Abandoned & Little-Known Airfields:
New York: Long Island, Nassau County
© 2002, © 2025 by Paul Freeman. Revised 12/11/25.
This site covers airfields in all 50 states: Click here for the site's main menu.
____________________________________________________
Please consider a financial contribution to support the continued growth & operation of this site.
Advance Sunrise Airport / Curtiss Airport / Columbia Aircraft Company (revised 9/29/22) - Belmont Park Aerodrome (added 8/27/25) - Fitzmaurice Field (revised 8/29/20) - Grumman Bethpage Airfield (revised 12/8/24)
Hazelhurst Aviation Field #1 / Curtiss Flying Field / Roosevelt Field (revised 10/28/25) – Hazelhurst Aviation Field #2 / Mitchel Field / Mitchel AFB (revised 12/11/25) - Hicksville Airpark (revised 4/19/25)
Island Park Seaplane Base / Suburban Seaplane Base (added 6/27/25) - Long Island Aviation Country Club (revised 10/27/22) - New York Seaplane Airport / Grumman Seaplane Base / Tom's Point Seaplane Base (revised 10/29/25)
____________________________________________________
Belmont Park Aerodrome, Emont, NY
40.714, -73.726 (East of New York, NY)

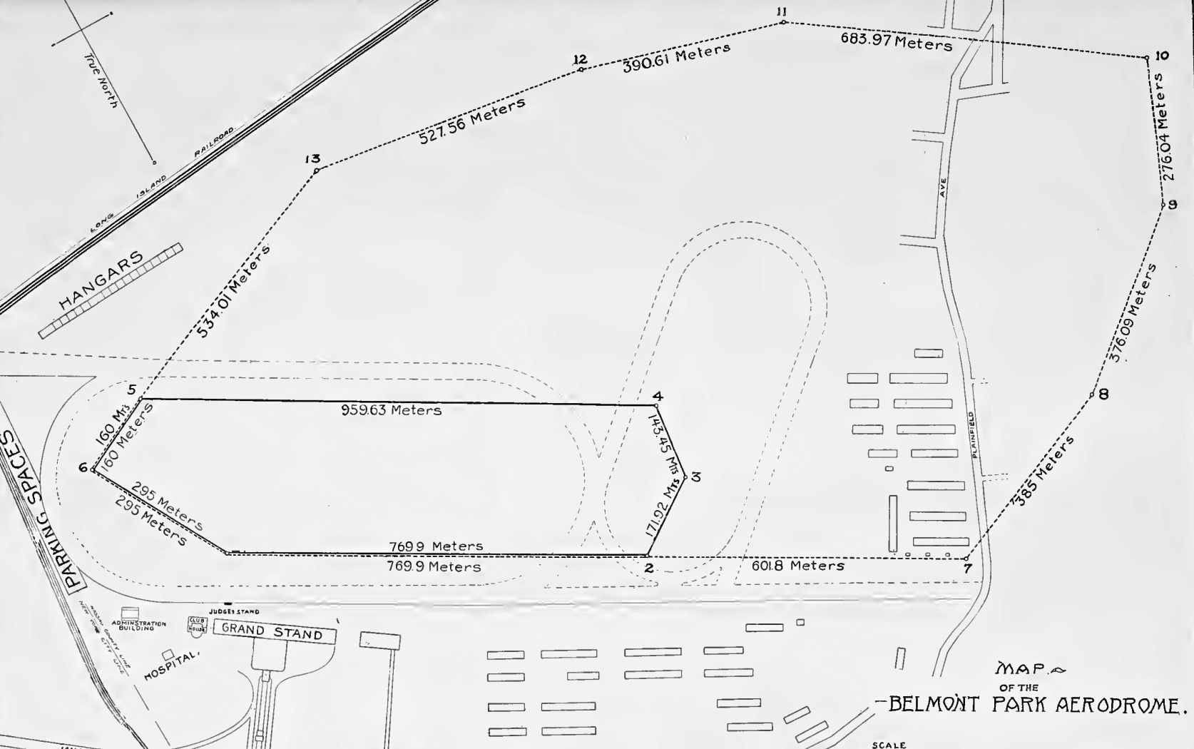
A 1910 map of the Belmont Park Aerodrome (courtesy of Chris Maione).
Long Island's Belmont Park horse racing track was opened 5/4/1905.
In 1910, Belmont Park was used as the site of an International Aviation Tournament.
According to Wikipedia, the airshow was the idea of Andrew Freedman who was a director of the Wright Company, the company started by aviation pioneers the Wright Brothers.
On 8/9/10, the Committee of Arrangements members were announced at the Finance Committee of the Aero Club of America.
The members of the Committee of Arrangements were Alan Ryan, Clifford Harmon and Redmond Cross.
August Belmont was a Wright Company stockholder & he was selected to be the President of the event's organizing committee.
The venue that the committee selected was August Belmont's racetrack at Belmont Park.
They selected Belmont so that they could save money by using the existing stands & they were able to enclose the grounds.
By 10/9/10 the park was being prepared for the airshow. The workers used electric light to work at night. The main grandstand was expanded to accommodate the projected crowds.
The organizers also had to construct hangars for the airplanes, measuring 1,000' long & 15' high.
Aviators began to arrive on October 9 including Frenchmen Alfred Leblanc & Jacques Faure, and American John Moisant.
Thirty aviators attended the 9-day event & the prizes were valued at US$72,300.
Some of the featured aviators included Wilbur Wright, Alfred Leblanc, Émile Aubrun, René Simon, John Moisant and Claude Grahame-White.
The aviation meet was the 2nd international tournament & the contests involved duration, distance, speed, and altitude.
Some of the featured events included the Scientific American Trophy, Michelin Cup, and the Statue of Liberty Flight.
The 100-kilometer Gordon Bennett Cup Race was also a featured competition for the Gordon Bennett International Aviation Trophy & $5,000.
John Moisant crashed twice; the first time he crashed trying out his new Blériot aircraft on October 19.
When he was helped from his plane he said, "Hurt? No, not at all. Nothing ever happens to anybody flying."
Later he had a warmup flight & he crashed second time. The second crash occurred 10/23/10, in Moisant's passenger-carrying Blériot aircraft.
The Associated Press reported that the plane was "badly smashed" & Moisant had to work through the night to complete repairs.
He was forced to search for another aircraft & by the time he had found one, the Statue of Liberty race had already begun.
He found that could not pass the other two competitors so he flew a different route.
James Radley won a race during the event on October 26, covering 20 miles in 19 minutes & 46 seconds, an American speed record.
Moisant won the featured Statue of Liberty race which was a 36 mile trip.
The race began at Belmont, went around the Statue of Liberty & ended back at Belmont, and Moisant won $10,000.
Thomas Fortune Ryan of Bethlehem Steel provided the prize money for the race.
British aviator Claude Grahame-White registered a protest; he had finished second & he wanted to have another attempt.
The show was managed & organized by Aero Corporation Limited. The gate receipts for the show totaled $188,000.
The Wright Brothers were involved with the show & they sued the Aero Corporation over payments they were owed.
William Niles spoke for the Aero Corporation & made claims that the expenses for the show totaled $200,000.
The aviation committee met to discuss Grahame-White's protest. They decided that the contest was over & Moisant had won.
Only three pilots flew in the race, Grahame-White, Moisant and Jacques de Lesseps.

The Official Program of the October 22-30 1910 Belmont Park International Aviation Tournament.

Eugene Ely at the wheel of a Glenn Curtiss monoplane at the Belmont Park International Aviation Tournament in 1910 (courtesy New York Public Library archives).

Planes in front of the row of hangars at the October 22-30 1910 Belmont Park International Aviation Tournament (courtesy of Chris Maione).

An image of planes over spectators at the 10/30/10 Belmont Park International Aviation Tournament (courtesy of Chris Maione).
In March 1911 (5 months after the contest) the Board of Governors of the Aero Club met & decided to disqualify Moisant because they ruled that he had failed to accomplish a 1-hour flight prior to his entry.
The $10,000 prize was awarded to de Lesseps, not 2nd-place finisher Grahame-White, because Grahame-White had been disqualified when one of his wingtips hit a pylon during the race.
The 1910 meet was presumably the last use of Belmont Park for aviation for several years.
According to Wikipedia, in 1918 Belmont Park was once again used for aviation, when the track served as the northern point of the first U.S. air mail route, between New York & Washington DC.
That was evidently the site's last use for aviation.

An October 2024 aerial view of Belmont Park (courtesy of Chris Maione).
Thanks to Chris Maione for pointing out this airfield.
____________________________________________________
Island Park Seaplane Base / Suburban Seaplane Base, Island Park, NY
40.596, -73.652 (East of New York, NY)

Island Park Seaplane Base, as depicted on the January 1948 NY Sectional Chart.
Island Park Seaplane Base was evidently established at some point between 1947-48,
as it was not yet depicted on the 1947 NY Sectional Chart.
The earliest depiction which has been located of Island Park Seaplane Base was on the January 1948 NY Sectional Chart.

Island Park Seaplane Base, as depicted on the 1953 NY Terminal Chart.
Island Park Seaplane Base was evidently renamed Suburban Seaplane Base at some point between 1953-61,
as that is how it was depicted on the 1961 NY Local Chart.

A 1962 business card for Suburban Seaplane Service (courtesy of Bill Wallace) offered instruction, sightseeing tours, and charter.

A 1962 traffic pattern chart for Suburban Seaplane Service (courtesy of Bill Wallace).
According to Bill Wallace, “Suburban Seaplane Base was located on Reynolds Channel in Island Park across from the Long Beach Hospital.
I worked there as a line boy / gofer 1962-63 on weekends & during the summers.
The owner/operator was Paul Altman. He had 2 Luscombe 8As with powerful 65hp engines & a Cessna 180.
Other aircraft based there included a Stinson Voyager owned by John DiNapoli, who used to fly charters from Manhattan to Fire Island on the weekends (prior to the bridge being built),
an all-metal Luscombe 8E, a Republic SeaBee owned by an American Airlines pilot, a Piper J-3 and a Piper Tripacer (owned by a newly-retired NYC detective).”

The earliest photo which has been located of Suburban Seaplane Base was a 2/22/62 USGS aerial view,
which showed 4 light single-engine seaplanes at the facility.

The last photo which has been located of Suburban Seaplane Base was a 7/20/72 USGS aerial view, which showed 3 light single-engine seaplanes at the facility.
The last reference which has been located to Suburban Seaplane Base still in operation was a 7/6/76 NY Times article (courtesy of Bill Wallace), “Seaplane Sinks on L.I. Alter Striking a Boat”.

The last depiction which has been located of Suburban Seaplane Base was on the 1982 NY Terminal Chart.
The Suburban Seaplane Base building was still seen in a 1984 aerial view, but there were no longer any planes on the site.
Suburban Seaplane Base was evidently closed (for reasons unknown) at some point between 1982-85,
as it was no longer depicted on the 1985 NY Terminal Chart.
The Suburban Seaplane Base building was still seen in a 2017 aerial view.
A 2019 aerial view showed the Suburban Seaplane Base building had been removed at some point between 2017-2019,
erasing the last trace of this aviation facility.

A 2025 3-D aerial image of the site of Suburban Seaplane Base, occupied by a house.
Thanks to Bill Wallace for pointing out this airfield.
____________________________________________________
Hicksville Airpark, Hicksville, NY
40.805, -73.518 (East of New York, NY)

Hicksville Airpark, as depicted on the November 1945 NY Sectional Chart.
Hicksville Airpark was not yet depicted on the May 1945 NY Sectional Chart.
According to a photo caption, this small general aviation airport was founded in 1945 by Geoge Spohrer.
Hicksville Airpark consisted of 35 acres along Robbins Lane.
The earliest depiction which has been located of Hicksville Airpark was on the November 1945 NY Sectional Chart.
It depicted Hicksville as an auxiliary airfield.

The earliest photo which has been located of Hicksville Airpark was a circa 1945 aerial view (courtesy of Christopher Ciesla).
It depicted Hicksville Airpark as having 2 perpendicular unpaved runways, with at least 5 light single-engine monoplanes & a biplane near small buildings.

A circa 1945 aerial view of Hicksville Airpark (courtesy of Christopher Ciesla) depicted 4 ight single-engine monoplanes.

The 1946 NY Terminal Chart depicted Hicksville Airpark as a commercial/municipal airport.

The only topo map depiction which has been located of Hicksville Airpark was on the 1947 USGS topo map.

The last photo which has been located of Hicksville Airpark was a 1947 view (courtesy of Christopher Ciesla) of a rare Ryan SCW-145.
According to a photo caption, throughout Hicksville Airpark's existence contentious legal battles raged between airpark founder George Spohrer & the town board.
The field featured 1 hangar, an office, and about 15 aircraft. Flying lessons were given by veterans.

A 1949 matchbook cover (courtesy of Christopher Ciesla) depicted Hicksville Airpark as having 2 perpendicular runways, with small hangars & a larger hangar along 2 sides.

A 1949 advertisement (courtesy of Christopher Ciesla) from the 8/10/49 Mid-Island Herald described Hicksville Airpark's Air Taxi Service.
According to Christopher Ciesla, “The airpark closed in 1949.
It was used as a farmers market after that.
A newspaper clipping referring to the airfield [said] the hangar that became St. Bernard's Church in Levittown.”

The last depiction which has been located of Hicksville Airpark was on the July 1950 NY Sectional Chart.
Hicksville Airpark was no longer depicted on the 1951 NY Sectional Chart.
It no doubt succumbed to rising property values in this rapidly-developing suburban area.
No recognizable trace of Hicksville Airpark was seen on a 1966 aerial view.

No recognizable trace of Hicksville Airpark was seen on a 2023 aerial view looking north.
Thanks to Christopher Ciesla for pointing out this airfield.
____________________________________________________
New York Seaplane Airport / Grumman Seaplane Base / Tom's Point Seaplane Base, Port Washington, NY
40.836, -73.71 (East of New York, NY)

A 1929 photo of the dedication of the New York Seaplane Airport, alongside the factory for the American Aeronautical Corporation in Port Washington.
Pictured from left to right were Edward Warner, B. F. Castle, Enea Bossi, and William MacCracken.
The New York Seaplane Airport was dedicated in 1929.
A photo of the dedication depicted Edward Warner, Former Assistant Secretary of the Navy for Aeronautics, B. F. Castle,
Enea Bossi, Italian-American aerospace engineer & aviation pioneer, and founder of the American Aeronautical Corporation,
and William MacCracken, Assistant Secretary of Commerce for Aeronautics.

A gold plaque commemorating the September 1929 laying of the cornerstone of the New York Seaplane Airport.

A September 1930 – December 1933 photo of Savoia-Marchetti S.56 NC897W flying boat at the New York Seaplane Airport.
The American Aeronautical Corporation, founded by Enea Bossi, produced the S.56 amphibian for the American market at Port Washington.
Enea Bossi also built a stainless steel variant of the S.56 for the Budd company, the BB-1 Pioneer.

The earliest aeronautical chart depiction which has been located of the New York Seaplane Airport was on the November 1931 NY Sectional Chart.

A circa 1930s photo of Enea Bossi, founder of the American Aeronautical Corporation, at the New York Seaplane Airport.
According to Alan Reddig, “The Port Washington facility was right on the waterfront in Manhasset Bay,
and consisted, eventually, of 3 large buildings/hangars with ramps into the bay, with no facilities for land-based aircraft.
It was built by American Aeronautical Corporation, the licensees who built the 3-seater Savoia-Marchetti S.56 in the U.S.
American Aeronautical Corporation declared bankruptcy in 1932.”
0
A circa 1930s photo (courtesy of Alan Reddig) of James Reddig & Allison “Bud” Gillies (Grover Loening’s test pilot) standing in front of Loening’s XSL-2 aircraft,
with the American Aeronautical Corporation hangar at the New York Seaplane Airport in the background.

A circa 1932 photo of X201, the sole example of the Consolidated P2Y-1C Ranger, at the New York Seaplane Airport (courtesy of the Walter Christensen collection).
The P2Y-1C was delivered to the Colombian Air Force in December 1932, and they used it as a bomber in the Colombia-Peru War in 1932–33.
The Port Washington site was sold to Pan Am in 1933.

A circa 1934-40 photo of an under-construction Savoia-Marchetti flying boat at the New York Seaplane Airport (courtesy of the Walter Christensen collection).

A circa 1930s photo looking east (courtesy of the Walter Christensen collection) of 2 Savoia-Marchetti flying boats in front of the southern hangar at the New York Seaplane Airport.

A circa 1930s photo of the 2 NY Seaplane Base hangars; the one on the left belonged to Pan Am & the one on the right to American Aeronautical Corporation.

A circa 1930s artwork by Eric Sloane of the Port Washington NY Seaplane Base hangars (courtesy of Andy Christensen).

A circa 1935-40 photo of the "Lieutenant de Vaisseau Paris", the sole Latécoère 521 flying boat at the New York Seaplane Airport (courtesy of the Walter Christensen collection).
The 521 had 6 engines, with 2 of its engines mounted as tandem pairs behind the inner front engines, facing backward.
It was one of the first large trans-Atlantic passenger aircraft.

A circa 1936-40 photo of Sikorsky S-42B flying boat “Bermuda Clipper” NC16735 at the New York Seaplane Airport (courtesy of the Walter Christensen collection).

A 7/2/37 photo by Rudy Arnold of Pan American Clipper III, Sikorsky S-42B NC16736 C/n 4209, being towed from the New York Seaplane Airport hangar.

An 8/2/37 photo by Rudy Arnold of Cambria, Imperial Airways Short S-23 Empire G-ADUV C/n S.813, on the New York Seaplane Airport ramp.

A circa 1937-39 aerial view looking east (courtesy of Alan Reddig) depicted a Short Empire flying boat moored offshore of the New York Seaplane Airport,
which had 2 large hangars & other smaller buildings.
This particular Short Empire (G-ADUU, Imperial Airways' Cavalier) was lost after a mid-ocean ditching on 1/21/39.

The 1938 Aviation Facilities in NY State (courtesy of Bob Parmerter) depicted the Port Washington Seaplane Base as having a Pan Am Hangar & a Marine Airport Hangar.
According to Alan Reddig, the former American Aeronautical Corporation Port Washington seaplane base was used as a Grumman facility during WW2.

The August 1946 NY Terminal Chart depicted the Port Washington seaplane base as “Grumman”.

The 1947 USGS too map depicted the “New York Seaplane Airport” as 4 buildings with 3 piers on the west side.
At some point between 1947-50, the former NY Seaplane Airport was evidently renamed Tom's Point Seaplane Base,
as that is how it was depicted on the January 1950 NY Sectional Chart.
According to Alan Reddig, the Port Washington seaplane base was used in 1951 as a Republic Aviation facility.

The last aeronautical chart depiction which has been located of Tom's Point Seaplane Base was on the July 1951 NY Sectional Chart.
Tom's Point Seaplane Base was evidently abandoned at some point between 1951-52,
as it was no longer depicted on the January 1952 NY Sectional Chart.

An 11/29/53 USGS aerial view showed the hangars of the former New York Seaplane Airport remained intact,
but there was no sign of any recent aviation use.
A 1974 aerial view showed all 3 hangars/buildings of the former New York Seaplane Airport remained intact.
A 1994 aerial view showed only the northern hangar of the former New York Seaplane Airport remained standing,
with the other 2 hangars/buildings having been removed at some point between 1974-94.
A 2000 aerial view showed the former New York Seaplane Airport property had been scraped clean at some point between 1994-2000,
erasing the last traces of this property's aviation history.

A 2019 aerial view looking north showed the former New York Seaplane Airport property had become densely wooded, in contrast to the dense development surrounding it.
Odd that such a valuable waterfront property would have remained unredeveloped – perhaps pollution concerns from its industrial history have discouraged reuse.
Alan Reddig reported in 2020 of the former NY Seaplane Airport, “It’s now a empty brownfield, in the midst of some of the the most valuable waterfront on Long Island Sound.”
____________________________________________________
Fitzmaurice Field, Massapequa Park, NY
40.688, -73.45 (East of New York, NY)

A postmark commemorated the 5/11/29 Dedication of Fitzmaurice Flying Field.
A postmark commemorated the 5/11/29 Dedication of Fitzmaurice Flying Field, described as "The world's first development with its own airport."

A photo from of the 5/12/29 dedication of Fitzmaurice Field.
According to the Massapequa Park website, Fitzmaurice Flying Field was dedicated on 5/12/29.
The field was named after the world-famous Colonel James Fitzmaurice,
copilot of the "Bremen," the first transatlantic flight from east to west.
A crowd estimated at 100,000 people visited Massapequa Park that day.

An article from the Daily News, covering the 5/12/29 dedication of Fitzmaurice Flying Field.

Fitzmaurice Field, as depicted on the 1930 "Rand McNally Standard Map of New Jersey With Air Trails" (courtesy of Chris Kennedy).

A circa 1930s photo (courtesy of Chester Hartwell) of a sign promoting a “hangar site purchased by the Airoscript Corp.
for the immediate erection of a 10 plane hangar, Fitzmaurice Field, Advance Aircraft Corp.”.
Fitzmaurice Field was not yet depicted on the November 1931 NYC-Albany Air Navigation Map.

The earliest aeronautical chart depiction which has been located of Fitzmaurice Field was on the August 1932 NY Sectional Chart.
It depicted Fitzmaurice as a commercial/municipal airport.

A circa 1930s aerial photo looking northeast at Fitzmaurice Field (the open rectangular area).
Note the grid of newly-constructed streets which had already begun to surround the field,
but the blocks within the streets were still filled by pine trees, not houses.

A circa 1930s photo of several monoplanes & biplanes in front of the hangar marked “Fitzmaurice Field” (courtesy of Sam Berliner).
The 1938 Aviation Facilities in NY State (courtesy of Bob Parmerter) described Fitzmaurice Flying Field as a 30 acre field having a 1,500' grass runway & one 100' x 80' hangar.

A 10/2/42 aerial view looking west at Fitzmaurice Field (from the National Archives, courtesy of Brian Rehwinkel)
depicted Fitzmaurice as a rectangular grass field with an airport circle marking in the center & a hangar at the north end.
Note the grid of streets adjacent to the west side of the field, but the blocks within the streets were still filled by trees, not houses.
The April 1944 US Army/Navy Directory of Airfields (courtesy of Ken Mercer)
described Fitzmaurice Field as having an 1,800' unpaved runway,
Fitzmaurice Field was no longer listed among active airfields in the 1945 AAF Airfield Directory (courtesy of Scott Murdock),
but it may simply have been overlooked as a relatively minor airfield.
Chris Bobka recalled, “My old instructor, Tom Murphy, I think was the manager of Fitzmaurice Airport after the war.”

A circa 1946-51 photo of the "Gyroport" facilities of the Gyrodyne Company at Fitzmaurice Field.

Fitzmaurice Field was depicted as a commercial/municipal airport
on the August 1946 NY Terminal Aeronautical Chart (courtesy of Tim Zukas).
Perhaps the most interesting chapter in the life of this little-known airfield came in 1946,
when helicopter pioneer Peter Papadakos bought the assets of the bankrupt Bendix Helicopter company & founded the Gyrodyne Company of America.
A small hangar facility was leased by Gyrodyne at Fitzmaurice Field,
and it was there that the Gyrodyne Model 2B compound helicopter was developed
and eventually performed demonstrated flights for seven Air Force pilots.

The 1947 USGS topo map depicted Fitzmaurice Field, along with a dizzying array of other general aviation airports,
almost all of which are long-gone.

A 1947 USGS topo map depicted Fitzmaurice Field as a rectangular property, with a single hangar along the north side.

A 1948 photo (courtesy of Sam Berliner) of Paul Kotze & his WW1 Thomas Morse S4C Scout in front of the Fitzmaurice Field hangar.
This particular Scout had been continuously based on Long Island since it was purchased as surplus at Mitchel Field in 1923.
From the 1920s through the 1950s, Paul Kotze of Merrick barnstormed the metropolitan area performing at many air shows.
Equipped with its original Marlin machine gun, it was one of the best preserved World War One fighters in the country.

A photo of damage caused to planes at Fitzmaurice Field from an 11/25/50 storm (courtesy of Charles Feldman).
By 1951 the growing Gyrodyne Company purchased land for a dedicated airfield & production complex in nearby St. James,
and relocated from Fitzmaurice Field to what became known as the "Flowerfield" site.

The last aeronautical chart depiction which has been located of Fitzmaurice Field was on the July 1952 NY Sectional Chart.
It depicted Fitzmaurice Field as having a mere 1,700' unpaved runway.

The last photos which have been located of Fitzmaurice Field were a pair of circa 1953 photos by Walter Winicki (courtesy of Robert Mott of the Bayport Aerodrome Society).
According to Robert Mott, the picture is “from around 1953 just prior to the field closing.
[The picture] is of a rare WW1 Thomas Morse Scout that belonged to local pilot Paul Kotze who hangared it at Fitzmaurice.
The 2 men are Tom Murphy the field manager & his father. That plane now hangs in the Cradle of Aviation Museum at Mitchell Field.”

A circa 1953 photo of Fitzmaurice Field by Walter Winicki (courtesy of Robert Mott of the Bayport Aerodrome Society).
According to Robert Mott, the picture “is of a Warner engine Great Lakes biplane. Tied down in the background is Walter Winicki’s Fleet 2.”
Fitzmaurice Field reportedly closed in 1953. Ironically, the airport was apparently a victim of the development that it was intended to attract.
Fitzmaurice Field was no longer depicted on the January 1953 NY Sectional Chart.

The last photo which has been located which shows any trace of Fitzmaurice Field was a 1953 aerial view.
The 2 unpaved runways were still recognizable, and hangars still remained standing on the west side of the field.
But construction had already begun on a school which would cover the southern portion of the former airport.
The site of Fitzmaurice Field eventually became the location of the McKenna & Hawthorn public schools,
and it was labeled as Hathorn School on the 1954 USGS topo map.
A 1980 aerial view showed that the 2 schools had completely covered the site of Fitzmaurice Field,
with not a trace remaining of the little airport.

A 1995-2014 photo of a historical plaque placed in 1995 at the site of Fitzmaurice Field.

As seen in a 5/4/09 aerial photo, the site of Fitzmaurice Field was covered by 2 schools & dense housing, with no remaining trace of the airfield.
The site of Fitzmaurice Field is located at the intersection of Roosevelt Avenue & Smith Street.
The names of several nearby streets bear homage to the former airfield, including Fitzmaurice Street & Lindbergh Street.
____________________________________________________
Long Island Aviation Country Club, Hicksville, NY
40.738, -73.52 (East of New York, NY)

A 6/29/29 photo of a TAT Ford Trimotor visiting Long Island Aviation Country Club on its Opening Day (courtesy of Mark Hess).
According to an article by John Fleischman in the 2/99 issue of Air & Space / Smithsonian Magazine,
this airfield was founded by an elite group of fliers who formed what they thought would be
the first of a string of aviation country clubs that would extend from coast to coast.
A national committee had been formed in April 1928 to issue charters,
and at one point, 114 such clubs were supposedly in the works.
The Long Island Aviation Country Club was co-founded by Darwin Adams, according to his obituary (according to Raya Koren).
Charles Lindbergh was a charter member of the Aviation Country Club in 1929.
He was brought in by its first president, Charles Lanier Lawrance,
who'd designed the Wright J5C Whirlwind air-cooled radial engine for the Spirit of St. Louis.
Lindbergh, who had just married Anne Morrow that May, taught his bride to fly at the club.
The club's treasurer was another giant of the aeronautics industry, Chance Vought,
and the board was fleshed out with society types, such as Cornelius Vanderbilt Whitney
and Reginald Langhorne "Peter" Brooks, a band leader & a superb young pilot (he was also the nephew of Lady Astor).
According to Mark Hess, “Hicksville Aviation Country Club opened on 6/29/29.
It was also known as the Long Island Aviation Club.
It was funded by F. Trubee Davison, Assistant Secretary of War for Aeronautics.”
The earliest photo which has been located of Long Island Aviation Country Club
was a 6/29/29 photo of a TAT Ford Trimotor visiting on its Opening Day (courtesy of Mark Hess).
An article entitled “Aviation Country Club on Long Island is Dedicated” appeared in the 7/6/29 issue of Air Transportation (courtesy of Noah Rechtin).
It said “Hicksville: A flying country club formed under the nation plan of the Aviation Country Clubs Inc. opened at this city on June 31
and will be known as the Long Island Aviation Country Club.”
The 1929 opening of the Aviation Country Club turned out to be very unfortunate timing, as the stock market crashed 4 months later.

Long Island Aviation Country Club Airfield, as depicted on the 1929 Washington-NYC Air Navigation Map #3.
The Sportsman Pilot wrote in 1929: "The Long Island club is no longer a test tube. It may have been an experimental device at first.
Now it has been elevated from the laboratory. It has become a beacon for guidance of other club units...
The Hicksville club has not contented itself with fair-weather flying & tea at the clubhouse, skeptical suspicions to the contrary notwithstanding."

A 1920s aerial view looking southeast at the hangar & clubhouse of the Long Island Aviation Country Club.
It may have still be under construction in this photo, as the hangar did not yet have its eventual double-arch roof.

A set of undated photos from a 1929 magazine article showing the Long Island Aviation Country Club clubhouse, hangar, and several planes (courtesy of Mark Hess).
According to an article in the 2/14/30 Long-Islander newspaper (courtesy of Mark Hess),
“The club obtained the use of approximately 200 acres of land for a flying field.
The field lies between Woodbury Road & the L.I. Railroad, adjacent to the farm of Mr. Blyman.
Louis Mussel, who will soon have his pilots license, is very kindly going to give free flight instruction to all club members.
Joseph Byrne, an engineer, is the clubs chief technical instructor.”

The earliest map depiction of the Aviation Country Club which has been located
was on the 1930 "Rand McNally Standard Map of New Jersey With Air Trails" (courtesy of Chris Kennedy).
For all the snobbish overtones, the Long Island club was set up for serious flying. A huge hangar was built, 200' wide by 60' deep.
Until the Second World War, 2 mechanics were on duty every day with 4 helpers to gas up the airplanes with high-octane fuel,
push them onto the line, and hand-prop the engines.

An undated street map depicted the Long Island Aviation Country Club as a mostly rectangular property with a small angular extension on the northwest corner.

The earliest Sectional Chart depiction which has been located of the Long Island Aviation Country Club was on the August 1932 NY Sectional Chart.

An undated aerial photo depicted the Long Island Aviation Country Club as a rectangular grass airfield with a few small buildings along the south side.

The 1934 U.S. Navy Aviation Chart (courtesy of Chris Kennedy)
depicted the Long Island Aviation Country Club as consisting of a rectangular-shaped field.
The Airport Directory Company's 1937 Airports Directory (courtesy of Bob Rambo)
described the "Long Island Aviation Country Club" as having a sod rectangular landing area, measuring 2,200' x 1,500'.

The earliest photo which has been located of the Long Island Aviation Country Club was a 1937 aerial view,
showing a large number of single-engine monoplanes & biplanes in front of a substantial hangar alongside a grass airfield.
Alan Reddig recalled, “My father, James Reddig, who was Grover Loening's Assistant Chief Engineer,
was an early member, and he had many fond memories of the Club.
I have Charles Lindbergh's autograph in the form of his pledge card
for one of the club's annual Christmas gift fund collections for the club's staff.
My father said that one of the last times he saw Lindbergh at the club
was when, a few day's after the Lindbergh baby had been kidnapped,
Lindbergh landed at the club to refuel before flying on with some police on board
to follow up on a tip that the baby might be somewhere in New England.
Dad said that everyone kept a respectful distance as Lindbergh went about checking out the plane
for the hop over Long Island Sound while the ground crew was fueling it.”

A 1930s aerial view looking north at the double-arch roof hangar of the Long Island Aviation Country Club, with 1 single-engine biplane visible at right.

A 1930s photo of the Goodyear blimp “Mayflower” at the Long Island Aviation Country Club.

A 1930s photo of de Havilland DH-60X Moth cn 547 NC5359 on amphibious floats in front of the Long Island Aviation Country Club hangar.

A 1/15/37 magazine ad for Hicksville's Gillies Aviation Corporation (courtesy of Alan Reddig),
noting their sales of Grumman, Waco, Fairchild, Stinson and Beechcraft airplanes, and the Fleetwings “Sea Bird”.
Alan noted, “My father [James Reddig] designed the Fleetwings Sea Bird.”

A 1937 photo by Alfred Eisenstaedt of the stainless steel Fleetwings Sea Bird F-4 NX16793 C/n F-401 at Hicksville Aviation Country Club.

A 1937 photo by Alfred Eisenstaedt of brand-new Fairchild 24H NC16871 C/n 3200 in front of the Hicksville Aviation Country Club hangars.
The Fairchild had been built that same year in nearby Farmingdale.

A 1937 photo by Alfred Eisenstaedt of Lockheed Electra 10A NC20Y C/n 1076 in front of the Hicksville Aviation Country Club hangars.

A 1937 or later aerial view (courtesy of Alan Reddig) looking northwest at the Long Island Aviation Country Club, showing 6 aircraft.
Alan Reddig observed, “The Vanderbilt Motor Parkway crossed the image from left to right.
The Parkway refused to allow the Club to build direct access to it from the Parkway, so the Club had to build a private access road from Jerusalem Avenue (to the east), which ran behind the Club’s hangars & parallel to the Parkway.
Nonetheless, when nonmembers flocked to view the Club’s flying activities, they would pull off the Parkway just over the fence from the clubhouse.
The ersatz 'parking lot' & the ruts leading to it from the Parkway are clearly visible in the photo.
The image was published in an issue of 'The Sportsman Pilot'; published after 1937 because a story on the back of the page references Bessie Owens’s flights in Europe/Asia/Africa in 1936-37.”
The 1938 Aviation Facilities in NY State (courtesy of Bob Parmerter) described the Aviation Country Club of Long Island Airport as a 2,200' x 1,400' rectangular sod field with 1 hangar.

A circa 1939 aerial view (courtesy of Bob Levittan) of Long Island Aviation Country Club.
The original caption read, "The latest types of private planes assembled on the flying field of the Aviation Country Club at Hicksville, L.I.
on June 30 for the club's 4th annual private Demonstration Air Meet.
An article (courtesy of Bob Levittan) described the club as follows:
"The Aviation Country Club, which is at Hicksville, is the swankiest of its kind in the country.
There are dozens of other flying clubs in the U. S., the most active ones lying west of the Alleghenies.
But most of them use commercial hangars & airports.
Often enough they consist of a group of enthusiasts who own a secondhand Waco & take off from a cow pasture.
The Aviation Country Club, however, counts 175 wealthy flying members.
Of these, 76 own their own planes & most of the rest are licensed pilots.
The Club's swimming pool, tennis courts & clubhouse (with 4 bedrooms) are frills.
The members really pay their $250 initiation fee & the $150/year dues
because the Club offers useful facilities for their planes:
a landing field, a big hangar, mechanics, fuel & oil.
It has a flying instructor, just as another country club would have a golf pro. It rents & sells planes.
Every now & then, it stages an air demonstration, comparable to an invitation golf match,
to which plane makers send their products & pilots."

A circa 1939 aerial view (courtesy of Bob Levittan) of Long Island Aviation Country Club.
The original caption read, "Aviation Country Club at Hicksville, L.I.
is the only one which boasts clubhouse, tennis court, swimming pool as well as hangar."

A circa 1939 photo (courtesy of Bob Levittan)
of several planes at the Aviation Country Club, including Stinson, Waco, and Fairchild.

A circa 1939 photo (courtesy of Bob Levittan) of Long Island Aviation Country Club.
The original caption read, "Members & guests of Aviation Country Club watch a Luscombe monoplane fly at air demonstration.
In formation is a Lockheed."

A circa 1939 photo (courtesy of Bob Levittan) of Long Island Aviation Country Club.
The original caption read, "The hangar at the club is a major reason for becoming a member.
Here 20 fair-sized planes can be stored at once.
Mechanics offer complete repair service, keeping an active watch on all members' planes,
giving them a thorough overhauling every 25 flying hours."
In nearly 20 years of flight operations, the Long Island Aviation Country Club never had a serious accident resulting in injury - not even at the annual airshow.
Instead of death-defying stunts & hell-for-leather pylon races,
manufacturers used the show to put on dignified exhibitions of their latest products.
The Flying Committee's 1939 invitation to manufacturers made the tone of the event clear.
"Each demonstrator will be asked to demonstrate his ship in the air for approximately 5 or 6 minutes.
The Committee will permit no stunting, excessive pull-offs & climbs or unorthodox maneuvering,
the demonstration being purely to show off the ship's best qualities.
It is important that each demonstrator realize that he is not in competition & also that no sales approaches be made."
The chance to present the best aircraft to the best people was irresistible to those in the business (many of whom belonged to the club anyway),
and the shows were hugely successful - too successful in some ways.
Club members & demonstrators were issued entry ribbons, but keeping the ordinary people of Hicksville away was difficult.
They lined the roads & trespassed on the airfield for a glimpse of the amazing craft on display or flying by.
In 1939, the club had TWA's "stratosphere laboratory plane" & a trio of Goodyear blimps,
as well as flybys from Pan Am's Sikorsky S-42 Bermuda Clipper flying boat & the Douglas DC-4 prototype.
The crowds, both beribboned & uninvited, were enthralled.
From the beginning the club was a perfect place to fly, recalled former member Betty Gillies.
It had 100 acres, most of it an "all directions" grass landing field in the midst of an endless plain of potatoes.
In case of a forced landing, the potato fields were a great reassurance, said Gillies.
Betty's first ship was a de Havilland 60 X Moth.
She bought it from Grover Loening, who had the airplane shipped from Britain.
His aeronautical engineering firm put it on floats, and Bud Gillies, Betty's husband, was Loening's test pilot.
When Loening was done, Loening sold the Moth to Betty. She put it back on wheels.
"We were in the business," Gillies explained matter-of-factly, "so we had the airplanes."
The club's mix of status, wealth, and insider connections produced some unusual scenes on the flightline.
The club newsletter noted in August 1938 that "Mr. Roy Grumman is now keeping his new G-32A in the hangar.
It is a 2-place conversion of the Navy F-3-F fighter with an 830 HP Cyclone.
It can climb to 12,500 feet in 5 minutes."
Imagine a modern day "Mr. Grumman" rolling up at a general aviation field in a civilian version of his company's Navy F-14 Tomcat.
The same issue noted that Mr. Howard Hughes had dropped by the club at the conclusion of his record 3 & a half day around-the-world flight
and had been ferried back to Newark Airport in the club's Stinson.

A 6/30/40 photo by James Reddig (courtesy of Alan Reddig) of a rare TWA Douglas Sleeper Transport (predecessor of the DC-3) at the Long Island Aviation Country Club.
According to Alan Reddig, “This was one of the 'Family Day' events at the Aviation Country Club in Hicksville.
TWA gave members & their families short hops around the area in this DC-3.
It was on this occasion, in this aircraft, that my sister had her 1st airplane ride.
We also have some 16mm home movies of the event, and it’s clear from her reaction
that she was just as excited about the piece of chewing gum the TWA attendants gave each child as they deplaned as she was about the ride itself.”

A 6/30/40 photo by James Reddig (courtesy of Alan Reddig) of a Piper Cub on straight floats in front of the Long Island Aviation Country Club hangars.
Jim Grant observed in 208, “This J3 is a rare J3P model that Piper built with a Lenape Papoose radial engine.
They built just 27 of them & 3 still exist on the FAA registry, including this one, N20280, now registered to an Ingrid Zimmer-Galler of Jefferson MD.”

A 6/30/40 photo by James Reddig (courtesy of Alan Reddig) of a Grumman flying boat & several other general aviation aircraft at the Long Island Aviation Country Club.
Alan Reddig reported, “It was taken during one of the Club’s events variously known as 'Industry Day' or 'Family Day.'
Dad, who was a member of the Club, designed the all-stainless-steel Fleetwings Sea Bird, which can be seen in the background at the left of the photo.”

A circa 1940s response card for the Long Island Aviation Country Club’s annual appeal for its Christmas Bonus fund to be distributed to “Club & Hangar Employees & Staff”,
notably with Charles Lindbergh’s autograph (courtesy of Alan Reddig).
Alan Reddig observed, “Although it’s post-card-size (5-3/4x3-3/8 inches), and addressed to 'Col. Chas. A. Lindbergh, Lloyd Neck, Huntington, N.Y.' on the reverse,
it clearly did not go through the mail; there was no postage stamp or postmark applied.
He probably picked it up at the Club, filled it out, and handed it back in.
At some point, it was folded vertically down the middle, but is in otherwise excellent condition.”
WW2 seemed to help the club in the first months; flying lessons were in high demand.
Barbara Kibbee Jayne was hired by Bud Gillies early in 1942 as the club's chief instructor.
He'd flown up to Troy, New York, where Jayne had just qualified
as the first woman instructor in the new Civilian Pilot Training Program, just to talk her into it.
After she reported for work in Hicksville, there weren't enough hours in the day. She taught 7 days a week, dawn to dusk.
"All kinds of people went out & learned to fly.
To this day, I can't think of anything more thrilling than a first solo. It was just you & God."
Despite the workload, teaching flying at the club was fun for Jayne in ways that it never was after the war.
In 1942 aviation fuel was not yet being rationed,
and members could still fly up to Nova Scotia to pick up salmon or down to the Chesapeake Bay to hunt ducks.
Some club members joined the Civil Air Patrol & were sent out to monitor the coast,
where they "spotted quite a few submarines off the island," Jayne recalls.
Over time, the fabric-covered biplanes were joined by high-wing monoplanes such as the Fairchild Ranger,
and then the first all-metal sport aircraft, such as the Ryan S-T.
These & other models are the signature airplanes of what historians now call the Golden Age of Aviation.
Other aircraft based at or visiting the club included the Beech 17,
Bellanca Skyrocket, Lockheed 10, Boeing 247-D, and Grumman G-21.

An undated magazine ad for Hicksville's Gillies Aviation Corporation (courtesy of Alan Reddig).

A 10/1/42 aerial view looking north at the Aviation Country Club Airport from the 1945 AAF Airfield Directory (courtesy of Scott Murdock)
depicted the field as an open grass area.
As the war continued, the club found it harder & harder to retain good help.
Jayne says Grumman would lend mechanics to the club for a day or an afternoon.
By then, the club's wartime flying days were numbered.
Jayne herself was spending more & more time test flying production aircraft at Grumman.
Many of the club's women members had gone into the service as ferry pilots.
Jayne is not sure exactly when the club suspended operations for the duration of the war,
but almost her last memory of the club was of a party there -
not a high-society event but a wedding thrown by the Polish refugee couple who served as the live-in housekeeper & cook.
The April 1944 US Army/Navy Directory of Airfields (courtesy of Ken Mercer)
described the Aviation Country Club as having a 2,400' unpaved runway.
The 1945 AAF Airfield Directory (courtesy of Scott Murdock) described the Aviation Country Club Airport
as an 80 acre irregularly-shaped property within which were 2 sand & sod runways, with the longest being the 2,400' east/west strip.
The field was said to have a single 200' x 60' brick & wood hangar, and to be privately owned & operated.

A June 1946 photo (courtesy of Gerry Masher) of a Vultee BT-13B/SNV-2 NX60496 & the sole example built of the 1934 Waco S3HD
at what was described only as “a country club on Long Island” (presumably Hicksville).
This is the last photo which has been located of the Hicksville airfield.
John Ricciotti reported in 2013, “The 1934 Waco S3HD was ordered & bought by Miles Vernon whose address at the time was 1 Wall St, NY, NY.
I purchased it last month. It was last rebuilt in 1964 and is in immaculate condition today.
The S3HD was the only civilian version built of Waco's military fighter bomber.
The S3HD has a Pratt & Whitney R985 Wasp Junior engine. It is quite a performer.”

The front & back of an undated matchbook (courtesy of Richard Sloan) with the logo of “The Aviation Country Club” - was this the Long Island Aviation Country Club?

The August 1946 NY Terminal Aeronautical Chart (courtesy of Tim Zukas)
depicted the Hicksville "Aviation Country Club" as a commercial airfield.

The 1947 USGS topo map depicted Long Island “Aviation Country Club” Airfield, along with a dizzying array of other airfields,
almost all of which are long-gone.

The 1:24,000 1947 USGS topo map depicted Long Island “Aviation Country Club Airport” as an open area with 2 small buildings along the south side.
Former airfield worker Alfred Merrill did not get back to Long Island to visit his parents until the spring of 1948,
only to be told the club had just closed permanently.
Standing outside his parents' house in Hicksville, he found the silence strange.
There were no small aircraft taking off from the club airfield.
On another visit, Merrill drove over to see for himself.
"The place had been bulldozed & they were building Levittown," he recalls.
"The buildings were gone. What happened to all our planes I can't say, but everything was gone."
For some, that's the final irony of the Aviation Country Club of Long Island: It's buried under Levittown.
What was once an elite social club in pre-war America was sold off for post-war America's most famous mass-housing development.
For former members like Betty Gillies, the memory of the club's end was painful.
"That horrible time," she said. "Those little houses. Hundreds of them."
The club had fallen victim to rising land values.
While Hicksville was charmingly rural in 1929, by the late 1940s it was about to become solidly suburban.
And as the houses closed in, it became dangerous to operate an airfield.
When William Levitt offered $2,200 an acre, the club ceased flying in May 1948 & began looking for a new home.

The last aerial photo which has been located of the Long Island Aviation Country Club was a 9/1/48 USGS aerial view.
It depicted the buildings along the south side of the grass airfield.

A circa 1940s photo of the Long Island Aviation Club hangar looking west from the Motor Parkway.

The last depiction which has been located of the Country Club airfield was on the January 1950 NY Sectional Chart (courtesy of Mike Keefe).
It depicted the Hicksville "Country Club" airfield as having a 2,300' unpaved runway.
The club planning committee found a new site in 1950, a small private airport at Commack.
The members, however, had lost interest, and that August, 90% voted to dissolve the club forever.
The Long Island Aviation Country Club Airfield was no longer depicted on the July 1950 NY Sectional Chart.
A “FOR SALE” advertisement in the 2/25/50 Newsday (according to Richard Sloan) listed the Aviation Country Club of Long Island hangar & clubhouse for sale to the highest bidder.
The 3/23/50 Newsday (according to Richard Sloan) said the Aviation Country Club of Long Island had been sold to Levitt & Sons for $175,000, with the club to vacate by the end of April.
“Planes are still flying out of the field, and will until the 11th hour.”
The 4/5/50 Newsday (according to Richard Sloan) said the Levitt & Sons started staking out about 500 plots of the former Aviation Country Club of Long Island, each one measuring 60’ x 100.’
It was announced on the previous night that the clubhouse was sold to the family of Mrs. John Kraft,
who said it would be re-located & would probably be rebuilt into 2 or more homes. Bids were being received for the sale of the hangar.
The Aviation Country Club hangar was reportedly reassembled in Bethpage & used to manufacture pre-fabricated sections of the Levitt homes,
and then served for years as a perfume factory, then a pickle works, and finally a tuxedo warehouse.
Local historians say parts of other club buildings were trucked away & incorporated into 5 private homes.
A 1953 aerial photo showed the site of the Long Island Aviation Country Club Airfield to be occupied by dense housing,
with not a trace of the airfield still recognizable.

A circa 2012 photo of the former Aviation Country Club hangar as it was relocated to Revere Avenue & Lexington Avenue in Bethpage.

A 2012 aerial view looking north at the former Aviation Country Club hangar as it was relocated to Revere Avenue & Lexington Avenue in Bethpage.

A 2017 aerial photo shows no trace remaining of Long Island Aviation Country Club,
but the alignment of the adjacent Long Island Motor Parkway on the south side of the airfield site is still recognizable.
Today a street in Hicksville called Pilots Lane is essentially the only sign that the Aviation Country Club of Long Island ever existed.
____________________________________________________
Grumman Bethpage Airfield (BPA), Bethpage, NY
40.75, -73.495 (West of Republic Airport, Long Island, NY)

Grumman's Bethpage Airfield, as depicted on the November 1938 NY Sectional Chart.
This was the factory airfield of the Grumman Aircraft Corporation,
which relocated from Farmingdale after purchasing 120 acres of land in Bethpage in 1936.
Thousands of aircraft were eventually produced at the factory.
Grumman's Bethpage Airfield was not yet depicted on the April 1938 NY Sectional Chart.
The earliest aeronautical chart depiction which has been located of Grumman's Bethpage Airfield was on the November 1938 NY Sectional Chart.

A 1938 aerial view looking northwest at the Grumman Bethpage airfield showed it to be an irregularly-shaped grass field with a factory on the east side.

A circa 1938 aerial view looking east at Grumman's first Bethpage factory, Plant 1, on the east side of their airfield.


A 4/10/40 photo by Rudy Arnold of the sole prototype of Grumman's XF5F-1 Skyrocket C/n 1442 at the Bethpage plant, in its original configuration (short nose, no prop spinners).

A 1940 photo of the sole prototype of Grumman's XF5F-1 Skyrocket being run up at the Bethpage plant, after modification to nose & added spinners.

A 1940 photo of Grumman Widgeon amphibians under assembly in the Bethpage plant.


A 10/1/42 aerial view looking southeast at Grumman Airport from the 1945 AAF Airfield Directory (courtesy of Scott Murdock)
depicted the field as having 2 paved runways.
Grumman's Bethpage Plant 3 was built from scrap steel from the New York City El specifically for the production of the F6F Hellcat.
Mark Ball recalled working at "Bethpage as a production test pilot from November 1943 until September 1945."
He flew everything from F6F Hellcats, F7F Tigercats, F8F Bearcats, to Widgeon amphibians.
Mark recalled that the primary runway was repaved & lengthened by 1,000' in 1945,
a process which involved temporarily operating from shortened portions of the main runway,
and at one point led to operating solely from the much shorter crosswind runway.
While this was fine for the smaller F6F & amphibians,
it wasn't very comfortable for the twin-engine F7F Tigercat fighter,
with its much longer runway requirements.

F6F Hellcats are assembled on Grumman's Bethpage production floor in 1944.

An 11/12/44 photo of Grumman XF4F-8 Wildcat BuNo 12228 at Grumman Aircraft Engineering Corporation Bethpage.
The 1944 US Army/Navy Directory of Airfields (courtesy of Ken Mercer)
described Grumman Bethpage Field as having a 5,400' hard-surfaced runway,

A 1945 photo of rows of Grumman F6F Hellcats being readied for delivery from the Bethpage plant.

A 1945 photo of a Grumman F7F Tigercat at the Bethpage airfield.
The 1945 AAF Airfield Directory (courtesy of Scott Murdock) described Grumman Airport
as a 110 acre irregularly-shaped property within which were 2 blacktop runways runways, with the longest being the 5,400' northwest/southeast strip.
The field was said to have four 140' square brick hangars,
and to be privately owned & operated.
Grumman's Bethpage Plant 2 had a USAAF code of “GR” during WW2.

A 2/2/46 photo of the sole prototype of the Grumman G-72 Kitten II light general aviation plane at Bethpage.
The Kitten was an attempt by Grumman to enter the post-WW2 general aviation market,
but the development project was terminated in 1946, and the Kitten II was used as a company transport until it was retired in the mid-1960s.

Grumman's Bethpage airfield was depicted as a commercial/municipal airport
on the August 1946 NY Terminal Aeronautical Chart (courtesy of Tim Zukas).
Grumman's Bethpage Plant 3 produced a staggering total of 12,275 F6Fs during WW2.
Through the end of 1946, Grumman Bethpage produced a total of 1,768 F4Fs, 364 F7Fs, 144 J2F-5s,
2,293 TBFs, and an unspecified number of F8Fs, G-21As, and G-44s.

A January-June 1946 photo of Grumman G-44A Widgeon amphibian NC86617 C/n 1443 at the Bethpage plant.

The 1947 USGS topo map depicted “Grumman Airport”, along with a dizzying array of other airfields, almost all of which are since long-gone.

A circa 1940s aerial view looking northwest at the Grumman Bethpage airfield.

A 1952 profile of the XF10-1 Jaguar prototype at Bethpage (courtesy of Brett).

A 1952 front view of the XF10-1 Jaguar prototype at Bethpage in 1952 (courtesy of Brett).

A 1953 aerial view depicted Bethpage as having 2 paved runways still in use, with dozens of aircraft on the west & east sides of the field.

A closeup from the 1953 aerial view showing large numbers of newly-built Grumman aircraft on Bethpage's northeast ramp.

The 1953 USGS topo map depicted “Grumman Airfield” as having 4 paved runways & multiple taxiways & ramps.

A circa 1960 photo of a Grumman HU-16 Albatross amphibian parked in front of the Bethpage control tower.

A 1956 photo of S2F-1 Trackers on the Bethpage production line.

In a 1960 aerial view looking northeast at the Bethpage airfield, two runways appeared to still be in use, with a 3rd former runway used for aircraft parking.
In 1962 Grumman won the contract to design & build the Apollo Lunar Module (better known as the LM).
Grumman designed, assembled, integrated & tested the LM at its Bethpage facility.

A 10/5/64 photo at Grumman Bethpage of Astronaut James Lovell, shrouded in a thermal suit over his regular pressure suit, with operable back pack,
as he prepared to check the LEM cockpit for accessibility during the NASA Inspection & Review of the all-metal mockup of the Lunar Excursion Module.
He was also hooked to the “Peter Pan” hoist rig that simulated the 1/6th gravity condition on the moon.
Through 1972 Grumman Bethpage built a total of 25 LMs.
According to Bert Nelson, “The awesome Boeing 'Pregnant Guppy' [was] used to ferry the LEM to Florida.”
Grumman Bethpage Field was described by the 1962 AOPA Airport Directory as having 2 paved runways.
Frank Dioguardi recalled, “I started on the line in Calverton 1962 & worked my way up, with Corky Meyer’s help.
I flew for Grumman 1966-73. I was Flt 73 (Grumman Pilot Number).
Corky Meyer was Grumman Flt 25, Earnest Rorer Flt 65, Dick Bauer Flt 66.”

A 1965 Grumman map of their Bethpage airfield & adjacent facilities.

A 3/29/66 USGS aerial view depicted Bethpage as having 2 paved runways still in use, and a total of 18 aircraft visible on the field.

A 3/14/74 USGS aerial view depicted the Bethpage airfield, with the employee parking lots filled with thousands of cars,
but ironically only a single aircraft was visible parked outside on the field.

An undated view of NASA's Shuttle Training Aircraft (a modified Grumman Gulfstream II) at Bethpage (courtesy of Brett).
Don Vining recalled, “I worked for Grumman Data Systems in Plant 40 (now Briarcliffe College) through most of the 1970s
and enjoyed watching the F-14 perform in several company airshows in Calverton,
but the best show I ever saw was when I watched an F-14 takeoff from the Bethpage air strip around 1976-77.
At that time Grumman was upgrading the electronics in the F-14 in Bethpage & would quietly fly in about 1 jet per month.
A friend of mine who was a flight test engineer in Calverton called one day & told me an F-14 was scheduled to takeoff in a half hour.
So we drove out to the airstrip & literally stood right on the edge as the plane taxied out. The test pilot waved as he went by.
He turned around at the end of the airstrip (right up against South Oyster Bay Road),
lit his afterburners, and did a full-performance takeoff right in front of us!
By the time he reached the halfway point where I think a small tower was located,
he looked like he was going straight up & I could see his wings folding back as he disappeared into the clouds.
The noise was incredible & the air was crackling like when a Saturn V was being launched.
Apparently those test pilots could get away with anything!”

The Grumman Bethpage airfield was still depicted as an active airfield on the 1979 NY TCA chart (courtesy of Bill Suffa).
It was depicted as having 2 paved runways, with the longest being the 6,600' northwest/southeast runway.

The 1979 USGS topo map depicted a total of 3 runways at the Grumman Bethpage Airfield.
A 1980 aerial view depicted a single E-2 & another twin-turboprop on the east side of the Grumman Bethphage airfield, as well as 5 light aircraft (flying club aircraft?).

A 1981 photo of a Space Shuttle wing being removed from a vertical jig assembly inside the Grumman Bethpage factory.
The June 1982 NY Terminal Aeronautical Chart (courtesy of Mitchell Hymowitz)
depicted Grumman Bethpage as having 2 paved runways, with the longest being the 6,600' northwest/southeast runway.
By the time of the 1982 AOPA Airport Directory (courtesy of Ed Drury),
Grumman Bethpage Field was reduced to a single active runway (6,000' concrete Runway 15/33).

An early 1980s photo of a Grumman X-29 experimental forward-swept-wing aircraft being towed at night at the Bethpage factory.
The Bethpage airfield was surrounded by extremely dense development,
leaving insufficient room to operate modern high performance jet aircraft.
For this reason, production & flight test of Grumman's last jet aircraft designs (A-6 & F-14)
were conducted at the newly-constructed Calverton Naval Weapons Plant Airfield further east on Long Island.

The last aeronautical chart depiction which has been located showing the Grumman Bethpage airfield still in operation
was on a 1987 NY Terminal Aeronautical Chart (courtesy of Gwen Shafer).
It depicted Bethpage as having a single 6,600' paved northwest/southeast runway, and a Non-Federal Control Tower.
Anthony Darienzo recalled, “I am retired Air Traffic Controller. I worked for the FAA for 25 years at several facilities on Long Island.
During the mid-1980s, I was the Chief Controller at Republic Airport in Farmingdale.
Non-federally operated control towers must be inspected by the nearest FAA Tower Chief on an annual basis.
The purpose of this inspection is to review the equipment, personnel, facility publications, etc., to determine whether the non-federal control can continue to operate.
On 3/17/87, I inspected the Grumman Bethpage Tower & determined that the facility was operated in accordance with federal mandates
and could continue operations for another year.
I remained at Republic for several more years & never conducted another inspection at Grumman Bethpage.
Irrespective of depiction on any chart, the facility could not have legally operated after March of 1988.
This prohibition would apply to any type of operations, public or private.”
George Morrish recalled, “In 1988/89 I was the commanding officer of The NCPD Air Bureau, based at Grumman, Bethpage.
We had 4 helicopters. They had Bell Jet Ranger & Long Ranger helicopters. We also had a old Bell 47 which couldn't fly.
We flew 2 to 3 one-hour patrol flights daily divided over two 8t hour tours, and responded as necessary for various assignments, mostly medevac.
I also had some pictures of a Super Guppy (a huge blimp-like 4-engine prop driven cargo plane that they used to transport large items from Bethpage) taking off.
As far as I know, it was the last time for that plane at Bethpage. I remember both sides of the Grumman runway lined with people witnessing the event.
It was a foggy day, which didn't make for great shots, but the pictures show corkscrew mist coming off each engine.
I spent 15 great months there with some great Grumman people.”

A 9/27/90 photo by George Morrish at a gathering commemorating the last fixed-wing flight from Bethpage Airfield, an S-2T Turbo Tracker.
George recalled, “I was invited back to witness the last fixed-wing takeoff from that facility.
It was a S-2T Turbo Tracker which was there for an update for the Chinese Nationalist Government.”

A 9/27/90 photo by George Morrish of the last fixed-wing aircraft to fly from Bethpage Airfield, an S-2T Turbo Tracker, with the control tower visible in the background.

A 9/27/90 aerial view by George Morrish looking north at the takeoff of the last fixed-wing aircraft to fly from Bethpage Airfield, an S-2T Turbo Tracker, with hangars visible in the background.
George recalled, “I believe they're the only photos taken that day... at least the ones from above.”

A 9/27/90 aerial view by George Morrish looking east at the last fixed-wing aircraft to fly from Bethpage Airfield, an S-2T Turbo Tracker taxiing southeast on Runway 15.
The sole remaining Grumman aircraft production line (the E-2 Hawkeye) was relocated in the 1990s to St. Augustine, FL.
The Grumman Bethpage airfield was depicted on the December 1993 NY Sectional Chart as an abandoned airfield.

A 1994 USGS aerial view looking northeast showed closed-runway X markings on Bethpage's primary runway. Portions of at 2 other runways still existed.

A 1997 aerial view by Tom Kramer looking southeast at the closed Grumman Bethpage airfield.

A 1999 aerial view looking east at the remains of the Grumman Bethpage Airfield by Philip Kineyko.

A circa 2001-2005 aerial photo looking south at what appear to be former hangars at the Bethpage complex,
with some of the remainder of the runway pavement along the bottom-left.
Carlton Klein reported, “The old Grumman plant still has one significant aviation usage (at least it did in 2001 when I was last there):
it is used as a base for one of Nassau County Police Department's Bell 206L LongRanger helicopters.
I used to live on Eastern Long Island & took the Long Island Railroad into NYC for work everyday;
we would go right by Bethpage & often I would see the helicopter being wheeled out of the hangar on a dolly.
They also had some sort of motorpool there
as there were always several patrol cars in various states of disrepair in a parking lot nearby.”
Tom Kramer reported from an overflight in 2003 that "about a quarter of the runway remains & parts of the main ramp.
Since construction is already completed of the office park (except for a field adjacent to the runway on the eastern side),
I don't think the remaining runway will be torn up completely anytime soon.
They built a road along & over it's western edge & a new water tower is about 100' from it's eastern edge.
Two closed X's are clearly visible."
What a sad end for a historic airfield, where thousands of our country's military aircraft were built & took their first flights.

A 2005 aerial photo by Paul Freeman, taken from a Diamond Eclipse at 8,000 feet, looking northeast at the former Grumman Bethpage Airfield.
As of 2005, the Nassau County Police Heliport (8NY9) is listed as an active heliport on the northeast side of the former Bethpage airfield.
The heliport is listed as having 4 helicopters based at the facility.

A circa 2006-2009 photo (courtesy of Fred Miller) of the 2nd-to-last built F-14D Tomcat (“Felix 101”, BuNo 164603) displayed outside the Bethpage Grumman plant.
Fred reported that Felix 101 was shut down for the last time at nearby Republic Airport on 10/4/06 & trucked to Bethpage for display.

A pre-2007 photo of the remains of a former runway or taxiway at Bethpage.

Two pre-2007 photos of the several former hangars at Bethpage.
Dave Accetta reported in 2007, “Rainbow Cablevision has taken over much of the existing buildings on the old Grumman Bethpage Airport.
They use the active heliport quite often for their Sikorsky S-76s, based out of Farmingdale.
Inside the buildings you will find a massive telecommunications facility that houses the broadcasting center for Rainbow.
Many of the areas are placarded as to what the building formerly housed.
I remember one in particular that mention that the room I was in was where the Grumman section of the Apollo lunar modules were built.”
Ken Thalheimer reported in 2009 that the completed display of the F-14 at Bethpage is “floodlit at night with changing colors.”
He also reported, “In the field by the water tower which is the old main runway a local Honda dealer has built their service department.
A large building with a huge storage lot for new inventory which backs up to the LIRR tracks. The facility was recently completed.”
As of 2009, a portion of the massive Grumman facility was being reused as Grumman Studios,
a “160,000 square foot facility with 7 huge stages, massive storage facilities, acres & acres of paved outdoor space.
The birthplace of the Apollo lunar landing module has given rise to NY’s largest production facility – Grumman Studios.”

A February 2009 photo of an HH-60 Blackhawk fuselage being lifted at Grumman Studios for the filming of the movie Salt.

A circa 2012 floorplan of the “Grumman Studios”, which occupy a portion of the former Grumman Bethpage facilities.

A pre-2013 photo of the Grumman Studios' “Stage 1” at Bethpage.
An article by Peter Garrison entitled “Aftermath: Vectors to ZMB” in the 10/6/17 Flying Magazine described how obsolete data about Bethpage Airfield contributed to a fatal accident:
“The C35 Bonanza, N5946C, was cruising at 6,500' when there was a sudden loud bang from the engine compartment, followed by a smell of oil. The IO-470 sputtered & lost power.
The engine failure took place a few seconds after the JFK Departure controller who had cleared 46C into the New York Class B handed the flight off to La Guardia Departure.
At that moment, the Bonanza’s heading was 282 degrees, and it was making a 142-knot groundspeed against a headwind of 20-25 knots.
The pilot, without declaring an emergency, said, “I’m gonna have to take it down at the closest spot.”
The controller immediately reeled off a list of possibilities: La Guardia, Kennedy, Westchester, Republic Airport.
“OK,” the pilot replied, “Farmingdale is the closest airport, 9 miles. OK, yeah, I’m not going to make Farmingdale.”
Then came a lifeline. “There is a strip about your 10 o’clock & 5 miles,” the controller said. “Bethpage Airport.”
The pilot grasped at it. “Give me this airport,” he said. “I’m not seeing it.”
“There’s a strip right about at your 12 o’clock & 3 miles... The strip is a closed airport, ah, I just know there is a runway there, about 11 o’clock & about a mile and a half now.”
The Bonanza was at 1,400 feet msl. The pilot searched for the runway, but saw only buildings.
“There’s a strip about 1 o’clock & less than a mile,” the controller repeated. “It’s a closed airport; I have no information about it, unfortunately.”
The pilot never found the Bethpage runway. He tried to land on railroad tracks, but luck was not with him.
His right wing struck a barrier at the only grade crossing in the vicinity, and the airplane flipped over & burst into flames.
The pilot died from impact trauma and burns; the passenger survived with serious injuries.”
Garrison continued, “The reason the pilot failed to find the Bethpage Airport was that it had been replaced several years earlier by an industrial park.
The reason the controller vectored him to it was that the nonexistent Bethpage runway was still depicted on his radar screen.
It emerged from the National Transportation Safety Board’s investigation of this accident
that the FAA lacked a formal procedure for ensuring closed airports were purged from the radar video maps used by controllers.
The pilot might still have salvaged the situation by landing on any of several golf courses, or on the parkway that the controller pointed out to him,
if only he had not been led to believe - because of a grotesque & cruel bureaucratic oversight - that a runway lay just ahead.
Pilots reading this account will be relieved to know that the FAA now has a formal procedure for purging nonexistent airports from controllers’ databases.
You have to wonder, though: Why didn’t they think of that before?”

A 2018 aerial view looking northeast showed the former Grumman Bethpage factory building remains, but all traces of the airfield have been erased by redevelopment.
See also:
http://www.lihistory.com/specpio/runway1.htm
http://www.lihistory.com/9/hs9grum.htm
____________________________________________________
Hazelhurst Aviation Field #1 / Curtiss Flying Field / Roosevelt Field, Garden City, NY
40.74, -73.61 (East of Manhattan, NY)

A 1917 photo of a pilot in front of his Curtiss JN-4 Jenny biplane trainer at Hazelhurst Aviation Field #1.
Two airfields, separated by a 15' high bluff, were established here in 1911.
They were collectively known as Hempstead Plains Field.
The 2 fields were taken over by the Army in 1917 & renamed Hazelhurst Field.

"Hazelhurst Aviation Field #1" & "Aviation Field #2", as depicted on the 1918 USGS topo map.

A September 1918 photo of a French Air Force Nieuport 27 N3798 being shown to cadets at Hazelhurst Field.
The US Army Air Service had bought Nieuport 27s for use as trainers.
The Army renamed the east field as Roosevelt Field in 1918.

A remarkable July 1919 photo of the massive British dirigible R34 as it was moored at Roosevelt Field after the first east-to-west nonstop transatlantic flight.

A 1919 photo of the massive British dirigible R34 as it was preparing for its transatlantic departure from Roosevelt Field.

A 1919 photo of one of only 5 Curtiss Model 19 Eagles, seen at Curtiss Field.
The Eagle featured an enclosed passenger cabin & cockpit, but the anticipated postwar aviation boom did not materialize.
The west field was known as Curtiss Field by the 1920s.


A 5/15/21 photo captioned “Opening day Curtiss Flying Field Garden City” (courtesy of Tom Heitzman) showed many spectators & aircraft in front of the row of hangars.

A circa 1920s photo of planes of the Curtiss Exhibition Company in front of the Curtiss Field hangars (courtesy of Ed Das).

A 1922 photo of Bessie Coleman making her 1st appearance in an American air show, at Curtiss Field, Long Island (courtesy of Paul Siwulich).

A 4/30/22 photo of Handley Page O/7 G-EAAF C/n HP-13 at Curtiss Field. The aircraft had been taken over by Curtiss after being impounded.

Roosevelt Field, as depicted on the 1923 New York – Bellefonte Air Navigation Map #3 (courtesy of David Brooks),
along with the nearby Mitchel Field & Hazelhurst Field.

A circa 1923-26 photo of a S-29A (Sikorsky’s first airplane built in America, purchased by Curlee Clothing)
in front of a hangar marked “Sikorsky Manufacturing Corporation” at Roosevelt Field.
The flying activities of Sikorsky were conducted at Roosevelt Field during that time frame

“Government Field #1” & “Government Field #2”, as depicted (the red rectangles) on a circa 1924 Sperry Instruments map of landing fields (courtesy of Tom Heitzman).
In 1925 the Ireland Aircraft Company, specializing in amphibians, was established at Curtiss Field.

A 1926 photo (courtesy of Ed Das) of René Fonck's Sikorsky S-35 Ville de Paris before its takeoff from Roosevelt Field in quest of the $25,000 Orteig Prize that Charles Lindbergh won by flying to Paris 8 months later.

A 9/1/26 photo (courtesy of Allan Reddig) of the cash “in the strip of land between Roosevelt Field & the adjacent Curtiss Flying Field...
when French WWI ace René Fonck unsuccessfully attempted to take off from Roosevelt Field in a modified Sikorsky S-35
in quest of the $25,000 Orteig Prize that Charles Lindbergh won by flying to Paris 8 months later.
Fonck & his co-pilot survived the crash; his navigator & mechanic both perished.
Sikorsky had modified a twin-engined S-35 at Fonck’s request by adding a 3rd engine for the flight to Paris.”

A circa 1926-34 photo of the Wright-Bellanca WB-2 “Miss Columbia” inside a Roosevelt Field hangar.

A circa 1926-28 photo by James Reddig (courtesy of his son Alan Reddig) of a Sikorsky S-29-A at Roosevelt Field.
This Sikorsky, tail # 2756, was painted "First Flying United Cigar Store", had been sold to Roscoe Turner in 1926, who used it to advertise for various companies.
Here it was being used as part of an advertising campaign for United Cigars, in which it was stocked with tobacco products & other small items such as gum, watches, and playing cards.
The airplane flew across the U.S. selling these products in various towns.
It was later bought & reworked by Howard Hughes in 1928 for his film "Hell's Angels" in which it was used as a German Gotha bomber.

A May 1927 photo of Charles Lindbergh & Police Commissioner Abram Skidmore in front of the Spirit of St. Louis & Curtiss Field's Hangar 16.

A 1927 photo of Charles Lindbergh as he prepares to leave from Roosevelt Field for the 1st nonstop solo flight across the Atlantic (courtesy of Paul Siwulich).

A 5/20/27 photo of the preparation of Charles Lindbergh's Ryan “Spirit of St. Louis” for his historic departure
from the eastern portion of Roosevelt Field (Hazelhurst Field) for the world's first solo transatlantic flight.

A 5/20/27 photo of Charles Lindbergh's historic departure from the eastern portion of Roosevelt Field (Hazelhurst Field)
in the Spirit of St. Louis on the world's first solo transatlantic flight.

The 1927 Department of Commerce Airway Bulletin (courtesy of David Brooks) depicted “Curtiss Flying Field” as being located to the west of “Hazelhurst Field”,
and to the north of the Curtiss Aeroplane & Motor Company.
Curtis Field was described as consisting of a 100 acre rectangular property containing a sod flying field measuring 3,000' east/west.
Two rows of hangars were depicted on the west & north sides of the field.

“Aviation Field Curtis Aeroplane & Motor Corp.”, as depicted on a 1927 Hyde road map (courtesy of Kevin Hale),
along with the nearby “Mitchel Field Aviation Grounds U.S Govt.” to the southeast.

A 1927 aerial view looking northeast showing the Curtiss Aeroplane & Motor Company factory in the foreground, and the Curtiss Flying Field in the background.

A June 1927 photo of Fokker C-2 trimotor the “America”, mounted on its dirt launching ramp at Roosevelt Field.
Early on 6/29/27, the "America" took off from Roosevelt Field for Paris, with a crew of 4 under the command of then-Commander Richard Byrd.

A 9/18/27 certificate for James Reddig's airplane ride conducted by Roosevelt Field's Curtiss Flying Service.
Alan Reddig reported, “ In my father’s papers, I’ve come across this ticket stub for a ride for 2 people with The Curtiss Flying Service, Inc., on 9/18/27.
The handwriting of the date is definitely my father’s. This would have been in the fall of his sophomore year in the aeronautical engineering program at MIT.
I do not know who accompanied him on the flight.”

A December 1927 photo (courtesy of Ed Das) of a Sikorsky amphibian which unsuccessfully attempted a flight from Roosevelt Field To Norway.

A 1928 photo (courtesy of Keith Nelson) of Alfred Nelson, unamed pilot, Jack Conkle, Fred Buffa, Don Kunkle, and Bill Keppel in front of a Sikorsky S-38 amphibian at Curtis Field.
Keith Nelcon reported of his father, Alfred Nelson, “We believe he was the youngest licensed mechanic at the time with A&E license #8818 at age 17.”

A 1928 photo (courtesy of Keith Nelson) of Alfred Nelson & Jack Conkle in front of a Sikorsky S-38 amphibian at Curtis Field.

A 1928 photo (courtesy of Keith Nelson) of Eleanor Smith in a Sikorsky S-38 amphibian at Curtis Field.
Keith Nelson reported, “Eleanor was the youngest pilot in the US in 1927 at age 16.
The year this photo was taken, she got in trouble for flying under the 4 bridges that crossed the East River in New York City.
She went on to be named Best Woman Pilot In America in 1930. She set numerous flying records during her career.
She not only set or broke records, she broke barriers women faced in pursuit of equal treatment.”

A 1928 photo (courtesy of Keith Nelson) of a mechanic, Steve Parkinson, Bill Stulz, and an unidentified man in front of a Sikorsky S-36 amphibian at Curtis Field.
Keith Nelson reported, “In addition to Amelia Earhart's pilot in her first Atlantic crossing, Wilmer Stultz (named Bill Stultz in the photo), there is also Steve Parkinson.
Steve helped push Lindbergh's plane at Roosevelt Field on his trans-Atlantic flight in 1927.
The plane is a Sikorsky S-36 named “Dawn”. This plane was owned by Frances Grayson who wanted to be the first woman to fly across the Atlantic.
Stultz was her pilot. They made 2 attempts but they turned back both times. Stultz then quit.
Grayson hired another pilot & with a navigator & radio engineer, took off from Curtiss Field on 12/23/27. The plane disappeared & was never found.”

A circa-1920s aerial view (courtesy of Bill Larkins) depicted a large gathering of Army biplanes near the single hangar of the Hazelhurst Field (east) portion of Roosevelt Field.

A 1928 photo (courtesy of Tom Heitzman) of a collection of biplanes in front of a row of hangars at Roosevelt Field.

An undated photo of 2 Roosevelt Field hangars: Hangar 9 (John B. Rintoul, Frank Steinman, Instrument Training, Taylor-Young Air Planes) & Hangar 7 (Plane Owner's Service).

A circa 1928-30 photo (courtesy of Tom Heitzman) of Russ Simpson's Swallow biplane in front of a crazy-shaped hangar at Hempstead (Roosevelt Field).

A 1929 NY Legislative Report (courtesy of Tom Heitzman) depicted “Curtiss Flying Field” as being located to the west of “Hazelhurst Field”,
and to the north of the “Curtiss Aeroplane & Motor Company” & Mitchel Field – a dense assemblage of aviation.
Curtis Field was described as consisting of a 100 acre rectangular property
containing a sod flying field measuring 3,000' east/west.
Two rows of hangars were depicted on the west & north sides of the field.
According to Peter Maefield's 1972 Wings Club of NYC speech (courtesy of Dave Kanzeg),
“In 1929, before the depression, Roosevelt Field Inc. bought out both Lannin & Curtiss.
The name Curtiss Field was then changed to 'Roosevelt Field Unit 2'.
After that 'Roosevelt Field Unit 1' (East) & 'Roosevelt Field Unit 2' (West) were operated as one unit
connected by an oiled ramp 500' long by 150' wide at the North end of the 12' grade which cut through the 2 units from North to South.”

A 1929 photo of the “Green Flash” Bellanca Type J at Roosevelt Field.

A 1929 photo of an unidentified man in front of the sole example of the Curtiss-Bleecker Helicopter at Roosevelt Field.
The Curtiss-Bleecker Helicopter was designed by Maitland Bleecker & built by Curtiss in nearby Garden City.
It was reputed to have made several brief flights, but it was not pursued due to instability.

A 1929 photo of the French Bernard 191 GR "Yellow bird" in front of the Air Associates hangar at Roosevelt Field (courtesy of Michel Boquet).
According to Michel, “It is in this hangar that, in May 1929, the plane was prepared for its successful transatlantic flight
from Old Orchard Beach (Maine) to Comillas (Spain) on 6/13/29.
The crew members were Assollant, Lefevre and Lotti, plus the young American stowaway Arthur Schreiber.”

A 1929 photo at Roosevelt Field of one of only 3 Curtiss Carrier Pigeon 2s built for National Air Transport.

A November 1929 photo of Strana Sovyetov, Tupolev ANT-4bis (TB-1) URSS-300 at Roosevelt Field. The ANT-4 was the first large metal aircraft built in the Soviet Union.
At least 30 Ireland Neptune amphibians were produced at Roosevelt Field until 1930.

Roosevelt Field, as depicted on the 1930 "Rand McNally Standard Map of New Jersey With Air Trails" (courtesy of Chris Kennedy).

A 1930 aerial view looking west at “Curtiss Field” (courtesy of Amy Bentley),
showing the row of hangars along the west side (one marked “Air Associates”).
At least 7 aircraft were visible on the field, as well as a large number of cars & people.

A 1930 photo of Eddie Schneider landing at Roosevelt Field after completing his transcontinental flight in his Cessna AW “The Kangaroo”.

A 1931 aerial view looking east at Roosevelt Field, showing the long row of hangars on the north side of the field & numerous other buildings.

A 1931 aerial view looking southeast at a group of unidentified Army twin-engine biplane bombers overflying Roosevelt Field,
with Mitchel Field also visible at the top-right.

A circa early 1930s aerial view looking west at the 2 airfields, showing Charles Lindbergh's takeoff route from the eastern portion of Roosevelt Field (Hazelhurst Field),
with the western portion of Roosevelt Field (the former Curtiss Field) visible in the background.

An undated photo by James Reddig (courtesy of his son Alan Reddig), stamped 5/28/32 by the photo-finisher, of the sole example of the Union Aircraft Corporation Magnus-effect aircraft built at Roosevelt Field.
Alan Reddig reported, “These two images were taken by my father when he was Assistant Chief Engineer at Grover Loening Aircraft Company in Roosevelt Field's Building 17.
Instead of wings, this aircraft has 4 chain-driven horizontal rotors, 2 on each side, designed to provide lift by means of the Magnus Effect (the same principle that makes a spinning pitch into a curveball),
in which a spinning object - in this case, a rotor - develops a force - in this case, lift - perpendicular to the direction of air flowing past the object.
Forward movement was provided by 90hp Cirrus engine-driven propeller, and the rotors were powered by two 28 hp Indian motorcycle engines.
In this view, the port-side rotors are spinning, but the starboard rotors are not.”
On the back of one of the photos, James Reddig wrote “A rotor ship (Flettner rotor idea) which buzzed up & down the field here, trying to fly.”
Alan Reddig reported, “The Flettner reference is to aerodynamic rotors developed in the 1920s by German engineer Anton Flettner to exploit the Magnus Effect, and which are still in use on oceangoing vessels to this day.
Multiple online sources describe this experimental aircraft as having been designed by Isaac Popper & John Guest, and manufactured in 1931 by Union Aircraft Corporation of Long Island.”

An undated photo by James Reddig (courtesy of his son Alan Reddig), stamped 5/28/32 by the photo-finisher, of the sole example of the Union Aircraft Corporation Magnus-effect aircraft built at Roosevelt Field.
Alan Reddig reported, “In this photo the rotors are stationary, and one of the motorcycle engines is clearly visible on the side of the fuselage.
Both of the teardrop-shaped gas tanks cannibalized from the motorcycles are visible straddling the cockpit.”
Jame Reddig reported, “In the early 1930s Roosevelt Field saw every manner of intended flying machine appear.
This weirdo counted on the Flettner rotor effect of the two rotors substituted for wings to provide lift and, by differential speed control to each side, for roll control.
It never exhibited any perceptible lift or capability of flight. Test pilot Jimmy Collins would taxi it noisily up & down the runways at the field for $15 per 'test' from time to time.
One day, inside the hangar, one of the rotor spindles broke loose & the spindle thrashed about like a whip, badly damaging the contrivance & seriously injuring a shop mechanic.
The inventor/designer removed it & it was never heard of again.”

The earliest Sectional Chart depiction which has been located of Roosevelt Field was on the August 1932 NY Sectional Chart.

A 1932 photo by John Willmott “of a Lockheed Sirius at the Hangar 5 of the row of new hangars along the north side of Roosevelt Field
when I was thrown out of high school & working for Air Associates at old Hangar 1 on the west end of the field.”

A 1932 photo by John Willmott of “Frank Hawks's Texaco 13 [Travel Air Mystery Ship] in which he made many record flights.
For the age of this picture, 77 years ago & made with a single meniscus Kodak Box Camera, it's not too bad a shot.
During my free time - and in between on errands - I spent time all over the field,
especially Hangar 5 where the exotic planes were & next door where there were seaplanes.”

A 1932 aerial view by John Willmott of Roosevelt Field.
John recalled, “This is what I saw flying Leo Lowe's OX Waco after my 1st solo
and becoming a commercial pilot on my 2nd solo carrying 4 kids on planks in the cut out enlarged front cockpit.
It would carry 2 not-too-over-gross adults & maybe a kid in the lap in that cockpit.
After that, I got to fly a bunch of different ones like the Gypsy Moth.
License? What's a license? Oh, one of those small pieces of paper.
Some guy eventually asked to see mine after someone said I was flying passengers without a license.
I said when? What plane? That one. Oh, you mean thaaaat one.
Well uh uh I flew it solo but likely wouldn't without a license - would I?
Well, I didn't see you do it & if you do I'm gonna haul you off to jail & fine you. YES SIR! Gotcha!”

A circa 1930s aerial view looking east at Roosevelt Field (courtesy of Alan Reddig).
Alan Reddig noted that the photo was annotated by his father James Reddig, “with an arrow indicating the building Grover Loening leased in the early 1930s when he moved his factory out of Manhattan.
Prominent in the upper center of the postcard is the dark ramp connecting 'lower' Roosevelt Field with 'upper' Roosevelt Field.”

A 4/28/32 photo of the collapsed remains of Roosevelt Field Hangar A after a fire.

An undated photo (date-stamped by the photo processor 5/30/32) by James Reddig of the interior of the Loening Aircraft shop at Roosevelt Field (courtesy of Alan Reddig).
Alan Reddig reported, “Here’s my father’s notes on the back of the print:
'Wing assembly at the [Roosevelt Field] shop. Hull inverted on its jig in the background. Note the little wind tunnel on the lockers. Mock-up of pursuit ship right background. CONFIDENTIAL.'
The wing being assembled is for the XS2L-1, a scout biplane prototype for the US Navy.
The 'wind tunnel' refers to a small-scale wind tunnel he built in 1930 for testing airfoils. It’s above the center of the photo, against the wall.
Now it sits across the room from me as I write this. I have a few of the airfoils.
I assume the 'CONFIDENTIAL' notation refers to the mockup of the 'pursuit ship right background', which never came to fruition.
Here we are, 86 years later, so I don’t think there’s any harm in sharing the photo.”

An undated aerial view looking northeast at Roosevelt Field,
from The Airport Directory Company's 1933 Airports Directory (courtesy of Chris Kennedy).

Two undated photos of hangars at Roosevelt Field from The Airport Directory Company's 1933 Airports Directory (courtesy of Chris Kennedy).
The directory described Roosevelt Field as having three 2,000' asphalt runways.
A large number of hangars was depicted along the west & north sides of the field.
The General Manager was listed as George Orr, and dozens of companies were listed as having operations at the field.

A circa 1930s photo of an unidentified man & NC14718, Ireland P-3B Privateer c/n 84, in front of a Roosevelt Field hangar.
Mark Lincoln noted, “The Ireland P-3B first flew in 1933.”

A circa 1933 photo by James Reddig of a Travel Air 6000 at Roosevelt Field (courtesy of Alan Reddig).
Alan Reddig reported that this may have been owned by airline pilot & Brooklyn resident Jack Holst.

A circa 1933 photo by James Reddig of a Cessna DC-6B at Roosevelt Field (courtesy of Alan Reddig).

A circa 1933 photo by James Reddig of an Ireland Neptune N2C amphibian at Roosevelt Field (courtesy of Alan Reddig).
According to Alan Reddig, “Grover Loening closed down his business at Roosevelt Field in 1933.
Fleetwings had a facility at Roosevelt Field, but its business there was limited to the manufacturing of their welding machines (for spot-welding stainless steel)
and fabricating parts for other aircraft manufacturers, including Ireland & Loening.
Someone in the family-owned company got the idea to build a whole amphibious airplane out of stainless steel,
rather than just building parts for other manufacturers, and they hired my father, shortly after Loening closed up shop, to design it.
The move to Bristol was predicated on the need for access to water for flight tests.”
Aircraft manufacturer Fleetwings moved from Roosevelt Field to Bristol Field PA in 1934.

Roosevelt Field, as depicted on the 1934 U.S. Navy Aviation Chart (courtesy of Chris Kennedy).

A Flight Simulator scenery re-creation by Richard Finley of an American Airlines Curtiss Condor overflying Roosevelt Field.
In 1934, Georgian emigre Micheal Gregor founded Gregor Aircraft at Roosevelt Field. Gregor's first product was the 2-seat sport biplane GR-1.

A circa 1935 photo of a Gregor GR-2 in front of the Gregor Aircraft Corporation facility at Roosevelt Field's Hangar B.

A circa 1935 photo of Aline Rhonie painting a huge aviation-themed fresco mural on an interior wall of Roosevelt Field's Hangar F.
According to Peter Maefield's 1972 Wings Club of NYC speech (courtesy of Dave Kanzeg),
“In 1935 Unit 1 [the eastern airfield] was leased for the construction of an automobile race track to replace the Vanderbilt Parkway.”
Curtiss Field was then renamed Roosevelt Field.

A circa 1935 photo of the Roosevelt Field Inn's art deco bar with “Toast to Progress” mural by Eric Sloane.
Aron Krantz recalled of Roosevelt Field, “My dad Duke Krantz was the Daily News pilot there circa 1930-1940 period.”

A circa 1930s aerial view looking northeast at Roosevelt Field.

A 1936 (or later) photo at Roosevelt Field of one of only 5 F-5 Seabird amphibians produced by Fleetwings.
The F-5 was a 5-seater that was produced entirely of spot-welded stainless steel.

An aerial view looking southeast at Roosevelt Field
from The Airport Directory Company's 1937 Airports Directory (courtesy of Bob Rambo).
The directory tagged Roosevelt Field as "The center of commercial aviation in the east."
It was described as having three 2,000' asphalt runways.
The aerial photo in the directory depicted a long row of hangars along the north & west sides of the field.

A number of vintage advertisements for firms based at Roosevelt Field, from The Airport Directory Company's 1937 Airports Directory (courtesy of Bob Rambo).
Many aviation business operated out of Roosevelt Field, including Aeronautical Radio Company, Waco Sales of New York,
Pester's Propeller Service, C. Foley Company, Aero Trades Company, Northern State Airways, and Leech Aircraft.

The 1938 Aviation Facilities in NY State (courtesy of Bob Parmerter) described Roosevelt Field as having 3 asphalt 2,000' runways & 20 hangars on the west & north sides.

A 4/10/38 photo of the Roosevelt Field Aero Trades hangar.

A 1939 photo of perhaps the most unusual of the amazing assortment of aircraft built at Roosevelt Field: the sole prototype Koun Aircraft Dirigible Helicopter,
which was built over the course of 5 years by Young Ho Koun (pictured in the cockpit, the first Chinese American to develop an aircraft).
This extremely unorthodox machine featured 2 large wing-mounted boxes filled with compressed helium & a Continental engine which could be tilted vertically.
The CAA gave the aircraft a registration number, but not an experimental certificate.
The sole flight attempt was performed in front of media.
After many failed engine start attempts, the engine was started without the pilot & the vehicle was damaged while securing it.
The aircraft was not publicly displayed again, and was never able to achieve flight.

A 1941 advertisement for the amazing assemblage of aviation businesses at Roosevelt Airport (courtesy of Sparky).

A 1941 photo of the sole prototype of the DeBothezat GB-5 coaxial helicopter in front of the Roosevelt Aviation School hangar.
Soviet emigre Georgi DeBothezat designed & built a series of helicopters under the Helicopter Corporation of America name, and he flew the GB-2 & GB-5 at Roosevelt Field.
Unfortunately their development was ended by DeBothezat's death in 1940.

Langley Aircraft of nearby Port Washington, Long Island, named for aviation pioneer Samuel Langley, built this twin-engine 4-seater of a mahogany plywood composite material in 1941.
Port Washington had no runways & therefore flight tests were conducted 10 miles away at Roosevelt Field.
The Langley's plywood composite material was known as a plastic & therefore it was called a 'plastic plane'.
Ironically, the 'non-strategic' plywood plastic turned out to be scarcer than aluminum.
According to Peter Maefield's 1972 Wings Club of NYC speech (courtesy of Dave Kanzeg),
“Roosevelt Field had shrunk from the original 2-field complex of 700 acres in 1918
to a single field of some 240 acres by the start of the Second World War.
During World War 2 Roosevelt Field was a pilot & ground training center
and also a Modification Center for American aircraft being supplied to the Royal Air Force.
That was its swan song.”

An undated photo of the hangars which may have been at the west end of Roosevelt Field,
from a pamphlet describing the "Roosevelt Aviation School" (courtesy of Bob Levittan),
which apparently trained aircraft mechanics for service during WWII.

An undated business card for the "Roosevelt Aviation School" (courtesy of Andrew McCalla).

A WW2-era National Archives aerial view looking east at Roosevelt Field.

A circa 1940s aerial view looking southwest at Roosevelt Field (courtesy of Ed Drury).
Note the track of the Roosevelt Raceway in the lower left.

A circa 1940s airport layout of Roosevelt Field from an airport directory (courtesy of Ed Drury).
Note the single hangar still depicted on the northern edge of the Roosevelt Raceway property (at the northeast corner of the plan).
Being located near the major aircraft manufacturing facilities of Grumman, Chance Vought, and Eastern Aircraft,
Roosevelt Field was commissioned as Naval Air Facility Mineola in 1943.
Its mission was to serve as a modification & delivery center for newly manufactured aircraft, primarily those purchased by the British.
In 2 & a half years, Roosevelt delivered 6,662 aircraft!

A 1943 aerial view looking southeast at NAF Mineola (Roosevelt Field),
showing the huge number of Grumman & Vought aircraft being fitted out before shipment to the Royal Navy (courtesy of Richard Porcelli).

A circa 1943 photo showing Grumman Martlets (F4F Wildcats) being prepared for the Royal Navy in front of a Roosevelt Field hangar.

A circa 1943-45 photo of a Grumman F6F Hellcat in Royal Navy markings taking off from Roosevelt Field.
At its height during WW2, Roosevelt Field consisted of a total of 3 asphalt runways (the largest was 3,000' long),
parking ramps, 6 large hangars along the northeast ramp, and numerous smaller hangars & other buildings.

A September 1944 advertisement for the Roosevelt Aviation School (courtesy of Richard Finley).
The 1944 US Army/Navy Directory of Airfields (courtesy of Ken Mercer)
described "NAF, Roosevelt" as having a 3,000' hard-surfaced runway,
and indicated that both Army & Navy operations were conducted at the field.
During World War 2 the Dade Brothers factory, adjacent to Roosevelt Field,
which had been a hombeuilder, was contracted by the Army to produce wooden wings & tails for CG-4 troop gliders.
Nearly 1,000 sets were assembled by Dade Brothers with the steel tube fuselages built by General Aircraft in Queens
and crated for overseas shipment at Roosevelt Field.

The 1945 AAF Airfield Directory (courtesy of Scott Murdock) described Roosevelt Field
as a 248 acre irregularly-shaped property within which were 3 asphalt runways, with the longest being the 2,900' northeast/southwest strip.
The field was said to have a total of 8 hangars, with the largest being five 140' x 120' concrete structures.
Roosevelt Field was described as being privately owned, but operated by the Navy & private interests.
After WW2, Roosevelt Field was surrounded by increasingly dense development.

Roosevelt Field was depicted as a commercial/municipal airport on the August 1946 NY Terminal Aeronautical Chart (courtesy of Tim Zukas).

Roosevelt Field was depicted on a 1946 USAAF KS-NY Pilot's Handbook (courtesy of Chris Kennedy) as having 3 paved runways.
Note the proximity of Mitchel Field to the south.

Roosevelt Field & Mitchel Field, as depicted on the 1947 USGS topo map.

An undated aerial view looking northeast at Roosevelt Field from a 1948 brochure (courtesy of Rudolph Tomasik).

Rudolph Tomasik in the front seat of the Roosevelt Aviation School's T-6, “Whistlin Dixie”, from a 1948 brochure (courtesy of Rudolph Tomasik).

Maintenance being performed on the Roosevelt Aviation School's T-6, from a 1948 brochure (courtesy of Rudolph Tomasik).

Rudolph Tomasik of the Roosevelt Aviation School in front of a Republic SeaBee, from a 1948 brochure (courtesy of Rudolph Tomasik).

A 9/1/48 USGS aerial view showed the proximity of Roosevelt Field to Mitchel Field to the south.

An undated aerial view looking west along the northern row of hangars at Roosevelt Field.
The photo is presumably from late in the life of Roosevelt Field (late 1940s / early 1950s?), the eastern-most hangar had already been removed.

The last aeronautical chart depiction which has been located of Roosevelt Field was on the July 1950 NY Sectional Chart.
According to Peter Maefield's 1972 Wings Club of NYC speech (courtesy of Dave Kanzeg),
“Finally, in August 1950 the field was sold to the real estate developers, Webb & Knapp.”
Roosevelt Field was no longer depicted on the December 1950 NY Sectional Chart.
According to Peter Maefield's 1972 Wings Club of NYC speech (courtesy of Dave Kanzeg),
“Flying ended on 5/31/51 on the original site of Mineola 2 Aviation Ground of 27 years previously.
It was a sad end to an historic spot - sad not least, I suspect, to Grover Loening & to his colleagues of the former Aviation Corporation - AVCO -
who had been major stockholders in Roosevelt Field Inc. & had backed it solidly.”

A sad 1950s photo of an abandoned Roosevelt Field hangar, still bearing a proud stylized “R” logo on top.

The last photo which has been located showing Roosevelt Field still largely intact was a 12/2/53 USGS aerial view.
Although redevelopment had begun, most of the runways & some of the hangars still remained intact.
Bill Reidy recalled, “I did quite a bit of flying over Long Island in the 1950s.
Although Roosevelt Field was closed you could still see the outline of the runways.
I always thought of Lindbergh heading for Paris!”
Robert Weiss recalled that "at least one of the Roosevelt Field hangars was a teen nightclub in the mid 1960s -
'Murray the K's World' - a popular NY disc jockey lending his name (and $?) to the place.
I remember going to see Mitch Ryder & the Detroit Wheels there in 1966 or so."
By the time of a 1966 aerial photo, the site of the former airfield had been redeveloped as the Roosevelt Field Mall,
with not a trace of the historic airfield remaining.
According to Peter Maefield's 1972 Wings Club of NYC speech (courtesy of Dave Kanzeg),
“Roosevelt Unit 1 (East) is now Roosevelt Field Industrial Complex & Horse Race Track.
Roosevelt Unit 2 is now Roosevelt Field Shopping Center.
The two are separated by the Meadowbrook State Parkway,
more-or-less on the site of the original ramp between the 2 fields.”

The 1979 USGS topo map depicted numerous buildings covering the west part of the airport site, and Roosevelt Raceway to the east.

As seen in a 2005 aerial photo, not a trace of Roosevelt Field appears to remain.

A 9/18/27 photo by Allan Reddig “of a nugget of melted aluminum my father [James Reddig] dug out of the dirt in the strip of land between Roosevelt Field & the adjacent Curtiss Flying Field.
It is an artifact of the crash & fire resulting when French WWI ace René Fonck unsuccessfully attempted to take off from Roosevelt Field in a modified Sikorsky S-35.
I don’t know when my father dug up the nugget of aluminum.
He worked for Grover Loening in Hanger 17 at Roosevelt Field in the early 1930s, but the ticket stub implies he might have been at the field on any number of occasions during the late 1920s as well.”
The site of Roosevelt Field is located southeast of the intersection of Old Country Road & Clinton Road, less than one mile north of the site of Mitchel AFB.
____________________________________________________
Hazelhurst Aviation Field #2 / Mitchel Field / Mitchel AFB, Garden City, NY
40.725, -73.595 (Southeast of La Guardia Airport)

A 1917 view looking south at a biplane flying from Hazelhurst Aviation Field #2.
During the American Revolutionary War this property was known as the Hempstead Plains & used as an Army enlistment center.
In the War of 1812 & in the Mexican War, it was a training center for infantry units.
During the American Civil War, it was the location of Camp Winfield Scott.
In 1898, in the Spanish–American War, it was known as Camp Black.
This field was established in 1917 as Aviation Field #2 just south of Hazelhurst Field
to serve as an additional training & storage base, part of the massive Air Service Aviation Concentration Center.
Curtiss JN-4 Jennies became a common sight over Long Island in 1917 & 1918.
Hundreds of aviators were trained for war at these training fields, two of the largest in the United States.
Numerous new wooden buildings and tents were erected on Field #2 in 1918 in order to meet this rapid expansion.

A USAAC photo of the “Signal Corps Flying School, Mineola”.

"Aviation Field #2" was depicted as an irregularly-shaped outline on the 1918 USGS topo map, along with nearby "Hazelhurst Aviation Field #1".
Hazelhurst Aviation Field #2 was renamed Mitchel Field in 1918,
after John Mitchel, the youngest elected Mayor of New York City,
who perished in a 1918 crash after joining the Signal Corps Army Air Service.


A circa 1920-23 photo of a rare LWF Model H Owl trimotor mail biplane at Mitchel Field, with its unusual twin-boom configuration.
Lewis Layne was killed in a crash of a Curtis Oriole at Mitchel Field on 6/27/1920 (according to Layne Bumgardner).
On 11/27/20 the Pulitzer Trophy Race was held at Mitchel Field - the race consisted of 4 laps of a 29 mile course.
Thirty-eight pilots entered & took off individually.
The winner was Capt. Corliss Moseley, flying a Verville-Packard VCP-R racer, a cleaned-up version of the Army's VCP-1 pursuit plane, at 157 mph.
In October 1923, Mitchel Field was the scene of the first airplane jumping contest in the nation.
During the same year, two world's airplane speed records were established there.

Mitchel Field, as depicted on the 1923 New York – Bellfonte Air Navigation Map #3 (courtesy of David Brooks),
along with the nearby Roosevelt Field & Hazelhurst Field.
In 1924, the airmail service had its inception in experimental flights begun at Mitchel Field.

A 1924 aerial view looking west at the row of WW1-era hangars at Mitchel Field.
Note the roof of each hangar was painted with 1 letter, together spelling out “Mitchel”.

A 10/12/27 photo of a “Line inspection” in front of a Mitchel Field 61st Service Squadron Engineering Department hangar of a Douglas C-1 biplane transport (courtesy of Ford Lauer).
Bernie Shearon noted, “The lower inscription is 'FAID', which would indicate the plane was assigned to the Fairfield Air Intermediate Depot at Wright Field.”

“Mitchel Field Aviation Grounds U.S Govt.”, as depicted on a 1927 Hyde road map (courtesy of Kevin Hale),
along with the nearby “Aviation Field Curtis Aeroplane & Motor Corp.” to the northwest.

The location & layout of Mitchel Field, as depicted on the 1928 Commerce Department Airway Bulletin (courtesy of David Brooks),

A remarkable 3/10/28 aerial view looking northwest at a snow-covered Mitchel Field (courtesy of Ford Lauer).

A 1929 photo of James Doolittle at Mitchel Field, on the occasion of him becoming the 1st pilot to use only instrument guidance to take off, fly a set course, and land (courtesy of Paul Siwulich).
A 1929 NY Legislative Report (courtesy of Tom Heitzman) described Mitchel Field as a 280 acre rectangular property
having a 4,000' x 3,000' sod landing field.

A 1929 photo of a Curtis Pulitzer Racer at Mitchel Field.
Mitchel Field continued to grow after WW1 & a major new construction program was undertaken from 1929-1932,
to turn the temporary wartime facilities into a permanent Army post,
including the construction of housing, warehouses, operations buildings, and 8 massive steel & concrete hangars.
In September 1929, Lt. James Doolittle made the world's first blind flight.

Mitchel Field, as depicted on the 1930 "Rand McNally Standard Map of NJ With Air Trails" (courtesy of Chris Kennedy),
along with the nearby Roosevelt Field & Hicksville Aviation Country Club Airfield.

A 4/3/30 photo of an inspection of Army biplanes at Mitchel Field. Bernie Shearon noted, “The first 7 from the left appear to be Curtiss Falcon observation planes.”

A 1931 aerial view looking west at Mitchel Field (courtesy of Brett) showed a large number of Army biplanes, and a long row of hangars along the north side of the field.
A plaque was erected in December 1931 “Commemorating the site of Aviation Field #2” by the Daughters of the Revolution.

The earliest Sectional Chart depiction which has been located of Mitchel Field was on the August 1932 NY Sectional Chart.

A circa 1930s aerial view looking southeast at Mitchel Field showed the large number of hangars & other buildings.
The airfield still consisted of an open grass area.

A circa 1931-36 photo of a Keystone B-6A biplane bomber of the 1st Bomb Squadron, 9th Bomb Group, at Mitchel Field.

Mitchel Field, as depicted on the 1934 U.S. Navy Aviation Chart (courtesy of Chris Kennedy).

A circa 1930s aerial view looking east at Mitchel Field (courtesy of George Mihal of the Office of Image Archaeology),
showing several twin-engine biplanes parked in front of the row of checkerboard-roofed hangars.
An aerial view looking west at Mitchel Field from The Airport Directory Company's 1937 Airports Directory (courtesy of Bob Rambo).
It described Mitchel Field as having a rectangular 4,000' x 3,000' grass landing area, plus one 2,700' paved east/west runway.
The aerial photo depicted a line of hangars along the northern edge of the field.

An 8/24/37 photo of Douglas O-46A C/n 1532 36-132 at Mitchel Field.

A 1938 aerial view (courtesy of John Voss) looking north at 2 Army Martin B-10 bombers, which had departed from Mitchel Field on the first nonstop transcontinental bomber flight.
Mitchel Field was visible at bottom-left, and Roosevelt Field was visible in the background at top-left.
Bernie Shearon noted, “The B-10s are assigned to the 9th Bombardment Group (Tail Code BI, B=Bombardment, I=9).
The squadron marking on the nose of the plane on the left looks like the bison of the 99th Bombardment Squadron & the consecutive numbers on the tail indicate both are assigned to the same squadron.”

A 1938 aerial view looking east at Mitchel Field during an American Legion convention.

A May 1938 photo (courtesy of John Voss) of a display of the sole prototype of the Boeing XB-15 bomber at Mitchel Field.
The XB-15 was the largest aircraft constructed in the United States up to that point.
Mitchel Field also served as a base from which the first demonstration of long-range aerial reconnaissance was made.
In May 1939, three B-17s, with Lt. Curtis LeMay navigating, flew 620 miles out to sea & intercepted the Italian ocean liner SS Rex.
This was a striking example of the range, mobility, and accuracy of modern aviation.

A 7/6/39 aerial view depicted Mitchel Field during the construction of 2 large concrete runways.
Note several aircraft parked along the hangars along the north side of the field.

A 7/11/39 aerial view looking north depicted Mitchel Field during the construction of 2 large concrete runways (courtesy of John Voss).
Also note Roosevelt Field in the background at top-left.
On 9/21/39 Mitchel Field was struck by the "Long Island Express" hurricane.
Flooding produced water that was over knee-deep, numerous trees were toppled & the glass was smashed atop the traffic control tower.

A 10/9/39 aerial view showed the pace of construction progress at Mitchel Field,
with a 3rd concrete runway having been added between July-October.

A 9/5/40 aerial view (courtesy of John Voss) showed Mitchel Field to have 3 paved runways, a large number of checkerboard-roofed hangars,
and a dozen aircraft parked outside.

A November 1940 photo of two dozen P-40 fighters on the Mitchel Field flightline.
In 1940 Mitchel Field was the location of the Air Defense Command,
a command charged with the mission of developing the air defense for cities, vital industrial areas, continental bases, and military facilities in the United States.
Later, First Air Force, was given the responsibility for air defense planning & organization along the eastern seaboard.
Under its supervision an aircraft patrol system along the coast for observing shipping was placed into operation.

A 1/10/41 aerial view looking northwest at Mitchel Field, with Roosevelt Field visible in the background.

A 1941 photo of Army North American B-25 Mitchell bombers departing from Mitchel Field on an antisubmarine patrol.

A 12/5/41 1940 photo of a Curtiss P-40B Warhawk fighter being refueled at Mitchel Field.
Bernie Shearon noted, “The plane is assigned to the 8th Pursuit Group (Tail Code 8P P=Pursuit).
By 1941, the Air Corps had run out of letters in the alphabet for coding group numbers & used the group number itself tin its tail markings - for Reconnaissance & Observation units, it used the squadron number.
A number as high as 91 would indicate the plane is probably from the highest numbered squadron in the group (in 1941, the 36th Pursuit Squadron).
The cross in front of the national marking is to show which side the plane was assigned to for an exercise.”
During WW2, Mitchel was the main point of air defense for New York City, equipped with 2 squadrons of P-40 fighters.
Mitchel Field was a major source of supply in initial garrisoning & defense of North Atlantic air bases in Newfoundland, Greenland, and Iceland.
From the airfield the planning for the air defense of Nova Scotia & Newfoundland was conducted.
Antisubmarine patrol missions along the Atlantic coast were carried out in 1942 by the United States Army Air Forces Antisubmarine Command aircraft based at Mitchel.
Under the direction of the First Air Force, Mitchel Field became a command & control base for both I Fighter & I Bomber Command.
Tactical fighter groups and squadrons were formed at Mitchel to be trained at AAF Training Command bases
(mostly in the east & southeast) before being deployed to the various overseas wartime theaters.
Additionally, thousands of Army Air Force personnel were processed through the base for overseas combat duty.


A photo (courtesy of Joe Skaptason), captioned “Simple cut-out aircraft decoys being tested at Mitchel Field, NY, 2/23/43.
These decoys cast a partially credible shadow, but they were obviously flat & unreal.”
Joe Skaptason recalled, “During the war the Army camouflaged many facilities & built fake sites that were close to the originals but could be confused from the air.
Mitchell Field had its fake twin to the southeast of the real base.
I am positive that this is the EXACT spot where we played!
It had changed some by the late 1940s but the P-40 decoys where still identifiable.
The large decoy & shadow in the center were gone as were most of the structures but I remember the rest.”
I question if there was an actual decoy airport as I didn't see it but just recall local adults telling me about the decoys to lead the German bombers away from Mitchell.
During 1943, Mitchel Field became a staging area for Consolidated B-24 Liberator bombers & their crews before being sent overseas.

A circa 1940s colorized photo of twin-engine military trainers on the Mitchel Field ramp.

An April or May 1943 photo by Robert Richie of a tail gunner in a Boeing B-17 Flying Fortress bomber at Mitchel Field
The 1944 US Army/Navy Directory of Airfields (courtesy of Ken Mercer)
described "Mitchel, Army" as having a 5,400' hard-surfaced runway.

A Flight Simulator scenery re-creation by Richard Finley looking northwest at Mitchel Field, with Roosevelt Field at the top-left.
Richard noted, “It is amazing those airports could coexist in such close proximity.
When I went on a house hunting trip with my wife for my job at New York Tracon, we stayed at a hotel built on the old Mitchell Field site.
We arrived at night. I got up the next morning & looked out the window of our room and said, 'My God! Those are hangar buildings over there.'
I had no idea we were staying on a historical airport site where Jimmy Doolittle had flown the first instrument approach
and where the first airplane to make air-to-ground radio contact departed.”
A 1945 aerial view looking west at Mitchel Field (courtesy of John Voss).

The 1945 AAF Airfield Directory (courtesy of Scott Murdock) described Mitchel Field
as a 1,420 acre square property within which were 4 concrete runways, with the longest being the 5,400' northwest/southeast strip.
The field was said to have a total of 11 hangars, with the largest being eight 200' x 110' brick & metal structures.
With the end of World War II, returning GIs were processed for separation at Mitchel.

A circa 1945-50s photo of a Lockheed P-80 Shooting Star jet fighter at Mitchel Field.

A 1946 USAAF KS-NY Pilot's Handbook (courtesy of Chris Kennedy)
depicted Mitchel Field as having 4 paved runways, with the longest being the 5,152' Runway 12/30.
In March 1946, the headquarters of Air Defense Command was established at Mitchel Field.
Joe Skaptason recalled of Mitchel Field's decoy to the southeast,
“Following the war (circa 1946/1947) the fake field was enclosed by barbed wire with many no trespassing federal property signs.
The field had dugouts, fake building & wood & canvass P-40s.
That was a FUN place to play & in spite of rumors & warnings we never saw any MPs.
I think it was in Uniondale to the southeast of Front Street & Meadowbrook State Parkway.”
Joe continued, “I do remember (in what was our play area) the wood & canvas structures were in really poor shape.
There was one fascinating area that was underground. There were 2 wood stairways leading down to an octagonal-shaped room.
The room had benches on 6 walls (3 each on either side of the stair openings). In the middle of the room was a bench that one could stand on.
It was directly under an astrodome - a full Plexiglas navigators canopy. We speculated on its use.
Air raid shelter, guard house lookout, navigational training for star sights. etc? Never did find out.”
Paul Hawthorne recalled, “I lived across the street on the Hofstra College campus from 1946-53.
Lots of C-119s a minute or two apart in the evening,
and F-84s often doing extended runup at the end of Runway 5 in the day.
I figured out years later these were probably just-delivered aircraft & the ferry pilots were making sure the bird was ready.
Runway 18/36 was closed before I got there, courtesy of the wartime crash into the college.
I remember several crashes including a C-119 that just cleared Hempstead Turnpike
and crashed into & burned at Havendale Real Estate one evening, right off the end of Runway 23.
A prop blade fell through the roof of one of the temporary faculty housing units (barracks) & landed on a bed.”
Mitchel served as the headquarters of the Continental Air Command starting in 1947.

Mitchel Field, as depicted on the 1947 USGS topo map.

Mitchel Field, as depicted on the 1:24,000 1947 USGS topo map.
With the establishment of the United States Air Force as a separate service in 1947, Mitchel Field was redesignated as Mitchel Air Force Base.

An undated aerial view from the 1948 “This Is Mitchel AFB” (courtesy of Ron Plante)
depicted a large number of transport aircraft on the north side of the field.

A 9/1/48 USGS aerial view showed the proximity of Mitchel Field to Roosevelt Field to the north.

A diagram from the 1948 “This Is Mitchel AFB” (courtesy of Ron Plante) described the buildings along the flight line.

An undated photo from the 1948 “This Is Mitchel AFB” (courtesy of Ron Plante) of the Base Operations Building.

An October 1948 photo of Northrop P-61B Black Widow night fighters of the 2nd Fighter Squadron (All Weather) on the Mitchel ramp.
By 1949, Mitchel was relieved of the responsibility for defending New York City because
of the many problems associated with operating tactical aircraft in an urban area.
From 1949-61, the Air Force Reserve's 514th Troop Carrier Wing was the main operational flying organization at Mitchel AFB,
flying Curtiss C-46 Commandos.
In 1949, the reserve mission was assigned to First Air Force, which was also headquartered at Mitchel AFB.
First Air Force became the command & control organization for supervising the training of the Air Reserve in 15 eastern states & the District of Columbia.

The July 1950 NY Sectional Chart depicted Mitchel AFB as having a 5,700' paved runway.

A 1950 photo of exotic North American F-82 Twin Mustang night fighters at Mitchel Field.
Joe Skaptason recalled, “I grew up in Hempstead & attended California Avenue grade school until spring of 1951 when I went on to Hempstead High.
I was there until we moved in the summer of 1953. The grade school is still there & at the time it bordered the south side of some athletic fields of Hofstra.
There were many fewer building at that time. We had a much better view to the north toward Mitchell.
I was an airplane nut & spent many hours watching the flights in & out of Mitchel Field.
In the 1949 incident I was on the school baseball field at the grade school in the outfield when I heard a funny sounding engine noise.
This was followed by a crash (we more felt it than heard it).
I looked up (looking to the northwest) to see what turned out to be one of the props of the F-82 slowly rotating upward before it arched over and descended towards us.
We later found out from our Scoutmaster who was a volunteer fireman in Hempstead that the Twin Mustang lost an engine at about liftoff,
went through the fence & into a newly completed but as of yet unoccupied real estate office.
One of the pilots was able to clear his canopy & cross over to the other fuselage & manually release the canopy of the other pilot.
He got him out with minor burns. This made a big impression on me & to this day I can still picture the prop in its rise & fall.”
Joe continued, “We lived at the corner of Lincoln Road and Leverich in Hempstead.
This is just to the right of the centerline of Runway 5 & about 1,200 yards from the threshold.
One day under condition of very low minimums a B-25 broke out of the clouds,
grazed the chimney of the house across the street & crashed into an empty lot about three blocks over.
I think it was Beverly street. The B-25 was totally demolished but there was relatively little damage to the house that surrounded the crash site.
It was surmised that at the last instant the pilot put the bird into the tiny space.”
Mitchel Field was the terminus for the last speed record set on Long Island,
a transcontinental speed record of 4 hours, 8 minutes set by Col. W. Millikan in an F-86 Sabre on 1/2/54.
Mitchel Field's 514th Troop Carrier Wing replaced its Curtiss C-46 Commandos in 1954 with Fairchild C-119 Flying Boxcars.

A 1954 photo by William Ebert (used by permission of Colin Ebert)
of a massive Convair B-36 bomber at Mitchel Field's Armed Forces Day airshow.

A 1954 photo by William Ebert (used by permission of Colin Ebert)
of a Lockheed F-94 Starfire interceptor at Mitchel Field's Armed Forces Day airshow.

A photo of a Vought F7U Cutlass at Mitchel Field's 1954 Armed Forces Day airshow,
from the program of the 5/22/55 Mitchel Armed Forces Day airshow (courtesy of John Stanford via Lisa Stanford).
The 1955 USGS topo map (courtesy of John Voss) depicted Mitchel's airfield at its ultimate configuration,
with 4 paved runways (the longest was the 6,700' Runway 5/23) & a large number of taxiways & ramps.

A 5/21/55 photo of CA Air National Guard North American F-86A Sabre 49-1046 C/n 161-40 at Mitchel Field.
CA ANG Lt Jack Conroy flew from Van Nuys, CA, to Mitchel Field & back in 11 hours 26 minutes total elapsed time, making 2 refuelling stops eastbound & 3 westbound.

A 1957 USAF map (courtesy of Joe McCusker) depicted Mitchel Field as having 4 paved runways, numerous hangars, taxiways, ramps, and dispersal pads.

A circa 1950s-60s aerial view looking southeast at Mitchel Field, with only 2 aircraft visible on the extensive ramp.

An aerial view looking north at the static display of numerous military aircraft on Mitchel's ramp
during the base's 1959 Armed Forces Day open house.

A 1960 photo of C-119 Flying Boxcars from the 514th Troop Carrier Wing
being readied for takeoff from Mitchel AFB during Operation Bright Star / Pine Cone III.

The last aeronautical chart depiction which has been located showing Mitchel AFB in operation was on the 1961 NY Local Aeronautical Chart (courtesy of Mike Keefe).
It depicted Mitchel AFB as having 4 paved runways, with the longest being 6,700'.
After several notable crashes (including a P-47 into Hofstra University’s Barnard Hall), public pressure ultimately led to the field’s closure.
The last active unit to be based at Mitchel was the 514th Troop Carrier Wing flying Fairchild C-119 Flying Boxcars.
The 4 runways of Mitchel AFB were still depicted on the January 1961 NY Sectional Chart, but the field was labeled "Closed".
Mitchel's control tower was vacated on 4/15/61, after 43 years of flight operations at this historic airfield.
The property was eventually turned over to Nassau County.

An undated photo of Mitchel's control tower, shortly after it was vacated in 1961.

A 3/8/66 showed the massive airfield to remain largely intact,
although construction was underway on 2 towers on the southwest corner of the runways.

A 6/3/66 aerial view of Hofstra University construction with the Mitchel Field runways & hangars in the background (National Archives photo, courtesy of Ron Plante).

The 1968 NY Local Aeronautical Chart (courtesy of Tim Zukas) still depicted the 4 paved runways of Mitchel AFB,
but indicated that the field was closed.

A circa 1968 aerial view looking west at Mitchel Field.

A still from the 1972 movie 'The Godfather', for which a vintage tollbooth was constructed on Mitchel Field's abandoned Runway 5/23.
Mike L. recalled, “The northeast portion of Runway 5/23, the extended section with the added access road that's now on the campus of Nassau Community College,
was the filming location for the infamous tollbooth scene in the [1972] movie 'The Godfather'.
In the scene, the cars drove up the runway & made that left turn onto the access road, which is where the tollbooth set was built... just right around the bend.
In the film, there were white, curving tollbooth lane lines painted on the tarmac surface; these lane lines were actually still visible there until recently [2012],
when construction was done in the area (or might have been removed for the Goodwill Games).
Also, in the background of the scene in the film, you can see the radio tower that is on the campus of Bishop Kellenberg High School.
I attended Hofstra University in the early 1990s.
I lived in a dorm situated on the old tarmac at the south end of Runway 18/36.
At the time, much of the old tarmac surface was still intact & easily recognizable.”

An undated photo of a hangar at Mitchel, which no longer stands.

View of the remaining portion of Runway 23 in 1998.

The remaining hangar line at Mitchel Field, as it existed in 1998.
The Nassau Community College now covers most of the Mitchel AFB site, with portions of 2 runways still remaining.
A new museum has been established on the grounds of Mitchel AFB, the Cradle of Aviation Museum.
A 2003 aerial view by Stephen Cohen looking southwest along the remains of the runway at Mitchel Field.

A circa 2001-2005 aerial view looking west at the remaining line of former hangars from Mitchel Field.

A circa 2001-2005 aerial view looking east at the remaining line of former hangars from Mitchel Field,
with several aircraft from the collection of the Cradle of Aviation Museum visible in the center.

A 2005 photo by Tom Lenihan of Mitchel Field's Hangar 3, after its recent renovation.
It serves as the Cradle of Aviation Museum's “Donald Everett Axinn Air & Space Museum Hall”.
Mike L. reported in 2012 of the runway segment used for filming a scene from 'The Godfather':
“I was at the location recently; they are doing a lot of parking lot work & other construction there now.
It seems as if that remaining section of the runway might be obliterated soon, unfortunately.”

A 2013 photo by Steve Rocketto of the sign commemorating Mitchel Field, with Hangar 3 in the background.

A 3/1/14 photo by Richard Flagg of Mitchel Field's Hangar 2, reused as the Nassau County Firefighters Museum.

An 8/12/14 photo of a Mitchel Field hangar which awaits restoration.

A 3/26/17 photo by Ron Plante of a Grumman OV-1D Mohawk (built right down the road in Bethpage) in front of Mitchel Field Hangar 3 at the Cradle of Aviation Museum.

A 3/26/17 photo by Ron Plante of a Grumman E-2C Hawkeye (built right down the road in Bethpage) at Mitchel Field's Cradle of Aviation Museum.

A 3/26/17 photo by Ron Plante of a plaque erected in December 1931 “Commemorating the site of Aviation Field #2” by the Daughters of the Revolution.

A 2018 photo of the plaque situated that year that commemorated Mitchel Field's addition to the National Register of Historic Places.

A 2023 aerial view looking northwest at the Mitchel Field site showed the last remaining portions of Runway 5/23 were visible in the NE & SW corners.
See also:
http://pirs.mvr.usace.army.mil/fuds/C02NY064503/21.pdf
http://www.hnd.usace.army.mil/OEW/factshts/factshts/mitchel.pdf
________________________________________________
Advance Sunrise Airport / Curtiss Airport / Columbia Aircraft Company Airfield, Valley Stream, NY
40.66, -73.724 (East of JFK Airport, NY)

A 1929 aerial view looking northeast at Curtiss Airport in Valley Stream (courtesy of Amy Bentley).
The history of this obscure little airport is somewhat convoluted, and involves 2 obscure aircraft manufacturers which made their home at Valley Stream.
According to Amy Bentley, Advance Sunrise Airport was opened in 1928 on leased land of the Reisert farm.
The airport was operated by Advance Aircraft Corporation, of which Francis Rogers was the president of the company.
In 1929, Curtiss-Wright purchased the Advance Sunrise Airport property.
Several millions of dollars were invested before the Curtiss Airport became operational.
Hundreds of planes used the facility daily, along with famous aviators like Charles Lindbergh & Wiley Post.
The earliest photo which has been located of Curtiss Airport in Valley Stream was a 1929 aerial view looking northeast (courtesy of Amy Bentley).
It depicted Curtiss Airport as having 2 asphalt runways in a triangular layout in the middle of a large grass field, with a row of 6 substantial hangars along the west side,
and a 7th hangar on the northeast side.

The earliest aeronautical chart depiction which has been located of the Valley Stream Curtiss Airport
was on the 1929 Washington-NYC Air Navigation Map #3.
The Ninety-Nines, an international organization of licensed women pilots,
was established on 11/2/29, when 26 licensed women pilots met at Curtiss Airport in Valley Stream.
The group was named for the 99 charter members.
According to Chrystopher Spicer, one of their charter members was Jessie "Chubbie" Miller, who had been the first woman to travel by air from England to Australia.
“Her main airfield in the U.S. was the old Curtiss Field at Valley Stream.”
Curtiss Airport was the largest commercial airport on Long Island for 3 years starting in 1930.

A circa 1930 aerial view looking northeast depicted Curtiss Airport as having 2 asphalt runways in a triangular layout in the middle of a large grass field.
A row of 6 substantial hangars lined the west side of the field, and a 7th hangar was located on the northeast side.

A circa 1930s aerial view looking east at Curtiss Wright Airport (courtesy of Lowell Scott), possibly taken during the same event as the preceding photo,
showings a mass gathering of biplanes on the northeast side of the field, with the Curtiss hangar visible on the left.

A circa 1930s aerial view looking south at the northeast side of Curtiss Wright Airport (courtesy of Lowell Scott),
showings a large number of aircraft, and the Curtiss hangar at bottom-right.

Curtiss Airport in Valley Stream, as depicted on the 1930 "Rand McNally Standard Map of NJ With Air Trails" (courtesy of Chris Kennedy).

The 1930 Geographia Map of Queens depicted “Curtiss Field” as an irregularly-shaped property outline.
The Valley Stream Airport was also the location of Naval Reserve Aviation Base Valley Stream
(according to the 12/50 issue of the Naval Aviation News (courtesy of John Voss).
As of 1930, the naval aircraft assigned to NRAB Valley Stream were 6 Consolidated NY-2s, 1 Vought O2U-2, and 3 Curtiss Fledgings.
Training was given to 3 squadrons, and during the summer elimination flight training was provided to 35 student flight officers.

A 5/7/30 photo (courtesy of Mark Hess) depicted a large number of biplane amphibians & landplanes at Curtiss Airport.
The photo was captioned: “Planes at Curtiss Airport, lined up for their descent upon Manhattan.
Curtiss Airport, Valley Stream: Some of the 152 fighting, scouting, bombing, and torpedo planes which participated in the sensational aerial salute to Manhattan today.
The planes are drawn up at the Curtiss Airport, Valley Stream, in readiness to take off.
From noon until nearly 1PM the shiny-winged birds swooped & soared over the city while excited citizens dropped their work to witness the thrilling spectacle.”

A circa 1930 photo of 4 planes in front of a Curtiss Wright Flying Service hangar, apparently on the northeast side of Curtiss Airport Valley Stream.

A 7/13/30 photo of Frank Hawks arriving at Valley Stream in his Travelaire after setting a new transcontinental speed record.
At some point after 1930 Valley Stream's Naval Aviation activities was transferred to Floyd Bennett Field.

The sole prototype of the bizarre Curtiss-Bleeker helicopter, seen in 1930 at the Curtiss airfield in Valley Stream.
According to the Cradle of Aviation Museum, In 1931, Leroy Grumman's fledgling aircraft company was outgrowing its tiny shop in Baldwin,
and “a vacant Naval Reserve hangar was discovered adjacent to Curtiss Field in Valley Stream.
Compared to the Baldwin shop, the hangar was quite satisfactory, and the rent was very reasonable.
Alongside the hangar was a small building that would house the engineering department & the corporate offices.
In late 1931 Grumman's prototype XFF-1 Navy fighter was moved by truck to Grumman's new facility at Curtiss Field in Valley Stream.”
Grumman’s move to the new accommodations was made on 11/4/31.
It took 3 days to truck everything over & set up shop.
When the incomplete XFF-1 arrived at the hangar, work resumed at the former hectic pace.
A few weeks later, the expected contract for the Model B floats arrived, an early Christmas gift from the Navy.
Things were rapidly winding up to a climax. With each passing day, the XFF-1 was closer to being ready for its first flight.
Tension & excitement mingled as the last work was completed on the new fighter.
It was time to see if the efforts of the past nine months would be rewarded.

A 1931 photo of the prototype XFF-1 fighter outside Grumman's new Curtiss Field facility.
According to the Cradle of Aviation Museum, “In the freezing cold morning air of 12/29/31, the XFF-1 was rolled out of the hangar into the morning sun.
Carefully, the fighter was subjected to an intensive pre-flight inspection.
Once everything had been checked, re-checked and then triple-checked, it was deemed ready to fly.
Test pilot Bill McAvoy climbed aboard. With the engine started, McAvoy went through his checklist & taxied to the end of the grass field.
After a magneto check, McAvoy eased the throttle forward & the new plane surged down the field & eased off the ground.
Cranking the landing gear wheel, McAvoy pulled up the wheels.
This first flight was supposed to last more than 2 hours, but within 30 minutes, the XFF-1 was back.
Since there was no radio, no one understood why the flight had been aborted. McAvoy landed & taxied over the hangar.
At first glance it was obvious that something was very wrong. Streaked in oil, the fighter braked to a stop in front of the open hangar door.
As soon as the engine was shut down, Grumman mechanics swarmed all over the little biplane.
In a matter of 2 minutes, the problem had been discovered. The filler cap on the oil tank had not been properly secured.
Under pressure, oil was blown out and it covered the fuselage & the cockpit glass.
After cleaning the oil from the plane & topping off the oil tank, the cap was fastened securely & McAvoy took off again to finish the test flight.
After being successfully tested by Grumman, the XFF-1 was turned over to the Navy for acceptance testing.”
According to the Cradle of Aviation Museum, “While the Navy continued testing of the XFF-1,
Grumman was busy constructing the XSF-1, which would fly in August, 1931.
Shortly thereafter, the Navy awarded Grumman with a contract to build the XJF-1 Amphibian prototype.
By the end of the year, the Navy accepted the XFF-1 & issued a contract for 27 FF-1 fighters.
With contracts in hand totaling nearly $750,000, Grumman was in the aircraft business for the foreseeable future.
Ultimately, 34 SF-1 Scout fighters would also be ordered.
Soon, work would begin on the XJF-1 & once again, Grumman would outgrow its facility, relocating to Farmingdale.”

Curtiss Field in Valley Stream, as depicted on the August 1932 NY Sectional Chart.
In 1933, only 3 years after the Curtiss Airport had opened in Valley Stream,
the worsening conditions of the Depression reportedly led to the airport's closure.

A 1935 aerial view looking northeast at Curtiss Field in Valley Stream, showing the row of 6 hangars along the west side of 2 paved runways.

A November 1940 aerial view looking northeast at Curtiss Field in Valley Stream (courtesy of Jim Freyler).
The airfield consisted of 3 asphalt runways in a triangular layout in the middle of a large grass field.
A row of 6 substantial hangars lined the west side of the field, and the Curtiss hangar remained on the northeast side of the field.
Jim noted, “There were still 5 aircraft parked there in the photo although the field had been 'closed' for many years.”

A circa 1940 aerial view looking south along the row of 6 hangars at Valley Stream (courtesy of Richard Porcelli).
According to Amy Bentley, in 1941 the Columbia Aircraft Company moved from Hempstead to Valley Stream.
John Hehir recalled, “I grew up in Green Acres in the early 1940s.
I remember going with my mother to pick berries which grew between the runways.
We had to watch out for planes, mostly biplanes, which taxied on the runways. My mother was a Red Cross volunteer & did some volunteer work there.”
A J2F-6 Duck, built by Columbia Aircraft in Valley Stream, NY.
During WW2, the Grumman Aircraft Company (in nearby Bethpage) developed the J2F Duck floatplane.
However, under pressure of growing demand for its more urgently needed fighters & dive-bombers,
Grumman had to farm out the Duck & other projects.
After the last J2F-5 Duck rolled off the Grumman assembly line,
production of the Duck was shifted to the Columbia Aircraft Corporation,
which built the J2F-6 at their Valley Stream, Long Island factory starting in early 1942.
The J2F-6 was identical to the -5 except for the more powerful Wright 1820 Cyclone engine (with 1,050 hp).
Lee Englund recalled, "As a kid I lived in Valley Stream in the 1940s. It was great fun to watch the Grumman Ducks flying around."
The Columbia Aircraft Company airfield was not depicted at all on the 1943 NY Sectional Chart (according to Chris Kennedy).
According to John Voss, the Columbia airfield was listed in the 1944 Directory of Airfields, with a 2,900' runway.
A total of 330 J2F-6 Ducks were produced in Valley Stream for the Navy & Coast Guard by the time production ceased in 1945.
The 1945 NY Sectional Chart (courtesy of Robert Brown) depicted Columbia as an auxiliary airfield.

The 1945 AAF Airfield Directory (courtesy of Scott Murdock) described Columbia Airport
as a 218 acre irregularly-shaped property within which were 2 macadam runways, measuring 2,880' NNE/SSW & 2,850' NNW/SSE.
The field was said to have a total of 8 cinder block & wood hangars, with the largest measuring 266' x 123'.
Columbia Airport was described as being owned by the Defense Plant Corporation & operated by private interests.
An undated photo of the ungainly Columbia XJL-1 amphibian.
An even more obscure product of this relationship was the XJL-1.
During the early WW2 years Grumman commenced a project to marry the best features of the Duck
with a more modern monoplane configuration, an all-metal structure, and fully retractable tricycle landing gear.
This resulted in the XJL-1, which was also farmed out to Columbia Aircraft Company.
Columbia built 3 prototypes of the XJL-1.
One prototype was tested structurally to destruction, while the first to fly took to the air in late 1946.
The specific outcome of the XJL project is unknown, but it evidently was canceled as part of the post-WW2 military cutbacks.

The August 1946 NY Terminal Aeronautical Chart (courtesy of Tim Zukas) depicted Columbia as an auxiliary airfield.
Columbia Aircraft Company was acquired by Commonwealth Aircraft in 1946.
Commonwealth transferred production of their Skyranger (a light single engine general aviation aircraft)
from Kansas City's Fairfax Airport to the former Columbia Aircraft factory in Valley Stream.
Commonwealth went on to manufacture 276 of their Skyrangers before production ceased after less than one year, in late 1946.
According to Sam Berliner, “Circa 1946-50, along with Bulova, one or more of the hangars at Rogers-cum-Curtiss-cum-Columbia-cum-Green Acres in Valley Stream
was home to my classmate's father's & uncle's Studley Paper Company.
They made Kraft paper set-up boxes, vacuum cleaner bags, and such.”
Commonwealth Aircraft went bankrupt in 1947, as the anticipated post-war boom in civil aviation never occurred.

Columbia Airport, as depicted on a 1947 USGS map.

The 1:24,000 1947 USGS map depicted Curtiss Wright Airport as having 3 paved runways, with the row of 6 hangars on the southwest side,
and the former Curtiss hangar still depicted on the northeast side.

The last aeronautical chart depiction which has been located of the Columbia Aircraft Airfield was on the July 1947 NY Sectional Chart.
It depicted Columbia as an auxiliary airfield.
It is not known if the Columbia Airfield was ever used again after the bankruptcy of Commonwealth Aircraft in 1947.
It was apparently abandoned at some point in 1947-48,
as it was no longer depicted on the January 1948 NY Sectional Chart.
Al Kaufmann recalled, “As teenagers in Valley Stream Central High in the late 1940s we used the runways to play with our jalopies.”

The last photo which has been located of Columbia Airport was a remarkable 1951 aerial view,
showing most of the runways still remaining intact, but new construction starting to cover the southeast side of the field.
It also appears as if the western runway had been extended at some point late in the airfield's life (at some point between 1947-51),
as it extends farther to the southwest than was indicated on the 1947 topo map.
The Curtiss hangar on the northeast side of the field had apparently been removed at some point between 1947-51.
John Hehir recalled, “Upon returning to Green Acres in 1951, we had friends whose houses looked out onto the field.
We used to use the runways to race model cars. There was no mall then so it was open fields.”
Ed Mentz recalled, “I remember the runways in the early 1950s, someone had 'closed' them by digging a trench across them.
We flew model planes there then & there was a circular concrete pad used by model race cars... a good place to learn to drive at the time.”
In 1956 the Green Acres Mall (one of Long Island's first malls) opened on the north side of the former airport property.
However, the former hangars were spared, and remained standing for another 3 decades.
Greg Dito reported, “I was employed by the defense firm Bulova Technologies
that used the 2 hangars since razed to build the Home Depot.
Bulova’s expertise in watches & general timing devices migrated to weapons fuzing & safe/arm devices starting the 1950s.
At some point (late 1950s / early 1960s?) Bulova moved its growing defense business
from the watch company site in Jackson Heights, Queens to the Valley Stream location.
A single-story structure was built between the 2 hangars, joining them & serving as the company’s full-service cafeteria.
Other added structures included an adjoining shipping warehouse
and a below-ground bunker for storage of the small detonators used in the devices.”
Ed Mentz recalled, “I worked in the hangars at Curtis Field in the early 1960s.
The company was GB Electronics, the electronics arm of General Bronze.
They made antennas including large acquisition antennas & supplied waveguides for the DEW line.
We had antenna test ranges on the roof. I recall 3 or 4 hangars in use at the time.”
A 1966 aerial photo showed that the hangars remained standing, but the airfield area had been covered with dense housing.
The 1969 USGS topo map still depicted the former hangars of the Columbia Aircraft Company on the west side of the property,
but the airfield area in the center had been covered by residential streets.
Greg Dito recalled, “I joined Bulova in 1980 until its closing in May 1991 when it relocated to Lancaster PA
after purchasing Hamilton Technologies from Olin Corp.
Olin purchased Hamilton’s parent company for its large-caliber munitions business & had no interest in fuzing.
There were just under 1,000 employees during Bulova’s peak in the 1980s.
Bulova designed & manufactured fuzing devices for Sidewinder, Maverick and Sparrow missiles,
artillery and mortar fuzes, ICBM security key locks, and M1A1 Abrams HEAT ammunition, to name a few.
I believe Bulova was one of the largest defense firms on Long Island after the big aircraft companies.”
Greg continued, “Layoffs began in 1989 although several employees including myself were there until the very last day in 1991.
I took a number of photos of the buildings, looking pretty much overgrown & abandoned by May 1991.
The parking lot used the original concrete tarmac & it was very easy to see how the hangars were arranged,
their original facades with a bas relief of a single prop plane making its way through the clouds.
Even though the large hangar door openings were long ago ‘bricked over’
one could still see how immense & cavernous the hangars were.”
Lee Englund recalled in 2003, "I had occasion to visit Valley Stream about 8 years ago & found Curtiss airport,
its great hangars still standing with the airplane emblem at the peak of each end.
At that time some company was using the hangars as a manufacturing facility."
In 1993, two hangars, formerly the home of Columbia Aircraft, were demolished to make way for a Home Depot which presently occupies the site.
Two hangar emblems were located at each hangar.
Gabriel Parrish, a volunteer at the Restoration & the Cradle of Aviation in Mitchel Field,
was instrumental in salvaging the last remaining emblem
and arranging it to be moved to the grounds of the Valley Stream Historical Society.

A circa 2006 aerial photo showed that 4 of the 1930-era hangars of the Columbia Aircraft Company
still remained standing on the west side of the property.

A circa 2006 aerial photo looking north at 2 of the former hangars of the Columbia Aircraft Company.

A circa 2006 aerial photo looking south at the 4 former hangars of the Columbia Aircraft Company.

A 2022 3-D image looking northwest at the 4 former hangars of the Columbia Aircraft Company.
As of 2022, street maps give a clue as to the property's past, as it is labeled Airport Industrial Office Park.
The site of the Columbia Aircraft Company is located southwest of the present-day Valley Acres Mall, on the south side of Green Acres Road.
____________________________________________________
Or if you prefer to contact me directly concerning a contribution (for a mailing address to send a check),
please contact me at: paulandterryfreeman@gmail.com
If you enjoy this web site, please support it with a financial contribution.
____________________________________________________
This site covers airfields in all 50 states.