
as being operated by the Keystone Aircraft Company.

The earliest photo which has been located of Oregon City Airpark (and the only photo showing aircraft there)
was a September 1973 aerial view looking southwest by April Wicker (Civil Air Patrol Observer) & Frank Bueneman (Civil Air Patrol Pilot).
It showed Oregon City Airpark to have a single paved east/west runway, with several hangars & 11 light aircraft on the southeast side.

The January 1982 Seattle Sectional Chart (courtesy of Paul Columbus) depicted Oregon City Airpark as having a single 2,500' paved east/west runway.

The 1993 Flight Guide (courtesy of Chris Kennedy) depicted Oregon City Airpark as having a single 2,485' paved Runway 7/25 (which was described as "Ruf").
A parallel taxiway was located on the south side, and several hangars & small buildings were located south of the taxiway.
Ultralights were said to operate from the field.

A 1994 aerial view looking northwest showed Oregon City Airpark remained intact, but there were no aircraft visible on the field.

The last aeronautical chart depiction which has been located of the Oregon City Airpark was on the January 1994 Seattle Sectional Chart (courtesy of Ron Plante).
It depicted Oregon City as having a single 2,500' paved east/west runway.
The Oregon City Airpark was evidently closed (for reasons unknown) at some point between 1994-98,
as it was no longer depicted on the 1998 World Aeronautical Chart or the June 1999 Seattle Sectional Chart (courtesy of Ron Plante).
A 2000 aerial view showed that the end had come for this nice little airfield,
with houses having been built right up to the runway, which was evidently being reused as a street, South McDonalds Place

A 2004 aerial view looking southwest at Oregon City Airpark.

A 2015 aerial view looking northwest at the site of Oregon City Airpark, with the runway reused as a residential street.
____________________________________________________
Langmack Field, Sweet Home, OR
44.4, -122.685 (South of Portland, OR)

Langmack Field, as depicted on the April 1944 Portland Sectional Chart.
According to Jonathan Westerling, “The first airport in the little logging town of Sweet Home, Oregon was built by the town’s physician.
Robert 'Doc' Langmack PhD practiced medicine in Sweet Home for 50 years beginning in 1931, and also founded the local hospital.
While Dr. Langmack will be remembered for his medical practice
he should also be remembered for his love of flying which he considered his second passion in life next to medicine.”
Jonathan continued, “Langmack Field was originally built in the early 1940s.”
According to an undated article on the airport by Martha Steinbacher,
“By June of 1940 he had a field & a hangar completed.
The first hangar, a one-place structure, stood by itself on the south side of the field & bore the name 'LANGMACK FIELD' in large black letters.
Frequently the sound of the 'putt putt' of the mighty little 65 horse powered Continental broke the silence of the community as 'Doc' went up for a flight.
The next year World War II came & all civilian flying was banned from this area.
Not even Doctor Langmack's little Taylorcraft was allowed to fly.
The original hangar was moved to the north side of the field & joined by 3 more hangars; two 3-place hangars & one 9-place hangar plus an office.”
Langmack Field was not yet depicted on the July 1942 Portland Sectional Chart.
The earliest depiction which has been located of Langmack Field was on the April 1944 Portland Sectional Chart.
It depicted Langmack as an auxiliary airfield.
According to “Sweet Home in Linn County: New Life, New Land” by Martha Steinbacher,
Dr Landmack “made it a practice to fly over the countryside every morning watching for a white sheet placed on the ground in front of a house,
a signal that someone in that home needed his help.”

The earliest photo which has been located of Langmack Field was a late 1940s aerial view (courtesy of the East Linn Museum via Gayle Gregory).
It depicted Langmack as having a single grass east/west runway, with homes & small buildings on the north & south sides.

Langmack Field, as depicted in the 1949 OR Airport Directory (courtesy of Jonathan Westerling).
According to Jonathan, “The Directory depicted Langmack Airfield (perhaps optimistically) as having a 3,200' x 400' East/West sod & gravel runway.
The approach from the east was listed as 'blocked' by a 175’ hill in the approach.”
According to Jonathan Westerling, “Eventually the airport grew to include 3 large hangars & a runway used by many local private pilots.
The hangars were located on the north side of airport road & the runway was located on the south side.
This meant that the planes would have to look both ways before crossing Airport Road to taxi onto the runway.”
According to the book “Sweet Home’s Good Old Days” by Mona Waibel,
Larry Swain “owned & flew several different planes out of Langmack Airport after returning from the Navy.
One time he took off at dusk, there were no field lights, so he turned the hangar lights on as landing lights.
Someone unknowingly turned them off.
Landing after dark without those lights made landing a bit difficult.
Locals recall that an informal function of the airport was as a favorite 'necking' spot for high school students!”

An undated photo of 2 taildraggers in front of hangars at Langmack Field from a 1950 newspaper article (courtesy of the East Linn Museum via Gayle Gregory).
According to Jonathan Westerling, the newspaper article reported “the field was at that time home to 26 airplanes.”

The 1951 USGS topo map depicted Langmack Field as having a single east/west runway.
According to the book “Sweet Home’s Good Old Days” by Mona Waibel”,
another notable pilot at the airport was Arlen Moore.
“Doc hired him to run the airport.
Arlen earned his pilot license in 1952, flying his Porterfield.
He stayed for 37 years doing this job from 1953-90.
He & wife Gerri lived on Airport Road with their 2 children.
His job was selling gas & oil to pilots, repairing simple things on planes, and mowing the runway with Ed Russell to keep the planes using Langmack Airport.
This was not a paid position, but he did earn a profit selling gas & oil.”

An undated (1955 or later) photo of a Monney M-18 Mite in front of a hangar prominently marked “Langmack Field” (courtesy of Mona Hyer Waibel).
According to Glen Bell, “The original owner [of the Mooney] was a US Coast Guard Captain named Keating who lived in Sweet Home. This plane 1st flew on 8/1/55.”
The 1961 Klamath Falls Sectional Chart (courtesy of Jonathan Westerling)
depicted Langmack Field at its shortest length of 1,600'.

An undated aerial view looking north at Langmack Field from the 1964 OR Airport Directory (courtesy of Jonathan Westerling)
described the airport as having a single east/west 1,990' turf runway.
The 1967 AOPA Airports USA (according to Jonathan Westerling) described Langmack Field
as having a larger 2,600' gravel Runway 7/25.
The 1970 Klamath Falls Sectional Chart (courtesy of Jonathan Westerling)
depicted Langmack Field as having a 2,500' unpaved runway.
A 1976 profile in the Democrat-Herold (according to Jonathan Westerling) noted that Robert Langmack retired in 1970.
“He keeps a small duffel bag packed & ready so he can dash out to his airstrip & wheel his silver & blue nosed Piper Apache airplane out of its womb-like hangar.
And then he whistles down the runway he built in the 1930s [sic] and flies to Wichita, Los Angeles, Canada, New York City - wherever the mood strikes him.”
The 1976 AOPA Airports USA (according to Jonathan Westerling) seemed to indicate that the field was in the process of having its runway paved
as the listing said Runway 7/25 is 2,500' Turf; 800' Asphalt.
The entry also indicated that the field’s status had been converted to “Private use at own risk”.
The 1977 AOPA Airports USA (according to Jonathan Westerling) indicated the paving was finished by this point
with the runway reaching its final 2,100' x 20' asphalt dimensions.

The 1984 USGS topo map depicted Langmack Field as having a single east/west runway.
According to Jonathan Westerling, “Dr. Robert Langmack [died] in June 1987.”

A 1994 aerial view looking northwest at Langmack Field depicted 1 single-engine light aircraft parked near the hangars on the northeast side of the runway.

The last aeronautical chart depiction which has been located of Langmack Field was on a 1998 sectional chart (courtesy of Jonathan Westerling).
It labeled the field as “Sweet Home”, a private field with a single 2,100' paved east/west runway.

A 2000 photo looking down the Langmack paved runway (courtesy of Chuck Forsberg).
The 2003 Sweet Home Transportation System Plan (according to Jonathan Westerling) contained the following summary of operations at Langmack Field
and took a pessimistic stand regarding its future:
“Langmack is located south of Airport Road, between 43rd & 47th Avenues, and is designated by the City as a private airport.
It has a 2,200' runway, but would be difficult to expand due to encroachment of residential & street uses in the vicinity.
The airport would be difficult to upgrade to current public-use standards.
Langmack is the airport recognized by the State Airport Plan.
It is currently not protected with any form of airport overlay zoning, which [makes it out of] compliance with current Oregon laws.
Even if the current or future owners desired to expand the airport, growth & development in the area has limited the airport's function & ability to expand.
The airport is recognized in the State Airport Plan as the ‘Sweet Home Airport’
and the City is now required to comply with recently implemented regulations under OAR 660 Division 13
to prevent further encroachment of incompatible land uses & encroachment of structures into controlled airspace.
The City needs to prepare a revision to the zoning code to bring it into compliance.”

An 11/22/03 aerial view looking southwest at Langmack Field.

The last photo which has been located showing an aircraft at Langmack Field was a June 2005 aerial view looking northwest.
One single-engine light aircraft was visible parked near the hangars on the northeast side of the runway.
According to Jonathan Westerling, “By 2005 the airstrip had fallen into disrepair & the land was sold to a developer.
In 2007, the airstrip was plowed up to make way for proposed housing.
According to the NTSB database which begins in 1968, there were no fatal accidents at Langmack Airport [a very good record].
As of this writing (2010), three years after the field was torn up, of the proposed 164 houses slated to be built on the site only one has been constructed.”

A Summer 2010 photo by Jonathan Westerling looking east at the site of former Langmack Airport.
Jonathan noted the photo was “taken from the top of a knoll just to the east of the airport which made for tricky approaches.”

A Summer 2010 photo by Jonathan Westerling of a sign along Route 20 which still directs cars to the town’s airport, though it was removed several years before.
According to the book “Sweet Home’s Good Old Days” by Mona Waibel,
“Larry [Swain] & [his wife] Faye moved away from Sweet Home many years ago, and it makes him sad to see the airport torn up today.”

A 2014 aerial view looking northwest shows the Langmack Field hangars & majority of its runway pavement have been removed,
and housing construction was starting to cover the west end of the site.
The site of Langmack Field is located south of the intersection of 47th Avenue & Airport Road, appropriately enough.
Thanks to Jonathan Westerling for pointing out this airfield.
____________________________________________________
Silverton Intermediate Field / Silverton American Legion Airport / Adams Airport / Silverton Airport,
Silverton, OR
45.015, -122.805 (Southwest of Portland, OR)

A 1928 photo of a group in front of “Webfoot” (biplane model undetermined) at Silverton Airport (courtesy of Lee Corbin).
Lee Corbin reported, “According to the Oregon State heritage site, Silverton [Airport] was constructed in 1917.”
According to Jonathan Westerling, “The Silverton Airport was an on-again off-again airport
which dates back to the 1920s & the San Francisco - Seattle Airway.”
The earliest depiction which has been located of the Silverton Airport was a 1928 photo of Charlie Reynolds, Earl Hartman, John Small, Bill McClary,
Jim Hollingsworth, Al Adams, Russell Boelster, and Brick Hoblet, in front of “Webfoot” (biplane model undetermined) (courtesy of Lee Corbin).
The Silverton Airport was not yet depicted in the 1930 Department of Commerce Airport Directory (according to David Brooks).

The earliest chart depiction which has been located of the Silverton Airport
was on the 1931 Department of Commerce Aeronautical Bulletin (courtesy of Jonathan Westerling).
It depicted Silverton as a commercial/municipal airport, Site 53 along the San Francisco - Seattle Airway.
It was apparently built as one of the Department of Commerce's network of Intermediate Fields,
which were constructed in the 1920s & 1930s for the emergency use of commercial aircraft flying routes between major cities.
The 1932 Department of Commerce Aeronautical Bulletin (courtesy of Jonathan Westerling)
described Silverton Airport as a Department of Comerce Intermediate Field, Site 53 along the San Francisco - Seattle Airway.
The field was said to be located ¾ of a mile northwest of the city, on the north side of the highway.
The property was said to be a 76 acre sod L-shaped field,
with 3 runways, the longest being a 2,350' northwest/southeast strip.
A hangar was said to be marked with “Silverton American Legion Airport” on its roof.
Silverton Airport was listed among active airfields in The Airport Directory Company's 1933 Airport Directory (according to Chris Kennedy).

The earliest aeronautical chart depiction which has been located of Silverton Airport was on the June 1934 Portland Sectional Chart.
Silverton Airport was listed among active airfields in The Airport Directory Company's 1938 Airport Directory (according to Chris Kennedy).

The 1940 USGS topo map depicted an airport symbol at the location of Silverton Airport, but did not label the airport.
However, Silverton Airport was no longer listed among active airfields
in The Airport Directory Company's 1941 Airport Directory (according to Chris Kennedy).,
and was not depicted on Portland Sectional Charts from 1941, 1943, or 1945 (according to Chris Kennedy).
According to Dave Watson (the Silverton Airport property owner in 2008),
he grew up across from the airport & said that it was used to train WW2 pilots.
However, according to Chris Kennedy, “There weren't any Army Air Forces contract schools in Oregon in WWII.
It is possible though that Silverton was part of the Department of Commerce CPT program.
However, this program did not typically use intermediate fields, so I would say it isn't too likely it was used.”
Silverton Airport was not listed among active airfields
in the Haire Publishing Company's 1945 Airport Directory (according to Chris Kennedy).
The airport was evidently renamed “Adams Airport” at some point between 1932-48,
as that is how it was labeled on the October 1948 Portland Sectional Chart (courtesy of Chris Kennedy).
It depicted Adams as having a 3,300' unpaved runway.

The 1949 OR Airport Directory (courtesy of Jonathan Westerling)
described Adams as a commercial airport managed by A.L. Adams.
It was said to have a single north/south 3,340' turf runway.
Adams Airport was depicted on the 1950 USGS topo map.

The earliest photo which has been located of Silverton Airport was an 8/1/53 USGS aerial photo.
It depicted the field as having a north/south grass runway, with 5 small hangars along the southwest side.
One of the hangars was painted with a large “X”, possibly indicating the airport was closed by this point?
Silverton / Adams Airport apparently ceased operation at some point between 1950-54,
as it was as it was not depicted at all on the 1954 Portland Sectional Chart (according to Chris Kennedy),
the 1956 USGS topo map, or the 1965 Portland Sectional Chart (according to Chris Kennedy).
Silverton Airport may have reopened at some point between 1965-67,
as it was once again listed among active airfields in the 1967 AOPA Airport Directory (according to Chris Kennedy).
It was described as having a single 3,340' turf Runway 16/34.
It was described as a "Private airstrip. Use at own risk."
Silverton Airport apparently closed again at some point between 1967-70,
as it was not depicted at all on the 1970 Portland Sectional Chart (according to Jonathan Westerling)
or the January 1975 Seattle Sectional Chart (according to Chris Kennedy).
Silverton Airport evidently reopened as a private airfield at some point between 1975-76,
as that is how it was listed in the 1976, 1977, and 1978 AOPA Airport Directories (according to Jonathan Westerling).
Will Werner recalled, “I landed several times at Silverton Airport in the 1970s & 1980s.
Instructors considered it a place to practice soft field landings & takeoffs.”
Silverton Airport was still listed in the 1980 AOPA Airport Directory (according to Chris Kennedy).
It was described as having a single 2,500' turf Runway 16/34.
It was described as a "Private airstrip. Use at own risk."
The Silverton Airport may have been closed again at some point between 1980-82,
as it was not depicted at all on the 1982 or 1985 USGS topo maps,
nor listed among active airfields in the 1982 AOPA Airport Directory (according to Chris Kennedy).

The Silverton Airport was evidently reopened once again at some point between 1982-89,
as it was depicted as a private airfield on the 1989 Sectional Chart (courtesy of Jonathan Westerling).
It depicted Silverton as having a 2,500' unpaved runway.

A circa early-1990s photo by John Guilmette a former hangar at Silverton Airport.
John reported, “Some non-aviation businesses were already using some of the hangars.
I believe the one curved-roof hangar was one of the originals.”

A circa early-1990s photo by John Guilmette of hangars & a single-engine Cessna at Silverton Airport.
John reported, “At this time the 'Airport' was just barely still in use.”
A
circa early-1990s photo by John Guilmette looking along the former
runway of Silverton Airport.
John reported, “Notice some genius built a house right on the south end of the runway (don't land 'long' when landing to the south).”

A circa early-1990s photo by John Guilmette of a historical sign at Silverton Airport.

The Silverton Airport was evidently closed (again) at some point between 1989-94,
as a 1994 USGS aerial view looking northwest showed the runway had reverted to agriculture.
However 3 (or possibly more) hangars remained standing.
The Silverton Airport was no longer listed among active airfields in the 1995 AOPA Airport Directory (according to Jonathan Westerling).
John Guilmette recalled, “I went back a few years later [after the early 1990s]
and all the planes were gone & the grass & weeds had grown up on & thru the runway.
I had briefly looked into buying the whole airport.”
Jonathan Westerling reported in 2008, “Sometime after 2000, the current owner installed a narrow runway that can't be more than 20' wide.
I spoke with Dave Watson who currently owns the property as well as operating BC Plumbing in town.
He said previous owners reestablished the runway there in 2000 after an earlier owner had let the airport lapse.”

A circa 2006 aerial view looking north at the south end of Silverton's runway,
showing the narrow gravel runway with a slightly-wider asphalt turnaround pad at the end.
What looks to be one arch-roof hangar is on the left, with possibly 2 other small hangars at the bottom-right.
It is not known if the 2 larger buildings on the left were ever used as hangars.
Jonathan Westerling reported in 2008, “The turnaround areas are paved for about 150' on each end. Most of the runway is gravel.
According to a lady from one of the businesses on the field, it has been almost 2 years since a plane landed there,
but there were several takeoffs each week for several years before that.
Mr. Watson applied for permit to reestablish an airport there (it is currently within the county's jurisdiction),
but was turned down 'because I didn't have a pilots license.'
He has since encouraged the city of Silverton to include the property in its expanded boundary since the city is in favor of the airport -
which makes sense given the fact that small airports bring a unique source of revenue to communities.
Perhaps this historic airport will live again?”

A 2017 aerial view looking northwest shows the historic Silverton Airport remains intact, including the grass runway with asphalt turn-around pads at each end, and 3 hangars on the southwest side.
Silverton Airport is located northeast of the intersection of Airport Road & Aviation Way, appropriately enough.
Thanks to Jonathan Westerling for pointing out this airfield.
____________________________________________________
(Original) Portland Municipal Airport / Swan Island Airport / Swan Island Heliport, Portland, OR
45.56, -122.71 (Southwest of Portland International Airport, OR)

A 9/16/27 photo by Ralph Vincent (courtesy of Lee Corbin) of spectators gathered around Charles Lindbergh’s plane, the Spirit of St. Louis, at Swan Island Airport.
In 1925, like many growing urban areas, Portland insisted on having an airport.
According to Wikipedia, “Oakley Kelly, the commanding officer at Pearson Airfield in Vancouver WA was one of the first to seriously propose using Swan Island as an airfield.
In 1926, the Port of Portland, assisted by the United States Postal Service organized a committee to look for a location for a new airport in Portland.
The group chose Swan Island which was a peninsula along the Willamette River.
Objections over the airport started almost immediately, as postal workers who were using Pearson Airfield claimed Swan Island might flood.
A plan was drawn up to raise the elevation of Swan Island to keep floodwater out.
W. L. Thompson spearheaded the commission & was the project's Chief Engineer.
In a proposal to the Port of Portland, the west channel of the Willamette River next to Swan Island would have to be widened, and a dike built to keep high water out.
The project extended its timeline in May 1926, forcing the USPS to keep using Pearson Airfield in Vancouver to deliver mail to the city.
Most of the accommodations for the USPS at Swan Island Municipal Airport opened in September 1926, but commercial services were still being readied.
During its construction, the Port of Portland requested that the Swan Island Municipal Airport be the future site of the Pacific Coast Air Derby, which was approved.”
The Port of Portland purchased 253 acres, and construction of Swan Island Airport began in 1926.
According to Wikipedia, “Swan Island Municipal Airport officially dedicated in September 1927 by Charles Lindbergh who flew the Spirit of St. Louis onto the airstrip.
Although the field was not officially complete, most of the facilities like hangars & landing strips were finished.”
The earliest depiction which has been located of Swan Island Airport was a 9/16/27 photo by Ralph Vincent (courtesy of Lee Corbin)
of spectators gathered around Charles Lindbergh’s plane, the Spirit of St. Louis.
The photo was taken shortly before Lindbergh's departure for San Francisco.
According to Wikipedia, “Upon its completion, Swan Island Airport cost $557,073.
The official opener for the Swan Island Municipal Airport came on September 27 during the Pacific Coast Air Derby where 6 army planes performed for 10,000 paid spectators.”

A 1927-36 aerial view looking southeast at Swan Island Airport's terminal, hangars, and runway (courtesy of Lee Corbin).

A 1927-36 photo (courtesy of Lee Corbin) of a Buhl Bull-Pup & a Ford Tri-Motor of Pacific Air Transport in front of the Swan Island Airport Terminal Building.

An October 1928 plan for “Port of Portland Airport, Swan Island” (courtesy of Lee Corbin).
It depicted 5 runways laid along a narrow peninsula, with the longest being a 2,175' hard-surface northwest/southeast strip.
No buildings were yet depicted, but instead space for 5 “admin buildings” was depicted to the east of the runways.
According to Wikipedia, “A gravel runway was installed in 1928, replacing the old dirt one.
In 1929, Varney Air Lines started passenger services between Portland & Boise ID & later that year from Portland to Salt Lake City UT & Portland to Pasco WA.”


A 1929 aerial view looking southeast showed Swan Island Airport's 4 runways.

A 1930 photo showing a large number of biplanes & spectators at Swan Island Airport.



A 1932 aerial view looking east showed Swan Island Airport to have 4 runways, with several hangars along the north side.
According to Trish Nicola, flight instructor Al Greenwood trained Chinese-Americans as pilots at Swan Island in the early 1930s.

The earliest depiction which has been located of Portland Airport was on the June 1934 Portland Sectional Chart.

A 1935 photo of a Fokker Trimotor in front of Swan Island's terminal.

A 3/12/35 aerial view looking northwest at Swan Island Airport.

An undated postcard view looking southeast, captioned “The Port of Portland Airport, Formerly Swan Island Airport”.
According to Wikipedia, “The Port of Portland & the Portland City Council held meetings in 1935 to investigate a possible renovation of the Swan Island Municipal Airport.
They determined that it would not be cost effective to rebuild the airport to accommodate larger aircraft.
By 1936, citizens were petitioning the city council to fund a larger airport at a higher elevation.
I. E. Oakes, the Works Progress Administration director for Portland announced in 1937
that he would look to secure US$627,781 in funds from the federal government to build a new runway to accommodate large airlines.
However, the federal government condemned the site & offered up funds to build a new airport.
After the Portland–Columbia Super Airport was constructed, the Swan Island Municipal Airport still operated, although in a diminished capacity.
Flying students were banned from using the airport in their training programs due to the low altitude.
The military removed their facilities from the airport & most commercial liners had moved their services to the new airport.”

An aerial view looking south at the “Portland Municipal Airport”,
from The Airport Directory Company's 1937 Airport Directory (courtesy of Bob Rambo).
The directory described the airport as consisting of a rectangular sod field, one which were 4 runways.
A hangar was said to be marked with “Portland” on the roof.

A 1938 aerial view of Swan Island Airport.

A circa 1940 photo of the landside of Swan Island Airport's terminal.

A 1940 photo of George Yates making a final check on his Bi-motor prior to a test flight from Swan Island Airfield.
This aircraft was just one of the many planes designed and built by Yates at Bernard Airport.

“Port of Portland Airport” was depicted on the 1940 USGS topo map as having 4 paved runways.

The original Portland Airport on Swan Island was still depicted as an active airfield
on the November 1941 Portland Sectional Chart (courtesy of Chris Kennedy).
Swan Island Airport was evidently closed at some point between 1941-42,
as it was no longer depicted at all on the July 1942 Portland Sectional Chart.
However, an adjacent seaplane facility was still shown.
According to Wikipedia, “During World War II, Swan Island was the location of the Oregon Shipbuilding Corporation where 455 vessels were produced for the United States Military.”

A 1945 aerial view looking south at the shipyards which covered Swan Island by that time,
with not a trace left of the former airport.
According to Wikipedia, “After the war the obsolete shipyards & the old airstrip were converted into a drydock for the Port of Portland.”

Swan Island evidently was reused for seaplane operations for some period,
as an April 1948 advertisement (courtesy of Kevin Walsh) for “Marine Air Service now at Swan Island”
touted flight training & charter service in Waco F-2, Seabee, Cub, and Taylorcrafts.
Swan Island's last period of aviation use was as a heliport,
as an article in the Fall 2003 issue of Rotor magazine reported that in 1962 Columbia Helicopters moved their operations from Troutdale Airport to Swan Island.

A 5/2/62 photo of Wes Lematta flying a Columbia Helicopters Hughes 269 over the frame of his new Swan Island headquarters.

A 7/18/62 aerial view of the grand opening of Columbia Helicopters' Swan Island facility,
showing a Kaman HH-43 Huskie, a Bell 47, and a Hughes 269 on the ramp in front of their hangar.
Was the Kaman operated by Columbia, or a visiting military aircraft?

An 8/8/63 photo of Wes Lematta providing flight instruction in a Columbia Helicopters Hughes 269 at Swan Island.

An undated aerial view of 2 helicopters on the helipad in front of the Columbia Helicopters hangar at Swan Island heliport
from the 1964 OR Airport Directory (courtesy of Jonathan Westerling).
The operator was listed as Columbia Helicopters.
In 1969, Columbia Helicopters purchased 3 tandem-rotor Boeing-Vertol 107-II's from Pan Am.

The last aeronautical chart depiction which has been located of Swan Island
was on the June 1969 Portland Sectional Chart (courtesy of Chris Kennedy),
which depicted Swan Island as a heliport.
In 1976 Columbia Helicopters vacated Swan Island, moving their operations to Aurora, OR,
according to an article in the Fall 2003 issue of Rotor magazine.
This presumably was the end of the aviation use of Swan Island.
A 1990 aerial photo showed that the former Columbia Helicopters facility had been replaced by newer commercial buildings,
erasing the last trace of aviation facilities on Swan Island.
Keith Wood reported in 2005 that “Much of the eastern half of the airport site
belongs to Freightliner Corporate headquarters & related facilities.
The headquarters itself has a 'natural' colored roof, but is served by the large parking lot in the southeast corner of the island.
The largest of the grey-roofed buildings is a training center for DaimlerChrysler.”

A 2018 aerial view looking north showed the site of Swan Island Airport is now occupied by various commercial facilities, with not a trace of the former airport appearing to remain.
The site of Swan Island Airport is located at the intersection of North Dolphin Street & North Lagoon Avenue.
____________________________________________________
Troh's Airport / Division Street Airport, Gresham, OR
45.51, -122.47 (Southeast of Portland, OR)

A 1935 aerial view by Hank Troh from his CK Bird biplane of Troh's Airport, showing the hangar & grass airfield (courtesy of Jonathan Westerling).
Jonathan Westerling reported, “Henry (Hank) Troh was a pioneer in Portland’s early days of civil aviation.
According to the 2009 Oregon Aviation Historical Society Newsletter (Volume 19, Issue 2),
from the mid-1930s until he died, Hank built & operated 3 separate airfields where he made his living providing pilots with a full spectrum of aviation services.
His first airport was at the intersection of Division Street & Rockwood Road in Gresham which bordered Portland to the east.”
Jonathan continued, “Henry Troh’s daughter, Lorraine Troh Gabel, has written a 350 page book detailing her father's aviation contributions entitled 'Time Flies'.
According to her book, in 1935 while still working as a steam shovel operator,
Troh leased land located in Gresham to establish a small landing facility for his CK Bird biplane.
The airfield was built on an old dairy farm – the cow barn was repurposed for plane storage & the milking room became the mechanic's garage.
The runway was a single east/west turf strip running the length of the property.
One unique feature of the airport was a hexagonal hangar which had the windsock prominently located on the center top of its roof.
Troh grew the airport business offering rides in his CK Bird airplane with the slogan 'Time Flies, Why Don’t You?'.”
The earliest depiction which has been located of Troh's Airport was a 1935 aerial view by Hank Troh from his CK Bird biplane,
showing the hexagonal hangar & grass airfield.
Jonathan Westerling reported, “By 1937 it [Troh's Airport] was a full-time operation for him & his first wife Ruth.
For unknown reasons, the airport was apparently never listed in any official directories,
though it was well used, particularly as interest in aviation grew leading up to World War II.
The East/West grass runway was listed as 1,400' long in a 3/22/42 article in the Oregonian newspaper.
The same article noted that a Stinson Tri-Motor & 22 other airplanes had been recently moved to Troh’s airport when Swan Island Airport closed.”

An undated (circa late 1930s?) photo of Troh’s CK Bird biplane in front of the Troh's Airport barn / hangar (courtesy of Jonathan Westerling).
Trohs' Airport was not yet depicted on the November 1941 Portland Sectional Chart.
Jonathan Westerling reported, “According to Lorraine Troh Gabel, as World War II began to escalate, civil aviation was no longer permitted west of the Cascade mountains.
Taking this in stride, Henry Troh formed a Civil Air Patrol group based at his field.
Numbering 60, they were responsible for maintaining security of the airport & supporting any government flights in & out of the airfield.
Because of the CAP watch, Troh’s Airport was one of the only airfields in the area licensed to store airplanes without dismantling.
Storage fees provided a limited income to Troh’s Airport but not enough to make ends meet.
Troh left Portland in April of 1942 for a job as a flight instructor at Tex Rankin’s Flight Academy in Tulare, CA.
In his absence, his mother & father looked after his airfield though no planes were allowed to land or take off.
At the Rankin Academy, Troh trained hundreds of Cadets until he received his Honorable Discharge in the fall of 1944.”
Trohs' Airport was still not depicted on the November 1944 Portland Sectional Chart.

The earliest aeronautical chart depiction which has been located of Trohs' Airport was on the April 1945 Portland Sectional Chart.
It depicted Trohs as a commercial/municipal airport.
Jonathan continued, “After the War, Troh returned to Portland & ran Troh’s Airport for a short time,
extending a new north/south runway to 2,200' by leasing an adjacent parcel.
But the airport wasn’t big enough for him & he started building a larger airport he called 'Skyport' about a mile east.”

An early 1946 aerial view of Troh’s Airport, just before it changed to the Division Street Airport (courtesy of Jonathan Westerling).
Jonathan remarked, “More than 12 planes can be seen along the flight line.”
Jonathan Westerling reported, “According to Lorraine Troh Gabel, in May of 1946 his lease on the property was lost
and transferred to a competing flight training operation, much to his chagrin.
Troh was forced to immediately move his belongings to the not-yet-completed Skyport.”
Jonathan continued, “After Troh left, the airport was reopened as the Division Street Airport.”

The 1948 Portland Sectional Chart (courtesy of Chris Kennedy) shows an amazing array of airports in the Portland area,
including both Troh’s original airfield (“Division” Street) & his new “Trohs” Skyport airport to the west.

The 1949 USGS topo map (courtesy of Jonathan Westerling) shows an amazing array of airports in the Portland area,
including both Troh’s original airfield (“Division Street”) & his new “Trohs Skyport” airport to the west.

The 1949 Oregon Airport Directory (courtesy of Jonathan Westerling) described Division Street Airport as having 2 runways,
measuring 2,200' north/south & 1,300' east/west.
The 1951 Airman's Guide (according to Jonathan Westerling) described Division Street Airport as having a 2,200' runway.

The last depiction which has been located of Division Street Airport was on the March 1951 Portland Sectional Chart.
It depicted Division Street Airport as having a mere 1,200' unpaved runway.
Division Street Airport evidently closed at some point in 1951,
as it was no longer depicted on the October 1951 Portland Sectional Chart.
Jonathan Westerling reported, “According to Lorraine Troh Gabel, the Division Street Airport ceased operations by 1954.
A photo taken that year shows the airport buildings largely dismantled.”

An 8/21/11 aerial photo showed no trace remaining of Troh's Airport.
The site of Troh’s Airport is located northeast of the intersection of Division Street & Southeast 182nd Avenue.
____________________________________________________
Troh's Skyport, Centennial, OR
45.51, -122.5 (Southeast of Portland, OR)

A late 1945 aerial view showing the grading underway for the construction of Skyport (courtesy of Lorraine Troh Gabel, via Jonathan Westerling).
Jonathan Westerling reported, “The Portland Skyport was brainchild of Henry Troh, a well known Portland area pilot.
After World War II, Henry Troh had completed his duties as a flight instructor with Tex Rankin’s Flight Academy in Tulare, CA
and returned to his native Portland to revisit his airport business.
He found a partner in Harold Wagner, a long time pilot & owner of the Mixermobile manufacturing company.
The two collaborated to lease acreage for a new, modern civil aviation airport. They began construction of the airfield in 1945.”
The earliest depiction which has been located of Skyport was a late 1945 aerial view
showing the grading underway for the construction of Skyport (courtesy of Lorraine Troh Gabel, via Jonathan Westerling).
Troh's Skyport was not yet depicted on the April 1946 Portland Sectional Chart.

A 6/30/46 photo of the airport office & some of the crowd gathered for opening day at Skyport (courtesy of Lorraine Troh Gabel, via Jonathan Westerling).
Jonathan Westerling reported, “Opening day was 6/30/46 & celebrated with an afternoon airshow.
The Portland Journal estimated the crowd at 7,000.
At the time the airport was opened, only the North/South runway (14/32) was completed.
The cross runway (3/21) was finished 2 years later in 1948 (according to Lorraine Troh Gabel in her biography of her dad, 'Time Flies').
When completed, the airport had 2 runways in the shape of an X.”
A 7/2/46 Bend Bulletin article (courtesy of Jonathan Westerling) said Skyport also had a large 160’ x 100’ hangar
built entirely from steel & aluminum (there was a shortage of wood after the war),
and referred to the field as the largest privately-built airport in the state.
A 6/27/46 Gresham Outlook article (courtesy of Jonathan Westerling) had additional details about the hangar complex:
“A novel construction has been used for the hangar. On each of the 4 corners, a half circle has been constructed.
In these will be housed offices for various aircraft distributors, a lounge, and the main airport office.”

The earliest aeronautical chart depiction which has been located of Troh's Skyport was on the October 1946 Portland Sectional Chart.
It depicted 'Troh” as having a 2,600' unpaved runway.

A 1947 aerial view looking north at Skyport with both runways completed (courtesy of Lorraine Troh Gabel, via Jonathan Westerling).

The 1949 USGS topo map (courtesy of Jonathan Westerling) shows an amazing array of airports in the Portland area, including Trohs Skyport.

The 1949 Oregon Airport Directory (courtesy of Jonathan Westerling) described Troh's Skyport as having 2 runways
(measuring 2,640' northwest/southeast & 2,350' northwest/southeast), with a few small buildings on the south & southeast sides.
Sometime after 1950 (according to Lorraine Troh Gabel) the apron & southern half of the north/south runway were paved by Harold.
The 1951 Airman’s Guide (courtesy of Jonathan Westerling) described Skyport as boasting full mechanical capabilities (“major repairs”) & floodlights at night.
Jonathan Westerling reported, “During the post WW-II boom in aviation, the airfield enjoyed considerable success.
Three rows of T-hangars were constructed, and a full service café was opened
inside one of the half-circles in the large hangar on field – the Skyroom Café, open weekends.
The airfield had many employees, and even a club for women pilots called 'Troh’s Sky Queens'.
Hundreds of students were trained at the field & many aircraft; Bellancas Pipers, and Swifts were sold by Troh & his associates.
The first paraplegic to be granted a pilots license, Russell Herlford, did so under Henry Troh’s instruction at the Skyport (according to Lorraine Troh Gabel).”

A 10/25/51 USGS aerial photo depicted depicted Trohs Skyport as having 2 runways, of which the southern half of the northwest/southeast runway was paved.
Twenty light aircraft were visible parked near the hangar on the south side, and 2 rows of T-hangars were on the southeast side.
What were the 4 large circular markings on the southwest portion of the runway?

An undated cartoon entitled “Fright Line at Troh’s” hopefully dramatizing a student’s first landing attempt (courtesy of Lorraine Troh Gabel, via Jonathan Westerling).

An undated aerial view looking north at Skyport (courtesy of Lorraine Troh Gabel, via Jonathan Westerling),
showing a Mobilgas blimp, dozens of light aircraft, and the hangar with its distinctive rounded corners.
According to Jonathan Westerling, “The Goodyear & Mobilgas blimps were based at Troh’s when special events brought them to Portland.”
Jonathan Westerling reported, “Many newspaper clippings make mention of Henry Troh during these years
ferrying debutantes, stranded vacationers, and even barrels of fingerling trout around the state.
Banner advertising was done from the field, as were blimp operations for special events.”

An undated photo from an April 1952 article showing one of Harold Wagner’s 3 experimental Twin Cubs in front of Skyport's hangar (courtesy of Jonathan Westerling).
Jonathan Westerling reported, “Harold Wagner, Troh’s business partner, experimented with an airplane design at Skyport
that was featured on the front cover of the June 1961 issue of Popular Mechanics magazine.”
The article in the magazine written by Leverett Richards, reported how “Wagner, now co-owner of the Mixerrnobile Company
and partner in Henry Troh's Skyport in Portland, recently built himself a ‘Piper Bomber’ from two Cubs."
His idea was create an “inexpensive twin-engine airplane” by mating 2 Piper Cubs together at the wing.
Harold's “Twin Cubs” were also featured in the March, 1952 issue of the AOPA magazine.
The article reported, “Concerned over the high cost of even the smallest twin-engined planes, [Wagner] decided to make one of his own.
He bought 2 Cub trainers, each with more than 1,500 hours on it.
According to Wagner, the whole thing cost him less than $2,500 & took 2 mechanics 5 days to complete.
They simply hacked up the 2 planes & mated them. The most unusual feature is the overlapping propellers.
The blades are only 2 inches apart, but - although the Wagner Twin has flown more than 25 hours - the overlapping props have caused no trouble.”
An article by Leo Kohn in the November 1973 issue of Aero Magazine had additional information about the flight testing at Skyport:
"On 12/6/51 after Wagner ran taxi tests for about 5 minutes at Troh's Skyport to feel out the ship,
he took it to the end of the runway, swung the tails around, and opened up the engines.
To the consternation of many, the Wagner-Twin was flying.
It leapt into the air, and one prop did not blank out the other as the 'experts' had feared.
The airplane handled quite normally with plenty of reserve power.
Because of the dual power units, each could run at a lower setting & the airplane still fly better than in its single engine mode.
The name 'Wagner-Twin was registered & patents were applied for.
The federal government was unyielding & while getting approval to manufacture & sell commercially is one thing
and all kinds of difficulty and paperwork was to be expected, just putting up with the red tape to keep the research airplanes flying was hardly worth the effort."
Eventually the 3 planes produced for the experiments were dismantled.
Jonathan Westerling reported, “On 2/27/55, the airport was in the newspapers up & down the west coast
when a gale blew through the valley & took out 2 of the 3 lines of steel T-hangars at Skyport, destroying all of the planes inside.”
Henry Troh was quoted in the Spokane Daily Chronicle: ”Ironically several planes outside the hangars escaped damage.
That was because they were tied down when the wind warning came yesterday.”
Troh said “The planes inside would have been tied down too, except that we never dreamed the hangars would go.”
Photos in the Portland Journal show the concrete piers pulled completely out of the ground.
Jonathan Westerling reported, “In 1957 after proposing a new combination airport/community park to deaf ears at the Portland City Council,
the tax burden of the property made maintaining Skyport a loosing proposition.”
Aviation Editor for the Oregonian, Leverett Richards, wrote about the Skyport just months before its closing:
"It is just a question of time until the pressure of population, rising property values & faster rising property taxes
will force the sale of such properties as Troh's for higher value use.”
Hank & Harold penned an editorial titled “How Will General Aviation Support Its Own Airports?”:
"We are the owners of an airport in a small town adjoining a metropolitan area.
We have just received our tax bill which runs close to $18,000.
This represents a $10,000 additional tax for this year over last, and there [was a] 100% increase the year before.”

The last aeronautical chart depiction to be located of Troh's Skyport
was on the April 1959 Portland Sectional Chart (courtesy of Paul Columbus)
It depicted Trohs as having a 2,600' unpaved runway.

A 1959 photo of the last plane to depart Skyport,
with the new houses which would cover the property already being constructed in the foreground (courtesy of Lorraine Troh Gabel, via Jonathan Westerling).
Jonathan Westerling reported, “Sure enough, the municipal taxes along with the construction of a new retirement community
forced Troh’s Skyport to close in June of 1959.”
The Skyport was no longer listed in the 1960 OR Airport Directory (courtesy of Ron Dupas)
nor depicted on the July 1965 Portland Sectional Chart (courtesy of Ron Kunse).

An 8/21/11 aerial photo showed no trace remaining of Troh's Skyport.
The entrance of Troh’s Skyport was located at the intersection of Division Street & Southeast 156nd Avenue.
____________________________________________________
Troh's Nest / Troh's Memorial Air Park / Happy Valley Airport (S15, OL03), Happy Valley, OR
45.45, -122.5 (Southeast of Portland, OR)

An undated aerial view from a 1961 article (courtesy of Jonathan Westerling) showing Troh's Airfield (“1”),
a 3-acre property bought by the Boy Scouts to block expansion of the airfield (“2”), and the remainder of Troh's property (“3”).
Jonathan Westerling reported, “Troh’s Nest was the 3rd & last of Henry Troh’s 3 Portland area airports.
He bought the land in 1957 when it became clear that city taxes & development were going to force the closure of his larger 'Skyport' airport
located in the rapidly developing area of east Portland.
This new airfield was to be somewhat of a retirement location for Henry, farther away from the growth and excitement of the city.
However 'Troh’s Nest' ended up being more of a project than either of his 2 previous airfields.
The airport was located on top of a hill (called 'Scouter’s Mountian') in rural Clackamas County.
After buying the land, Henry graded a preliminary short north/south airstrip on top of the hill which amounted to only about 1,200 usable feet.
Henry Troh & his wife Ethyl Piper (the aircraft manufacturer’s daughter) built a home & hangar adjacent to the airfield & moved there in 1958.
Their plan was to create a small fly-in community with houses for pilots adjacent to the runway.”
According to Lorraine Troh Gabel (in her biography of her dad “Time Flies”), when Henry’s “Skyport” Airport finally closed in 1958,
he focused on extending the short runway at Troh’s Nest.
He purchased the adjacent 47 acre tract to the south for this purpose but quickly realized he had a major problem.
Unknown to him, shortly after he purchased the initial parcel for his retirement airport,
his neighbor (a Boy Scout Adult Training Center) purchased a 3 acre square of land precisely at the south end of his runway
for the purpose of preventing him from extending it.
After being approached by Henry’s attorney, the Scout Council offered to sell the land they had purchased for $1,000 the year before to him for $10,000!
Troh was furious & refused to pay the outrageous sum.
Both of Portland’s local papers reported on the dispute with each one taking a different side on the matter.
The Troh's Nest Airfield was not yet depicted on the April 1959 Portland Sectional Chart (courtesy of Paul Columbus)
nor listed in the 1960 OR Airport Directory (courtesy of Ron Dupas).
The earliest depiction which has been located of Troh's Nest
was an undated aerial view from a 1961 article (courtesy of Jonathan Westerling) showing Troh's Airfield,
a 3-acre property bought by the Boy Scouts to block expansion of the airfield, and the remainder of Troh's property.

The 1961 USGS topo map depicted 2 runways at Happy Valley, labeled simply as “Airstrip”.

An undated aerial view from the 1964 OR Airport Directory (courtesy of Jonathan Westerling)
showing the completed 1st runway & construction of the 2nd runway at Troh’s Nest.
The 1964 Oregon Airport Directory (according to Jonathan Westerling) described Troh's Nest as having a 1,200' runway.
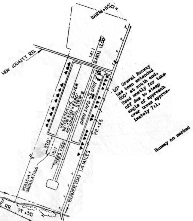
Jonathan Westerling reported, “Eventually Troh decided to fill in a valley on his property for a new, longer runway
which would sidestep the Scout Council blockade even though this took away the parcels on which he was going to build the additional homes for pilots.
The 2nd turf runway was finished around 1964. It was designated 14/32 and was 1,900' long according to the 1967 Airports USA Directory.”
The Troh's Nest Airfield was not depicted at all on the July 1965 Portland Sectional Chart (courtesy of Ron Kunse).

The earliest aeronautical chart depiction which has been located of Troh's Nest Airfield was on the February 1966 Portland Sectional Chart.
It depicted “Trohs” as a public-use airport with a mere 1,900' unpaved runway.

A 1967 aerial photo looking west at Troh’s Nest airfield with the 2nd longer runway completed (courtesy of Lorraine Troh Gabel via Jonathan Westerling).
Henry Troh’s house is in the foreground, and dozens of light planes were on the field.
Jonathan Westerling reported, “Henry Troh used it to run a successful charter business from the airport until his untimely passing from a brain tumor in 1968.”

The 1970 Portland Sectional Chart (courtesy of Jonathan Westerling) depicted “Trohs Nest” as a public-use airport with a 1,900' unpaved runway.

A 7/8/70 USGS aerial view depicted Trohs Nest as having 2 runways & 14 aircraft were visible parked outside.
Jonathan Westerling reported, “After Troh’s death, his wife & daughter negotiated a land trade with the Scout Council which removed the 3-acre blockade parcel
and allowed a 3rd runway (16/34) to be built to 2,300' feet according to the 1976 AOPA Airports USA.
Apparently, the original 1200’ runway and second runway 14/32 were not used after the longer runway was completed.”
Jonathan continued, “The airport was re-classified as public in 1977 (according to the 1977 Airports USA) and renamed the 'Troh Memorial Airpark'.
It received airport ID 'S15' from the state board of Aeronautics.

The February 1981 CF-16 World Aeronautical Chart (courtesy of Dallam Oliver-Lee) depicted “Troh” as a public-use airport with a 2,400' unpaved runway.
The runway was paved sometime between 1981-83 & renamed again as 'Happy Valley' according to the 1983 AOPA Airports USA.
The final dimensions of the airstrip were 2,300' x 25'.”

The 1984 USGS topo map depicted a northeast/southwest runway at Happy Valley, labeled simply as “Airstrip”,
along with the remains of a former northwest/southeast runway.

The last photo which has been located showing Happy Valley Airport while operational
was an undated photo from the 1989 OR Airport Directory (courtesy of Jonathan Westerling).
It showed the field to have a northwest/southeast runway, with 7 light planes parked around a few small buildings on the northeast side.
Troh’s Nest / Troh Memorial / Happy Valley was not listed in the 1995 or subsequent AOPA Airports USA directories (according to Jonathan Westerling).
Aerial photos indicate that a house was built between 2002-2006 at the south end of the runway which used the airstrip as its driveway.
Large “X”s were painted on either end of the runway.

A circa 2008 aerial view looking west at the former Troh house & hangar at the north end of the Happy Valley Airport site.

A circa 2008 aerial view looking north at the bizarre juxtaposition of a large house built immediately at the south end of the Happy Valley runway,
which continues to be listed with the FAA as an active airfield even though it obviously would not be safe for landings.
Jonathan Westerling reported, “Strangely, Happy Valley Airport was still depicted as an active airport on the 2010 Portland Sectional,
however given the runway obstructions, it is unlikely that it is usable as an airport.”
As of 2012, Happy Valley Airport was no longer depicted on Sectional Charts,
but inexplicably continued to be listed in the FAA Airport/Facility Directory data as an active private airfield (designator OL03).
It was described as having a 2,264' asphalt Runway 16/34,
and to have 3 aircraft based on the field (2 single-engine, and 1 helicopter), and to conduct an average of 33 takeoffs/landings per month.

An 11/30/14 photo looking south at the house that stands right at the end of the Troh's Memorial runway.
The photographer noted, “Not the sort of thing you want to see at the end of the runway!”

An 11/30/14 photo looking north along the Troh's Memorial runway.

A 2015 aerial view looking southwest at the former Troh house, hangar, and runway at Happy Valley.
The site of Happy Valley Airport is located east of the intersection of Southeast Vrandenburg Road & Southeast Airport Road, appropriately enough.
____________________________________________________
45.5, -122.81 (West of Portland, OR)

A 1930-31 photo of a homebuilt glider constructed by twins Dale & Don Holmes at Bernard Airport.
Note the roof of Bernard's barn located just north of Walker Road in the photograph.
According to the City of Beaverton web site, when the Watts Airport at Erickson & 6th Street was outgrown,
Charles Bernard was approached about building a larger airfield.
Bernard built wood-frame hangars parallel to Cedar Street,
and the home-built airplane industry in Beaverton thrived.
According to Joe Bernard (grandson of airport founder Charles Bernard), Bernard Airport “started in 1929.”
The earliest depiction which has been located of Bernard Airport
was a 1930-31 photo of a homebuilt glider constructed by twins Dale & Don Holmes at Bernard Airport.

A 1931 aerial view looking north along Cedar Street at Bernard Field.
The airfield consisted of a single north/south grass runway,

A 1930s aerial view looking south at Bernard Field.

The earliest aeronautical chart depiction which has been located of Bernard Field was on the June 1934 Portland Sectional Chart.

On 9/11/38 the Oregonian reported that Bernard Airport was "perhaps the busiest noncommercial airport in the United States -
Beaverton - where exists the added distinction that most of the planes are amateur-built."
George Yates designed & built his Bi-motor aircraft at Bernard Airport in 1940.

Bernard Field was depicted on the 1948 Portland Sectional Chart (courtesy of Chris Kennedy)
as having a 1,900' unpaved runway.

A circa 1940s aerial view looking south (courtesy of Ed Das) depicted Bernard Field as having a single northeast/southwest unpaved runway, with rows of T-hangars on the east side.

The 1949 OR Airport Directory (courtesy of Jonathan Westerling)
depicted Bernard Airport as having a single 1,850' sod & gravel northeast/southwest runway.
The manager was listed as Charles Bernard.

A 10/25/51 USGS aerial view depicted Bernard Field as having a single northeast/southwest unpaved runway,
with rows of T-hangars on the west & east sides, and a dozen light aircraft parked on the east side.

A 1955 street map (courtesy of Kevin Walsh) depicted “Bernard Field Airport” as having a single northeast/southwest runway.

The 1960 OR Airport Directory (courtesy of Ron Dupas)
depicted Bernard Airport as having a single 2,280' gravel northeast/southwest runway.

An 8/1/60 USGS aerial view depicted Bernard Field as having a single northeast/southwest unpaved runway,
with rows of T-hangars on the west & east sides, and several light aircraft parked on the east side.

The 1961 USGS topo map depicted Bernard Airport as having a single northeast/southwest runway.

A 1966 aerial view looking north along Cedar Hills Boulevard at Beaverton Airport.
It appeared as if the runway had been paved at some point between 1948-66.
The field had a large number of individual T-hangars on the west & east sides of the field,
and a dozen light aircraft were also visible parked on the field.

Bernard Field was depicted on the 1968 Portland Sectional Chart (courtesy of John Voss) as having a 2,400' paved runway.
According to the City of Beaverton web site, Bernard Field was closed in 1969.
At that time it was Oregon's oldest operating airport.
The former airport was demolished to make room for the Beaverton Mall.

A circa 1960s/70s photo of what appears to have been the remains of a North American FJ-4 Fury behind the still-incomplete Beaverton Mall, the site of Bernard Field.
It is unknown what the aircraft had been doing there, as Bernard Field's runway would have been too short to operate a Fury.


As seen in the 2002 USGS aerial photo, the site Bernard Field is now occupied by the Cedar Hills Crossing shopping center,
with not a trace of the former airport appearing to remain.
Joe Bernard reported in 2013, “ The McMenamin's Restaurant on the Cedar Hills crossing site [is] dedicated to the airport.
There are many clear pictures of the people & the hangars that made the airport what it was.”

A 1/28/17 photo by Kevin Walsh looking southwest at the site of Bernard Field, occupied by a shopping center.
The site of Bernard Field is located southwest of the intersection of Cedar Hills Boulevard & Jenkins Road.
Thanks for Karl Gruber for pointing out this airfield.
See also: http://www.youtube.com/user/BernardsHistory
____________________________________________________
Tongue Point Naval Air Station, Astoria, OR
46.2, -123.765 (Northwest of Portland, OR)

The October 1942 Seattle Sectional Chart depicted the Tongue Point seaplane base as the "US Naval Air Station".
In 1919, Congress approved the construction of a submarine & destroyer base on Tongue Point, a peninsula jutting into the Columbia River.
In 1921, Clatsop County transferred ownership of 395 acres to the federal government & dredging began that same year.
Construction was completed in 1924, with a breakwater & four wooden finger piers extending into Cathlamet Bay.
However, with decreased military appropriation following World War I, the base was never used.
Groundbreaking for a Naval Air Station at Tongue Point began in 1939, to be used as a base for seaplane patrols of the coastline.
As there were many delays with Tongue Point, the Navy began to use 2 other nearby civil airports,
Moon Island Airport in Hoquiam, WA, and Clatsop County Airport in Warrenton.
The earliest depiction which has been located of NAS Tongue Point was on the October 1942 Seattle Sectional Chart.
It depicted the Tongue Point seaplane base as the "US Naval Air Station".
PBY Catalinas arrived at Tongue Point in 1943 and began coastal patrols.
But this proved difficult due to the logs & other floating debris on the Cathlamet Bay, which made takeoff & landing conditions hazardous.

A WW2-era aerial view looking east at Tongue Point NAS (National Archives photo).
From 1943-1944 the station's intended mission was temporarily sidetracked,
when its facilities were used instead to assist the Kaiser Company in a critical shipbuilding program.
This became the facility's most significant role during WW2,
as a pre-commissioning & commissioning site for escort aircraft carriers
(better known as "jeep flattops") built in the big Victory ship yards in the Portland-Vancouver area.
In 1944 the PBY Catalinas at Tongue Point were replaced by larger & more capable PBM Mariners.

"Tongue Point (Navy)", as depicted on the March 1945 Seattle Sectional Chart (courtesy of Chris Kennedy).
Anti-submarine patrols from Tongue Point were discontinued with the end of WW2 in 1945, and the station was placed in a caretaker status in 1946.
Following WW2, Tongue Point was converted to a moorage facility for the Ready Reserve fleet.
To accommodate this fleet, 8 new concrete piers were built out into Cathlamet Bay.
From 1946-1962, the Navy stored as many as 250 mothballed Liberty ships at the facility.


An amazing 1958 aerial view showing over 100 mothballed ships in storage at Tongue Point.

A 1958 aerial view looking east showing over 100 mothballed ships in storage at Tongue Point & nearby Mott Island.
By 1962, the Tongue Point Naval Air Station was transferred to the General Services Administration as excess property.
When the station was deactivated by the Navy it consisted of 842 acres of land & water areas & 320 structures.
The Coast Guard Group / Air Station Astoria was established in 1964 at Tongue Point Naval Station.
A crew of 22 officers & 104 enlisted men operated 2 single-engine HH-52A Seaguard helicopters from Tongue Point.
The helicopters staged from the Port of Astoria Airport during periods of inclement weather.
This was done until the Air Station was permanently moved to its present location at the Warrenton Airport in 1966.
In 1981, the federal government sold much of the land (including 2 of the 3 hangars) to the State of Oregon.
Part of the facilities are used as the Tongue Point Job Corps Center.

The 1984 USGS topo map depicted the seaplane hangars & piers at Tongue Point.

Undated photo looking west at the northern Tongue Point seaplane hangar, control tower, and seaplane ramp.

A 2014 aerial view showed the Tongue Point seaplane ramp, 3 hangars, and piers.

A June 2020 photo looking southwest at the Tongue Point seaplane ramp, hangars, and control tower.

An August 2022 aerial view looking north at the Tongue Point seaplane ramp, 3 hangars, and piers.
The historic USS High Point (PCH-1), the U.S. Navy's first hydrofoil, is seen at bottom-left, when it spent its last days at Tongue Point after being purchased by a private individual who intended to make her seaworthy once again.

A November 2022 photo looking northeast inside the southern Tongue Point seaplane hangar.

An August 2023 photo of the scrapping of the historic hydrofoil USS High Point (PCH-1) on the Tongue Point ramp, after severe corrosion was found below her waterline.
A 1997 Army Corps of Engineers report gave further details about Tongue Point.
____________________________________________________
Or if you prefer to contact me directly concerning a contribution (for a mailing address to send a check),
please contact me at: paulandterryfreeman@gmail.com
If you enjoy this web site, please support it with a financial contribution.
____________________________________________________
This site covers airfields in all 50 states.