Abandoned & Little-Known Airfields:
Eastern Colorado
© 2002, © 2025 by Paul Freeman. Revised 11/18/25.
This site covers airfields in all 50 states: Click here for the site's main menu.
For an 8th year, the CO pages of this website are sponsored by the Colorado Pilots Association:
____________________________________________________
Please consider a financial contribution to support the continued growth & operation of this site.
Alexander Dawson School Airfield (revised 11/26/18) - Arlington Aux AAF #4 (revised 5/9/20) - Burlington Municipal (revised 3/27/20)
Las Animas Aux AAF #2 (revised 6/2/20) - Loveland Municipal Airport (revised 10/31/21) - Ordway Airport (revised 5/2/24)
Rocky Ford Aux AAF #1 (revised 3/27/20) - San Luis Airport (added 11/18/25) - Valley Airpark / Fort Collins Airpark / Fort Collins Downtown Airport (revised 10/31/21)
____________________________________________________
San Luis Airport (03V), San Luis, CO
37.192, -105.463 (South of Denver, CO)

San Luis Airport, as depicted on the March 1965 Trinidad Sectional Chart.
Photo of the airport while in use has not been located.
The date of establishment of this rural general aviation airport has not been determined.
The earliest depiction which has been located of San Luis Airport was a 1955 aerial photo.
It depicted a single unpaved east/west runway, with an unpaved ramp on the northeast side.
San Luis Airport was not yet depicted on the November 1960 Trinidad Sectional Chart.
The earliest aeronautical chart depiction which has been located of San Luis Airport was on the March 1965 Trinidad Sectional Chart.
It depicted San Luis Airport as having a 4,000' unpaved runway.

The earliest topo map depiction which has been located of San Luis Airport was on the 1879 USGS topo map.
It depicted “San Luis Landing Strip” as having an unpaved east/west runway.
According to Theo Barker, San Luis Airport was “Active 1981-87. I flew in & out of it several times in 1983-85, while working for my father & uncle on the farm about 6 miles southwest.”

The 1988 USGS topo map San Luis Airport as having an east/west runway.

The last aeronautical chart depiction which has been located of San Luis Airport was on the 1992 Denver Sectional Chart.
It depicted San Luis Airport as having a 4,300' unpaved runway.

The earliest photo which is available of San Luis Airport was a 1999 aerial view looking northwest.
It depicted the runway as remaining intact, but without any sign of recent aviation use.
San Luis Airport was evidently closed (for reasons unknown) at some point between 1992-2004,
as it was no longer depicted on the 2004 Denver Sectional Chart (courtesy of Jonathan Westerling).

A 2023 aerial view looking northwest showed the former San Luis Airport runway as remaining intact, but without any sign of recent aviation use.
Thanks to Theo Barker for pointing out this airfield.
____________________________________________________
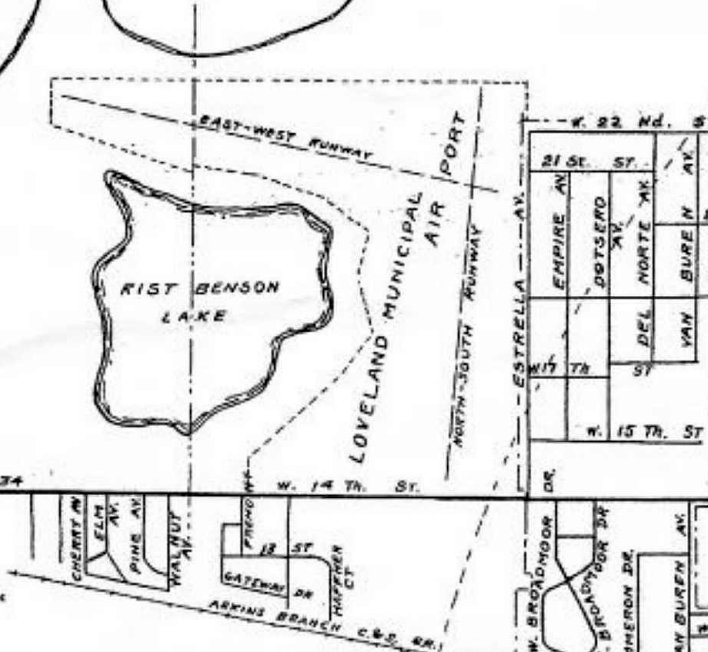
Loveland Municipal Airport, Loveland, CO
40.411, -105.112 (North of Denver, CO)

Loveland Municipal Airport, as depicted on the April 1949 Cheyenne Sectional Chart.
Photo of the airport is not available.
Loveland Municipal Airport was located to the northwest of the town.
It was evidently established at some point between 1948-49,
as it was not yet depicted on the 1948 Cheyenne Sectional Chart.
The earliest depiction which has been located of Loveland Municipal Airport was a 1948 aerial photo.
It depicted Loveland Municipal Airport as having 2 unpaved runways, tucked around the adjacent Rist Benson Lake,
with a few small buildings on the southwest side, and possibly 2 light aircraft.
The earliest aeronautical chart depiction which has been located of Loveland Municipal Airport was on the April 1949 Cheyenne Sectional Chart.
It depicted Loveland Airport as having a 3,000' unpaved runway.
The last depiction which has been located showing aircraft at Loveland Municipal Airport was a 1956 aerial photo.
It depicted 2 light aircraft parked near the hangars.

The 1960 USGS topo map depicted Loveland Municipal Airport as having 2 unpaved runways, tucked around the adjacent Rist Benson Lake,
with a few small buildings on the southwest side.
According to an article (courtesy of David Ulane), in 1960 Lovelanders voted to join Fort Collins establishing a joint airport for both general aviation & commuter airline service,
which would eventually replace Loveland Municipal Airport.

A 1962 Chamber of Commerce map depicted Loveland Municipal Airport as having 2 unpaved runways, tucked around the adjacent Rist Benson Lake.

The last depiction which has been located of Loveland Municipal Airport was on the June 1965 Cheyenne Sectional Chart.
It depicted Loveland Airport as having a 2,800' unpaved runway.
According to an article (courtesy of David Ulane), Loveland Municipal Airport closed when the replacement Northern Colorado Regional Airport was opened.
Loveland Municipal Airport evidently closed at some point between 1965-66,
as it was no longer depicted on the 1966 Cheyenne Sectional Chart.
A 1969 aerial photo showed the area of the former Loveland Municipal Airport runways remained clear but they were less distinct.
One small hangar remained standing; the others having been removed at some point between 1956-69.
A 1983 aerial photo showed North Wilson Avenue had been built over the site of Loveland Municipal Airport's north/south runway at some point between 1969-83.

A 2021 aerial view looking north showed no trace remaining of Loveland Municipal Airport.
Thanks to David Ulane for pointing out this airfield.
____________________________________________________
38.209, -103.761 (Southeast of Denver, CO)

Ordway Airport, as depicted on the February 1939 Denver Sectional Chart.
Photo of the airport while in use is not available.
Ordway Airport was evidently established at some point between 1936-39,
as it was not yet depicted on the March 1936 Denver Sectional Chart.
The earliest depiction which has been located of Ordway Airport was on the February 1939 Denver Sectional Chart, which depicted Ordway as an auxiliary airfield.
The earliest photo which has been located of Ordway Airport was a 1947 aerial view.
It depicted Ordway Airport as having 3 unpaved runways & 1 small T-hangar on the north side.

The 1949 Denver Sectional Chart (courtesy of Chris Kennedy) depicted 2 different "Ordway" Airports, which must have led to some confusion.
The Ordway Airport adjacent to the south side of the town of Ordway was depicted as having a 3,900' unpaved runway.

The 1954 USGS topo map (courtesy of Ken Lewis) depicted Ordway Airport
as having 3 unpaved runways, and 2 small buildings along the north side.
Note that it also depicted the tiny “Orahood Airstrip” very close to the southwest, with a runway less than 1,000' long.
The December 1967 Denver Sectional Chart depicted Ordway Airport as having a 3,900' unpaved runway.

The last aeronautical chart depiction which has been located of Ordway Airport was on the 1974 Sectional Chart (courtesy of Ken Lewis).
It depicted Ordway Airport as having a 3,700' unpaved runway.
A 1998 aerial view of Ordway Airport showed the runways & several small buildings remained intact,
but there were no aircraft visible on the field.
Ordway Airport was evidently closed (for reasons unknown) at some point between 1974-2013,
as it was no longer depicted on the 2013 USGS topo map.

A 2019 aerial view looking south showed the Ordway Airport runways & 1 small building on the north side remained intact though deteriorated.

A 2024 photo looking southeast showed no trace of Ordway Airport.
Thanks to Ken Lewis for pointing out this airfield.
____________________________________________________
Alexander Dawson School Airfield, Boulder, CO
40.059, -105.107 (Northwest of Denver, CO)

Alexander Dawson School Airfield, as depicted on the August 1985 Denver Terminal Chart (courtesy of Stu Sibitzky).
This airfield on the grounds of a private school was evidently constructed at some point between 1971-78,
as it was not yet depicted at this location on a 1971 aerial photo.
The earliest depiction which has been located of the Dawson airfield was on a 1978 aerial photo.
It depicted Dawson as a single northeast/southwest unpaved runway.
According to the Dawson School website, “In the latter part of the decade [the 1970s], the first head of school, John Harmon,
hired his brother-in-law, a former PanAm pilot, to begin flying lessons & allowed students to earn a pilot’s license.
Only Privileged Citizens could take flying lessons. You can still see the school’s original landing strip from the air.
There was also a power line on US-287, which the students had to take into account when landing.”
No airfield was depicted at this location on the 1979 USGS topo map.
A 1983 aerial photo showed Dawson's runway had been paved at some point between 1978-83.
The earliest aeronautical chart depiction which has been located of the Dawson airfield was on the August 1985 Denver Terminal Chart (courtesy of Stu Sibitzky).
It depicted Dawson as a private airfield having a single northeast/southwest paved 2,000' runway.

The earliest photo which has been located of the Dawson airfield was the 1993 USGS aerial photo,
which depicted a single northeast/southwest paved runway to the south of the school buildings.
There were no aircraft visible on the field.
The Dawson Airfield was evidently closed at some point between 1985-2009,
as it was no longer depicted on the January 2009 Denver Terminal Chart.

A circa 2005-2010 aerial view looking south at the Dawson School runway.

A 6/16/10 aerial view looking southwest at the Dawson School runway.

A 4/29/13 photo by Paul Freeman looking southwest along the remains of the Dawson School runway.
Even from close-up, you would not necessarily know it was a former runway.
The site of the Dawson School Airfield is located southwest of the intersection of Dawson Drive & Route 287.
____________________________________________________
Valley Airpark / Fort Collins Airpark / Fort Collins Downtown Airport (3V5), Fort Collins, CO
40.59, -105.045 (North of Denver, CO)

Valley Airpark, as depicted on the June 1967 Cheyenne Sectional Chart.
No airfield was yet depicted at this location on the 1960 USGS topo map or the December 1966 Cheyenne Sectional Chart.
This airport on the northeast side of Fort Collins was established in 1966, according to the inscription on a rock at the airport entrance.
The airport was first named Valley Airpark, as that is how it was depicted on the June 1967 Cheyenne Sectional Chart.
It depicted Valley as having a single 3,200' paved northwest/southeast runway.
Bill Bates recalled, “I was at CSU in the mid-1960s & got my ratings through the flying club.
The manager of the 'Airpark' as we referred to it then & my instructor was Elliott Ray.
He was a wonderful man who also flew for the Atmospheric Research Department.”

The earliest topo map depiction which has been located of Valley Airpark was on the 1969 USGS topo map.
It depicted Valley Airpark as having a single paved northwest/southeast runway, with a parallel taxiway & a ramp with several buildings on the south side.

The 1972 Flight Guide (courtesy of Chris Kennedy) shows that the runway at Valley had been lengthened to 4,700' at some point between 1968-72.
Several hangars were depicted on the south side of the runway.

By the time of the August 1972 Cheyenne Sectional Chart, the field had been renamed “Fort Collins Airpark”.
The 1976 Airport Directory (according to Chris Kennedy) depicted “Fort Collins Airpark”.
By the time of the September 1977 Cheyenne Sectional Chart (according to Chris Kennedy),
the field had been renamed yet again, this time to “Downtown Fort Collins” Airport.
According to Mark Williams, it was “at one time was a bustling little airport.
I remember when the airport opened. I was 6 years old at the time.
By my teen years I was biking to Fort Collins Downtown Airport every spare moment.
I soloed at 16, in a Piper Warrior, (N75303) and received my license at 17.
I worked there as a line boy in 1978, driving the old Chevy fuel truck.
This airport was the home to Vintage Aircraft, Ltd., which was home to numerous P-51 mustangs.
I personally fueled 'Precious Metals' & 'Rare Bear' in the late 1970s.
I wish that I had owned a camera back then!
The beacon was moved from the old Christman Field, CO55, in 1979.”

A 2/5/81 airport directory (courtesy of John Kielhofer)
depicted Downtown Ft Collins Airpark as having a 4,700' paved Runway 11/29.

The 1984 USGS topo map depicted the “Downtown Fort Collins Airpark” as having a single paved northwest/southeast runway,
and a ramp on the south side of the field with several hangars.

The earliest photo which has been located of Ft. Collins Downtown Airport
was an undated aerial view from the 1995 CO Airport Directory (courtesy of Jonathan Westerling).
It described the field as having a single 4,699' paved runway 11/29.
Martin Zakes recalled, “I worked there as a line boy in the late 1990s & saw its slow deterioration.
It was the best time of my life, though!”
According to Mark Williams, “In 2001 I returned to Fort Collins Downtown Airport as a part-time CFI.”

An undated aerial photo from the 2006 CO Airport Directory, looking north at the Fort Collins Downtown Airpark,
showing the paved Runway 11/29 as well as the turf East/West runway.
In its final year of operation (2006), the published FAA Airport/Facility Directory statistics for the Fort Collins Downtown Airport
described the field as having a single 5,326' asphalt Runway 11/29, “in fair condition”.
There was also listed a 3,400' turf East/West runway,
which had the remarks “Total landing area is 3,400' only easternmost/westernmost 1,700' used at any one time.
East/West runway very soft when wet.”
The field was said to be home to a total of 126 aircraft (including 20 multi-engine aircraft & 15 helicopters),
and it was said to conduct an average of 48 takeoffs or landings per day.

A 2006 aerial photo showed the Fort Collins Downtown Airport to have a modest number of planes
parked on ramps on the center & southeast parts of the field.

A closeup from the 2006 aerial photo showing several planes parked on the southeast ramp at the Fort Collins Downtown Airport.

A 2006 photo by Mark Williams of a rock bearing an inscription
giving the date of 1966 for the establishment of Fort Collins Downtown Airport.

A 2006 photo by Mark Williams of the scene at Fort Collins Downtown Airport a few days before it closed,
showing a few light planes on the ramp.
Mark observed, “It looks busy, but the business is deceiving, as most of those airplanes are there for maintenance before being flown out!”

A 2006 photo by Mark Williams of a Bonanza taxiing in front of a hangar at Fort Collins Downtown Airport a few days before it closed.

The August 2006 Cheyenne Sectional Chart depicted the Fort Collins Downtown Airport
as having a single 5,300' paved runway.

The September 2006 approach plate for Fort Collins Downtown Airport's VOR-DME/GPS-B approach (courtesy of Lew McCain)
depicted the field as having a 5,326' paved Runway 11/29 along with a parallel unpaved runway on the northeast side.
The Fort Collins Downtown Airport was closed in October 2006.
Mark Williams noted, “I find it difficult to comprehend that 3V5 is gone.
For me this was a field of dreams. The field was a privately-owned public-use airport.
It probably was the victim of complacency. I remember visiting the airport from time to time.
Having instructed in California, I would always ask 'How secure is 3V5's future?'
The answers I would get usually revolved around 'The airport is built on floodplain' & 'The owners don't want to sell.'
Sadly, this airport needed a strong pilots' group.”

A sad sight – a 2006 scene by Mark Williams of Fort Collins Downtown Airport 3 days after the airport closed, devoid of any planes.
This airport has a tremendous amount of aviation infrastructure – what a shame to see it going to waste.

A circa 2007 aerial view looking south at the Geo-Seis Helicopters Heliport (0CO4), one of 2 remaining heliports at the site of Fort Collins Downtown Airport.
What appears to be an Aerospatiale Lama helicopter is on the helipad,
and a red Luscombe taildragger is also visible – what appears to be the last fixed-wing aircraft remaining at the closed airport.
Chris Goin reported, “The very large hangar on the left side is the former site of Vintage Aircraft.”

A circa 2007 aerial view looking north at the North Arrow Heliport (CD46),
operated by Paravion Technology, one of 2 remaining heliports at the site of Fort Collins Downtown Airport.
What appear to be 2 Bell JetRangers are visible on their ramp.

A 9/13/13 aerial view looking northeast showing flooding adjacent to Fort Collins Downtown Airport.
Allan Wendt reported, “Some of the hangars are flooded”, as a result of the large-scale floods that affected the area.
Chris Goin reported in 2015, “Geo-Seis is no longer along the runway, only North Arrow remains functional.
Helicopters fly over my house daily going in & out for maintenance and fuel.
The red Luscbome [pictured above near the Geo-Seis heliport]... Poor old girl has a bent right wing & rudder hanging off one hinge.
I was fortunate today, I stepped outside of my house & heard an engine roaring pretty loudly.
I figured we were about to see a big girl fly low overhead, however the sound continued from one direction.
I walked to where I could see the field & saw a Vultee BT-13 Valiant running up outside Vintage Aircraft's open hangar doors!
I jumped in my car & drove around to the runway & came up behind the old girl.
I was fortunate enough to talk with the gentlemen hanging out there & learned a few things.
The old Valiant had been sitting since the airport, and consequently Vintage, had closed.
The men there were former employees who pay for the hangar still & are preparing the old girl for her 'final' flight away from Downtown.
It sure was good to hear the old P&W roar as they were getting the rings to re-seat & checking everything out.”
Chris continued, “I say 'final' because of the other thing I learned. The rumor that the airport had been bought is true.
The gentleman who bought it would like to see it become active once more, however his condition is that the property taxes be paid for.
The challenge now, upon which the future of the airport hangs, is whether that can be achieved.
The hope is that the new Woodward Governor campus being built just blocks away at Mulberry & Lemay
will spur Woodward to help with the taxes for the benefit of having an airport just jogging distance away. Time will tell.
In addition to the Luscombe, an old Bellanca Viking sits languishing alongside the runway.
Her N-number expired on the 31st of December & I could not get her owner to return my calls,
so it seems the old wood-spar beauty may never ply the skies again.”

A 2017 aerial view looking north showed Fort Collins Downtown Airport to remain intact, including its runway, taxiways, ramps, and numerous hangars.
What a shame to see all this nice general aviation infrastructure going to waste.
Fort Collins Downtown Airport is located northwest of the intersection of East Mulberry Road & South Timberline Road.
____________________________________________________
Burlington Municipal Airport (3V1), Burlington, CO
39.31, -102.28 (Southeast of Denver, CO)

Burlington Airport, as depicted on the March 1936 Denver Sectional Chart.
The date of establishment of this small town airport has not been determined.
The earliest depiction which has been located of Burlington Airport was on the March 1936 Denver Sectional Chart,
which depicted Burling as an auxiliary airfield.
The 1936 Civil Aeronautics Administration Airways Bulletin #2 (courtesy of David Brooks)
described Burlington Airport as having 3 turf runways, with a total field size of 3,170' x 2,608'.
Burlington Airport was also listed among active airfields
in The Airport Directory Company's 1938 & 1939 Airport Directories (according to David Brooks).
Burlington Airport was depicted on the 1944 7M Regional Aeronautical Chart (according to David Brooks).
The Burlington Airport may have gone through a brief period of closure during WW2 (like many other small civilian airports),
as it was not listed in the 1944 US Army/Navy Directory of Airfields (courtesy of Ken Mercer)
on in the 1945 AAF Airfield Directory (courtesy of Scott Murdock).

The 1949 Denver Sectional Chart (courtesy of Chris Kennedy)
depicted Burlington Airport as having a 3,800' unpaved runway.

Burlington gained a paved runway at some point between 1949-69,
as the 1969 USGS topo map depicted the field as having a paved northwest/southeast runway, along with 2 unpaved strips.
Two small buildings (hangars?) were depicted at the southeast corner of the field.

The 1972 Flight Guide (courtesy of Chris Kennedy) depicted Burlington as having a 3,600' paved Runway 13/31,
in addition to 2 slightly shorter unpaved strips.
A ramp with 2 small buildings (hangars?) was depicted at the southeast corner of the field.
The 1976 AOPA Airport Directory (courtesy of Chris Kennedy)
listed the operators as Don Thompson & James Wear.

The 7/17/81 FAA Inspection Report (courtesy of David Field)
depicted Burlington Municipal Airport as having a 3,600' asphalt Runway 13/31 along with 2 shorter turf crosswind runways.
A shop, office, and 2 T-hangars were depicted on the southeast side of the field. The manager was listed as Harlie Hahn.
Burlington was said to have 15 single-engine aircraft based at the field,
and it was said to conduct 1,012 takeoffs or landings per month.
The 1982 AOPA Airport Directory (courtesy of Ed Drury) describe the runway configuration at Burlington Municipal
as a single 3,600' asphalt Runway 13/31 along with 2 slightly shorter unpaved strips.
The operator was listed as Dice Aviation.
In 1984, the new Kit Carson County Airport was opened 3 miles south of Burlington
(at a less constrained site which permitted a longer runway).
The original Burlington Municipal Airport was abandoned on 7/11/84,
according to the FAA Inspection File (according to David Field).

A 1993 USGS aerial photo showed some kind of sand or concrete processing facility had been constructed over the southern portion of the Burlington Airport property.
However, the entire length of the paved runway at Burlington still existed in fairly decent condition,
with closed-runway "X" markings still visible on the pavement, as well as the majority of the 2 unpaved runways.
Furthermore, the 2 former hangars also remained standing, on the southeast corner of the property.

A 9/24/11 aerial view showed that further redevelopment had occurred on the Burlington Airport site,
but the entire length of the paved runway at Burlington still remained recognizable.
The site of Burlington Municipal Airport is located northwest of the intersection of Colorado Avenue & Lincoln Street.
Thanks to Chris Kennedy for pointing out this airfield.
____________________________________________________
Rocky Ford Auxiliary AAF #1, Rocky Ford, CO
38.14, -103.69 (Southeast of Denver, CO)

The earliest photo which has been located of Rocky Ford Aux #1
was a circa 1943 aerial view looking north from the 1945 AAF Airfield Directory (courtesy of Scott Murdock).
This airfield was apparently built by the government during WW2, and was not a prewar civilian airfield.
It was not yet depicted on the July 1943 Denver Sectional Chart.
Rocky Ford Aux AAF #1 was one of 3 auxiliary airfields used during WW2
by the Four Engine Advanced Flying School at La Junta AAF,
which conducted multi-engine training in the B-25, AT-17, and UC-78 (according to Ken Barber).
The other 2 auxiliary airfields used by La Junta AAF were Las Animas Auxiliary #2 (6 miles north-northwest of Las Animas, CO),
and Arlington Auxiliary #4 (3 miles east of Arlington, CO).
The federal government acquired a total of 1,560 acres for Rocky Ford Auxiliary Field #1 in 1943-44.
It was much bigger than the typical WW2 training airfield, as it was used for the training of heavy bombers.
The airfield consisted of 3 asphalt/concrete 6,300' runways, along with a control building & a maintenance shed.
The earliest photo which has been located of Rocky Ford Aux #1
was a circa 1943 aerial view looking north from the 1945 AAF Airfield Directory (courtesy of Scott Murdock).
It depicted “La Junta Army Air Field Auxiliary #1 (Rocky Ford Field)” as having 3 paved runways.

Rocky Ford Aux #1, as depicted on the January 1944 Denver Sectional Chart.
"Rocky Ford Aux #1, Army" was described by the 1944 US Army/Navy Directory of Airfields (courtesy of Ken Mercer)
as having a 6,000' hard-surface runway.
The 1945 AAF Airfield Directory (courtesy of Scott Murdock) described “La Junta Army Air Field Auxiliary #1 (Rocky Ford Field)”
as a 1,620 acre rectangular property having 3 bituminous 6,000' runways.
The field was said to not have any hangars, to be owned by private interests, and operated by the Army Air Force.
Rocky Ford Aux #1 was declared surplus in 1946, and accountability was assumed by the War Assets Administration in 1947.
A former landowner reported that the Town of Ordway took possession of the site after the war,
removed the buildings from the site, and placed them on its city airport.

The 1949 Denver Sectional Chart (courtesy of Chris Kennedy)
depicted the former Rocky Ford Aux #1 as one of 2 "Ordway" Airports, which must have led to some confusion.
It described the field as having a 6,000' hard-surface runway.
Control of the site was taken from the Town of Ordway by the Civil Aeronautics Board
after a complaint was filed by the former landowner stating the site was not being maintained as an airport.
The site was then given by the Civil Aeronautics Board to the General Services Administration.

The 1955 USGS topo map 1955 depicted the 3 runways of Rocky Ford Aux #1 labeled simply as “Airfield (Abandoned)”.
Rocky Ford Aux #1 was depicted as an abandoned airfield
on the October 1963 Sangre De Christo Mountains World Aeronautical Chart (courtesy of Donald Felton).
The Rocky Ford Airfield was labeled "Airfield (Abandoned)" on the 1976 USGS topo map.
A 1992 Army Corps of Engineers report said that "GSA controlled the site for several years before it was auctioned,
reacquired by the former landowner, and resold approximately 2 years ago to the current property owner."
During their 1992 visit, the Army Corps of Engineers found that the 3 asphalt/concrete runways were the only remaining military improvements.
The report stated that the runways "…are not beneficially used by current owners", and added that "The runways are in poor condition."

As seen in the 1998 USGS aerial photo,
the 3 large runways of the Rocky Ford Aux #1 Airfield remained quite recognizable.
Just like Las Animas Airfield, this airfield was not depicted at all (even as an abandoned airfield) on 2002 aeronautical charts,
which is strange for such a big field.

A 10/21/12 aerial view showed the Rocky Ford airfield to remain remarkably intact.
The Rocky Ford Airfield is located west of Route 22, seven miles north-northeast of Rocky Ford, CO.
____________________________________________________
Las Animas Auxiliary AAF #2, Las Animas, CO
38.15, -103.27 (Southeast of Denver, CO)

The Las Animas Airport, as depicted on the 1936 Trinidad Sectional Chart (courtesy of Scott O'Donnell).
The date of construction of this airfield is unknown.
It was apparently built as a civil airfield prior to 1934,
as the 1934 Department of Commerce Airport Directory (according to Chris Kennedy)
described Las Animas Airport as being in an "L" shape, with 2 sod runways, with the entire field measuring 3,960' x 2,640'.
The directory also had a curious comment about the field: "Rifle butts in northwest corner."
Las Animas was depicted as an auxiliary airfield on the 1936 Trinidad Sectional Chart (courtesy of Scott O'Donnell).
The Airport Directory Company's 1937 Airports Directory (courtesy of Bob Rambo)
described Las Animas Auxiliary Airfield as consisting of a 3,960' x 2,640' sod landing area.
The site was then reused during WW2 to build a much larger military airfield, Las Animas Aux AAF #2.
Between 1943-44, the federal government acquired a total of 1,446 acres for Las Animas Auxiliary Field #2.
They constructed runways, taxiways & aprons, a control building, and a maintenance shed.
Las Animas Aux AAF #2 was much bigger than the typical WW2 training airfield,
as it was used for the training of heavy bombers.
The airfield consists of 3 paved runways, with the longest being 7,400'.
Las Animas Aux AAF #2 was one of 3 auxiliary airfields used by
the Advanced Flying School at La Junta AAF (16 miles southwest),
which conducted multi-engine training in the B-25, AT-17, and UC-78 (according to Ken Barber).
The other 2 auxiliary airfields used by La Junta AAF were
Rocky Ford Auxiliary #1 (7 miles north-northeast of Rocky Ford, CO),
and Arlington Auxiliary #4 (3 miles east of Arlington, CO).

A 2/3/43 Army blueprint of Las Animas Aux AAF #2 (courtesy of Larry Liebrecht of the CO Aviation Historical Society).
It depicted Las Animas as having 3 paved runways, with a control tower in the center.

A 3/6/43 blueprint of the Las Animas Control Building (photographed in January 2008 at the National Archives by Larry Liebrecht of the CO Aviation Historical Society).
Larry Liebrecht reported, “By the key on the blue prints [the control building] appears to be the same design used for all 3 auxiliary fields (Las Animas, Rocky Ford, & Arlington).”

The earliest photo which has been located of Las Animas Aux #2 was a 9/28/43 aerial view (from the La Junta Historical Society Museum, courtesy of Larry Liebrecht of the CO Aviation Historical Society).
It depicted Las Animas as having 3 paved runways, with a control tower in the center.
Larry Liebrecht reported, “According to a former instructor we (the CO Aviation Historical Society) interviewed, the Control Building housed at least one crash/utility type truck.
The 3 Auxiliary Fields were part of the La Junta flight training system; a way of dispersing the student pilot traffic in practicing their approaches, take offs and landings.”

A 1943 aerial view looking south from the 1945 AAF Airfield Directory (courtesy of Scott Murdock)
depicted “La Junta Army Air Field Auxiliary #2 (Las Animas Field)” as having 3 paved runways.

Las Animas Field was labeled simply "No 2 LF" on the January 1944 Denver Sectional Chart.
"Las Animas Aux #2, Army" was described by the 1944 US Army/Navy Directory of Airfields (courtesy of Ken Mercer)
as having a 7,000' hard-surface runway.
The 1945 AAF Airfield Directory (courtesy of Scott Murdock) described “La Junta Army Air Field Auxiliary #2 (Las Animas Field)”
as a 1,446 acre square-shaped property having 3 bituminous runways, the longest being a 7,000' northeast/southwest strip.
The field was said to not have any hangars, to be owned by private interests, and operated by the Army Air Force.
The entire installation at Las Animas Aux #2 was reported as surplus to the needs of the Army Air Forces in 1946,
and accountability was assumed by the War Assets Administration in 1947.
A 1948 advertisement (courtesy of Larry Liebrecht) offered for sale the buildings of La Junta AAF, including the Control Buildings & other buildings on the 3 Auxiliary Fields.
Larry Liebrecht reported, “The Control Buildings & others were sold as surplus in May of 1948.”

After being abandoned by the military,
Las Animas Aux #2 was apparently reopened at some point between 1947-49 as a civil airfield,
as that is how it was depicted on the 1949 Denver Sectional Chart (courtesy of Chris Kennedy).
It was described as having a 7,000' hard-surface runway.

Las Animas #2 was apparently abandoned (again) at some point between 1949-55,
as it was labeled simply as “Landing Field (Aban'd)” on the 1955 USGS topo map.
Las Animas #2 was depicted as an abandoned airfield
on the October 1963 Sangre De Christo Mountains World Aeronautical Chart (courtesy of Donald Felton).
The Las Animas Airfield was labeled "Landing Field (Abandoned)" on the 1976 USGS topo map.
The Army Corps of Engineers conducted a visit to the site in 1992,
and found that the only remains at the site were the concrete foundation of the control building & the runways,
which were described as being "in poor condition".
The former airfield control building & maintenance shed had been removed from their location by the current property owner.
Strangely, the Las Animas Airfield was not depicted at all on 2002 aeronautical charts,
even as an abandoned airfield, which is quite unusual for such a big field.

As seen in a 2005 aerial photo, the 3 former runways of the Las Animas airfield remained quite recognizable.
Jeris Danielson reported in 2006, “We visited what we believe to be Las Animas AAF Auxiliary #2 today
and have taken pictures of the north/south runway,
the access taxiway from this runway to the Operations area in the center of the triangle formed by the 3 runways,
several photos of tiedowns adjacent to the Ops building,
a photo of what I believe to have been a concrete block for the generator providing power to the Ops center
(this is a guess from an old Corps of Engineers Colonel who built a lot of aux airfields in Vietnam)
and a photo of the foundation of Ops/Maintenance building.
This site is on the ranch of a dear friend of mine whose father owned about 80,000 acres including this site.
She remembers her brothers riding their bicycles on the runway as it was the only paving in Bent County!
Her father clearly related to her his remembrance of the air operations conducted there in 1942-44.
We found lots of rusty C-ration cans, cable and other debris
that I assume were part of the day-to-day routine of the personnel using the facility.”

An October 2007 photo by Larry Liebrecht of the foundation of the Las Animas control building.
Larry Liebrecht reported in 2020, “At least one of the Control Buildings is spoken of by locals as being in the town of Rocky Ford or Las Animas, used as a garage & storage.”
The Las Animas Airfield is located northwest of the intersection of Route 10 & Road MM,
six miles north-northwest of Las Animas, CO.
____________________________________________________
Arlington Auxiliary AAF #4, Arlington, CO
38.33, -103.27 (Southeast of Denver, CO)

A 1943 aerial view looking northeast at Arlington Aux #4 from the 1945 AAF Airfield Directory (courtesy of Scott Murdock).
This was one of 3 auxiliary airfields used during WW2 by the Advanced Flying School at La Junta AAF (16 miles southwest),
which conducted multi-engine training in the B-25, AT-17, and UC-78 (according to Ken Barber).
The other 2 auxiliary airfields used by La Junta AAF were Rocky Ford Auxiliary #1 (7 miles north-northeast of Rocky Ford, CO),
and Las Animas Auxiliary #2 (6 miles north-northwest of Las Animas, CO).
The earliest photo which has been located of Arlington Aux #4
was a circa 1943 aerial view looking northeast from the 1945 AAF Airfield Directory (courtesy of Scott Murdock).
It depicted “La Junta Army Air Field Auxiliary #4 (Arlington Field)” as having 3 paved runways.
Arlington Field was not yet depicted on the July 1943 Denver Sectional Chart.
"Arlington Aux #4, Army" was described by the 1944 US Army/Navy Directory of Airfields (courtesy of Ken Mercer)
as having a 7,000' hard-surface runway.

Arlington Field was labeled simply "No 4 LF" on the January 1944 Denver Sectional Chart.
The 1945 AAF Airfield Directory (courtesy of Scott Murdock) described “La Junta Army Air Field Auxiliary #4 (Arlington Field)”
as a 1,440 acre square-shaped property having 3 bituminous runways, the longest being a 7,000' northeast/southwest strip.
The field was said to not have any hangars, to be owned by private interests, and operated by the Army Air Force.
After WW2, Arlington Aux #4 was apparently abandoned by the military.
It is not known if Arlington was ever reused for civilian aviation, but it appears as if it was not,
as it was not depicted at all on the 1949 Denver Sectional Chart (courtesy of Chris Kennedy).

A 9/8/54 1998 USGS aerial photo showed the Arlington airfield to remain intact, though without any sign of recent usage.

“Arlington Air Force” was depicted as an abandoned airfield on the 1958 USGS topo map.
Arlington Aux #4 AAF was depicted as an abandoned airfield on the 1971 Wichita Sectional Chart (courtesy of Vince Granato).
As seen in the 1998 USGS aerial photo,
the Arlington airfield consisted of 3 runways arranged in a triangle, with the longest being 7,000'.
Although somewhat deteriorated, the outline of the airfields was still plainly recognizable.
Just like the other WW2-era La Junta auxiliary airfields,
Arlington was not depicted at all (even as an abandoned airfield) on 2003 aeronautical charts,
which is quite strange for such a big field.

A 2005 photo by Leigh Hettick, looking north along the remains of what would have been Runway 08 or 09 at Arlington Aux #4.
Leigh reported, “You can see the runway outline primarily due to the slight grade change & the difference in vegetation.
Interestingly there's more vegetation on the old runways than the range land beside it.
When you look at the old asphalt, you can see these runways were built to handle the B-17's & B-24's that flew in this area.”

A 2005 photo by Leigh Hettick, looking “where the old operations/control building was in the center of the 3 runways.
In the 1980s you could see the skeleton of the structure when you flow over,
but it's gone now with just some broken bits of cement & clay pipe left.”

A 10/21/12 aerial view showed the Arlington airfield to remain remarkably intact.
Arlington Auxiliary Airfield is located north of County Highway E, three miles east of the town of Arlington.
____________________________________________________
Or if you prefer to contact me directly concerning a contribution (for a mailing address to send a check),
please contact me at: paulandterryfreeman@gmail.com
If you enjoy this web site, please support it with a financial contribution.
____________________________________________________
This site covers airfields in all 50 states.